Focus On Jerusalem



Articles


WEEK OF AUGUST 29 THROUGH SEPTEMBER 4

 

 

The Double Slam on New Orleans

imageSept. 2…. (FOJ) Many people have e-mailed me asking a lot of questions about the catastrophe in New Orleans. Many want to know what this tragedy means in light of prophetic scripture, and still many others want to know how this catastrophe physically came about. Since I dabble in engineering, I decided to provide a brief overview. I have attached the map from the Army Corp of Engineers below to help people see the simple explanation. Hurricane Katrina by tracking just east of downtown New Orleans was spared the full force of the hurricane winds, (which blasted Mississippi) but it also was exposed to a storm surge with northerly winds behind it. Lake Ponchartrain took a swell surge from the Gulf, and the northerlies pressed it into the canals. These northerlies literally pushed the surge into the canals of New Orleans, creating the breach in the levee system inside the city, thus flooding the below sea-level portion of the city that bellies up against the lake. The levees along the shoreline of Lake Pontchartrain held, while the breaks occurred in the narrow canal inlets. Most people don’t realize that New Orleans was subjected to not “one” cataclysm, but two cataclysms within a 24 hour period, (a hurricane followed by a flood) thus creating an unprecedented catastrophe, and causing an enormous logistics problem for recovery personnel. An unprecedented political storm is now brewing because of these problems. And this kind of political civil warmongering environment is the last thing America needs at this point in time. America needs to pull together, and work together, and above all start calling out to God, and repenting of our national sins, and begging him to heal our land.

   Today, President Bush admitted that the nation’s recovery efforts "are not acceptable," and that they must improve, just before he headed to the Gulf Coast to face the second greatest challenge of his presidency, with the first being the 9-11 terrorist attacks on the USA. Unlike September 11, and despite an unprecedented relief effort, President Bush finds himself in the eye of a political hurricane that started swirling down by his ranch with the media circus surrounding Cyndi Sheehan, and the anti-war protestors. Today, the President stated, “I’m not looking forward to this trip.” “It’s as if the entire Gulf Coast were obliterated by the worst kind of weapon you can imagine,” the president said. The President could not have spoken more true words. This weapon, like the 9-11 weapon is being supernaturally allowed by God to be used against us because we have mocked God and compromised the Promised Land in a time that God is readying to make his move in that part of the world. God removed his “hedge-of-protection” around America on 9-11, and because America has not repented and returned unto God, and prayed for forgiveness, God is continuing to warn us that Perilous Times shall overtake our nation unless we heed the advice of the following scripture. (II Chronicles 7:14 If my people, which are called by my name, shall humble themselves, and pray, and seek my face, and turn from their wicked ways; then will I hear from heaven, and will forgive their sin, and will heal their land.)

 

 

America’s Three Presidents That Compromised Israel’s Land

imageSept. 2….(World Watch/ FOJ) Bill Koenig’s website World Watch carried the following news photo op showing the three American Presidents who fostered the Oslo Peace Process and the UN conspiracy to divide the Promised Land of Israel. Standing with former Presidents Bill Clinton and George H. W. Bush, President George W. Bush discusses the plans to help people affected by Hurricane Katrina in the Oval Office Sept. 1, 2005. While these men were actively involved in the negotiations to divide Israel’s covenant land the United States experienced nine of the ten costliest insurance events in US history; six of the seven costliest hurricanes in US history; three of the four largest tornado outbreaks in US history; nine of the top ten natural disasters in US history ranked by FEMA relief costs; and the two largest terrorism events in US history. Now, these Presidents are facing the terrible consequences of their foolish actions to portion out God’s land. The curse of such actions are being brought to bare upon our nation because we have abandoned God, and created a culture of debauchery. I listened to Franklin Graham last night on Fox, and he is calling for all denominations and churches in the south to get involved and adopt 10 families per church, and for denominational leadership to use this tragedy to do the Lords work, and reach out, and hopefully lead an effort to bring this nation back to God. Perilous Times are ahead….I truly and 100% believe that this tragedy is a warning from God, and that much more of this type of stuff is going to occur if our nation does not repent. If we fail in turning our nation around spiritually, and very quickly, we are going to see absolute chaos and distress in our land that is going to bring about the downfall of our nation. The fact that President Bush led the Gaza disengagement was a curse, and it has come back on his heels, and I think he is confounded by all that he is facing now, and wondering things. It is no accident that New Orleans was hit. We have watched hurricane after hurricane dance around in the Gulf and they are getting more frequent and intense, and they seem to be serving a warning to our nation. Right now, since 9-11 America has seen hedge after hedge of Gods protection removed. Since 9-11 we have accommodated “other gods,” made same sex marriage available, ordained gay ministers, and continued unabated in slaughtering babies, while our culture dies in a pool of drugs, illicit sex, immorality, porn, political civil wars, and a host of other strivings; We face enemies in all directions today, and the real enemy is not just Al Qaeda, Iraq terror, Afghan warlords, EU bankers, UN globalism, Commie dictators, nuclear holocaust, cultural and societal breakdowns, but it is SATAN…..and he is coming after the US big time, because HE wants to devastate the bastion of American Christianity so that he can gather the wagons for a FINAL ASSAULT on Israel………….and President Bush had better wake up to that fact.

 

 

What Katrina Reveals about US Security

America's enemies gleefully study portrait of unpreparedness.

Sept. 2….(Joseph Farah) While Americans watch the chaos in New Orleans in horror today, US enemies are smiling. Joseph Farah’s G2 Bulletin reveals strategists in China, Venezuela, North Korea and for rogue terrorist organizations like al-Qaida are realizing the full extent of America's unpreparedness for domestic disaster, even in a single, medium-sized urban area. Major vulnerabilities in planning and response are obvious and providing encouragement for future strikes on the country's infrastructure and population centers. Adnan el-Shukrijumah, America's most wanted al-Qaida terrorist, hatched a plot with the Mara Salvatrucha (MS-13) street gang in Honduras and Mexico to smuggle nuclear weapons into the U.S. In the second part of a two-part series on the elusive el-Shukrijumah, Paul L. Williams, author of the new book "The Al-Qaeda Connection," reveals how the man handpicked by Osama bin Laden to execute a terrorist nuclear attack on the US got his weapons of mass destruction and sneaked them across the Mexican border. It's an alarming report that names, places and times, and explains where he got nuclear materials and who helped him bring them into the US In the first part of the series, still published nowhere else, you'll get to meet el-Shukrijumah, the man behind al-Qaida's "American Hiroshima" nuclear terrorism plot. Egyptian military intelligence tipped off US on danger posed by 9-11 hijacker Muhammad Atta before he ever got to the US.

  • Jihadists continue their campaign of burning churches and persecuting Christians in Kosovo, the land "liberated" by US and NATO forces in the 1990s. While German and French peacekeepers watch the religious atrocities, Italian and US soldiers have put their lives on the line to defend the Christian minority.
  • US military sources tell G2 Bulletin that American Civil Liberties Union attorneys have been permitted to advise Guantanamo Bay prisoners, including Taliban and al-Qaida operatives, that they have the right not to answer the questions of interrogators. In addition, the Pentagon has brought in a veteran staff attorney from the ACLU to serve as chief defense counsel in future military tribunals.

 

 

Lessons in Democracy: Foundational and Prophetic Reasons for a Dim Bush Legacy

Sept. 2….(By Bill Wilson) President George W. Bush has staked the legacy of his presidency on establishing democracy in radical Islamic states in order to foment peace- a noble cause, but flawed logic flying in the face of prophecy. The founding fathers of the United States said that in order for an elected republic such as America to flourish, moral and religious men must hold positions of leadership. They meant believers in Christ who were upstanding citizens should be active leaders otherwise the nation would fail. It is a basic underpinning, a foundational truth, of elected government. The two most public examples of the "Bush Doctrine of Democracy" are Iraq and Palestine. Neither is succeeding and peace seems to be an elusive goal. Fundamentally, neither of these nations' leaders meet the foundational requirements of democracy laid out by the inventers of it, moral and religious men. Yes, they are followers of Islam. And Islam does promote some form of moral code, but it also promotes radicalism, oppression and violence in its doctrine- a doctrine that is ingrained and institutionalized throughout the Palestinian territories and in Iraq. And those who are in leadership positions are not moral by any Western standard. They are the antithesis of the American founding fathers and they have competing interests that far outweigh the establishment of a peaceful nation. In the wake of the Israeli evacuation of the Gaza, the Palestinians have behaved like barbarians interested in only more land and control of the Holy City of Jerusalem. Even Palestinian Authority President Mahmoud Abbas has said that Gaza was just a small step toward the Palestinians taking back "their" land. And that it will not be complete until the West Bank (Judea and Samaria, the heart of the covenant land given to the Jews by God) and Jerusalem are under Palestinian control. And Abbas said that terrorism and suicide missions worked. "Today we are getting part of the payoff, of your sacrifice, Abbas told hundreds of Palestinians. The credit for the evacuation is for the martyrs who sacrificed themselves and gave their lives for the homeland." The Fatah Party Constitution still says the following:

Article (12) the complete liberation of Palestine, and eradication of Zionist economic, political, military and cultural existence.

Article (13) Establishing an independent democratic state with complete sovereignty on all Palestinian lands, and Jerusalem is its capital city, and protecting the citizens' legal and equal rights without any racial or religious discrimination.

Article (19) Armed struggle (terrorism) is a strategy and not a tactic, and the Palestinian Arab People's armed revolution is a decisive factor in the liberation fight and in uprooting the Zionist existence, and this struggle will not cease unless the Zionist state is demolished and Palestine is completely liberated.

   Hamas who is looking forward to great gains in the January elections is a terrorist organization who is devoted to the complete annihilation of the Jews. Meanwhile in Iraq, the Constitution developed by the Shiites and Kurds establishes Islam as the law of the land. This is similar to Iran, where Islam is the law even though there is elected representatives of the people. The Bush Administration has called the Iranian elections a sham, but the Iraqi elections may well turn out the same. In Iran, the Ayatollahs are an all powerful influence over the Iranian government because they determine the interpretation of Islamic law. There is nothing that has been publicly released that would suggest Iraq would never fall into the same pattern, an elected government whose every move is controlled by a ruling committee of Islamic theologians. Already, the Sunni Muslims, who were in control during the brutal Saddam Hussein regime and are a majority in the country, are threatening to vote down the Constitution in the October referendum. The Sunnis refused to participate in the elections last year and are now, by fiat of being excluded from the government, are controlling the process with their threats and behind the scenes negotiating. They are also responsible for much of the anti-democratic civil war that daily kills American and allied troops as well as hundreds of Iraqi citizens. The Bush Administration response to both the Palestinians and the Iraqi situation is surreal. Either the White House is receiving information that totally disputes what is seen and heard on the ground in these countries or there is a total disconnect from reality. Of the Palestinian situation, the President, in remarks on Monday, said, "The Palestinian people have expressed their desire for sovereignty and peace in free and fair elections. President Abbas has rejected violence and taken steps toward democratic reform...Both Israelis and Palestinians have elected governments committed to peace and progress, and the way forward is clear." Similarly, the President has a different view of the goings on in Iraq. He said Monday, "The progress made over the past week has been impressive, with consensus reached on most provisions through debate, dialogue, and compromise. This is the essence of democracy, which is difficult and often slow, but leads to durable agreements, brokered by representatives that reflect the interests and values of free people… The United States pledges its full support as the Iraqis work to complete their democratic transition." Peace? Democracy? There is no indication that either is forthcoming. And it serves no positive purpose if terrorist thugs are legitimized by an election process. Once again, the fundamentals of democracy requiring a moral and religious leadership are not met. But even more are the fundamentals of God's word. In Genesis, and angel of the Lord prophesied over Hagar, the mother of Ishmael, who became the father of the Arab race, today's Islam, "And the angel of the Lord said unto her, Behold, thou art with child, and shalt bear a son, and shalt call his name Ishael; because the Lord hath heard thy affliction. And he will be a wild man; his hand will be against every man, and every man's hand against him; and he shall dwell in the presence of all his brethren (Genesis 16:11, 12)." How can there be peace when there is no peace in the hearts of those entrusted with it. Even Saddam Hussein last week said that he would martyr himself for Iraq and the Palestinian people. The irritant in this whole matter is Israel. The entire Islamic and Arab world believes that Israel has no right to exist and there will be no peace until the matter is resolved, the good intentions of George W. Bush or no. The Apostle Paul wrote in Ephesians 5:6, "Let no man deceive you with vain words: for because of these things come the wrath of God upon the children of disobedience." These are the days of deception. These are times to pray for the peace of Jerusalem. And even though President Bush is deceived by these wicked men, and he has based his presidential legacy upon false leadings, he is a blessed man and is in need of the nation's prayer and supplication for Jesus said in Matthew 5:9, "Blessed are the peacemakers for they shall be called children of God." May it ever be so.

 

 

Chinese Activist Warns of Nuclear War

Sept. 2….(Bill Gertz/Washington Times) China is preparing for nuclear war with the United States over Taiwan, and a conflict is likely in the near future because of divisions among Beijing's leaders, a Chinese democracy activist says. Wei Jingsheng, a leading international advocate for political reform in China, said in an interview with The Washington Times that President Bush and other US leaders do not fully understand the chance of a conflict breaking out and must do more to avert it. "Sino-U.S. relations are reaching a crucial point and most of the American public does not know about," said Mr. Wei, who spent almost 18 years in Chinese prisons before his release in 1997. "The United States needs to pay more attention to the possibility of nuclear war with China." Mr. Wei said he has heard from government officials in China, including some within the military, who are worried by the growing chance of a nuclear war. Recent Chinese military exercises and a Chinese general's threat to use nuclear missiles against US cities are two signs of the danger, said Mr. Wei, who has an office in Washington. "In the past, China may have felt that it was not time for them to confront the US," Mr. Wei said. "Now, things are different. Now the Chinese feel that they need to use these kind of nuclear threats. China is very serious about that. The nuclear threat from China is a substantial threat, not theoretical." The comments come as Chinese President Hu Jintao is set to visit Washington next week. They also echo Pentagon concerns that China is preparing to attack Taiwan, also known as the Republic of China, in the next few years. Mr. Wei also said that social unrest is growing rapidly in China and that hundreds of demonstrations in recent months have weakened Communist Party rule. In Chinese history, he said, unrest has been a sign that a ruler is about to fall, prompting concern among Beijing's communist leaders.
China's leadership is divided by factions headed by Mr. Hu and former President Jiang Zemin, Mr. Wei said. Additionally, there are elements within the military who think that a war to retake Taiwan should begin as soon as possible, Mr. Wei said. Politically, differences between Mr. Hu and Vice President Zeng Qinghong, who in the past was considered a Jiang loyalist, appear to have been resolved temporarily, Mr. Wei said. The accommodation appears related to a decision to use force in the future against Taiwan, Mr. Wei said, adding that Mr. Hu favors a conflict as a way to consolidate power over the military. Growing nationalist sentiment in China also has led to public calls for war over Taiwan."Many wars in the past have started from such conditions," he said. To avert war, Mr. Wei urged the Bush administration to put more pressure on China's government in the area of human rights and trade, try to influence the Chinese military by finding and supporting anti-war military leaders and drive a wedge between China and the communist government in North Korea.


 

Dumping of US dollar Could Trigger 'Economic 9-11'

Sept. 2….(The Australian) There is a potentially fatal flaw at the heart of the global economy: the strong possibility of financial meltdown following a collapse of confidence in the greenback, says Clyde Prestowitz. The nightmare scenario that haunts global strategist Clyde Prestowitz is an economic September 11, a worldwide financial panic triggered by a sudden massive sell-off of US dollars that would lead inexorably to the collapse of economies around the world. If that happens, Prestowitz predicts: "It would make the Great Depression of the 1930s look like a walk in the park." Australia would be sucked into the vortex of such a recession, which would cause great hardship throughout the world, he warns. Prestowitz is not a doomsayer, neither is he alone in his views. As president of the Economic Strategy Institute, a Washington think tank, he is in regular contact with the most influential US business leaders, several of whom, Warren Buffet and George Soros included, (Soros attempted a financial defeat of President Bush in the 2004 election) have taken steps to hedge their currency positions against the possibility of a cataclysmic plunge in the greenback. "Right now," he says, "we have a situation in which the US is running huge trade deficits, about $US650 billion ($766 billion) in 2004, which are financed by borrowings from the central banks of Asia, mainly the Chinese and the Japanese. All the world's central banks are chock-full of US dollars, they're holding many more dollars than they really want. They're holding those dollars because at the moment there's no great alternative and also because the global economy depends on US consumption. If they dump the dollar and the dollar collapses, then the whole global economy is in trouble. However, some countries have a bigger stake than others in maintaining the status quo. China and Japan have a big stake in maintaining the flow of their exports to the US and keeping the US economy humming. Russia, on the other hand, does not export much to the US. India doesn't export much to the US. Yet Russia and India are also big dollar-holders. They hold many more dollars than they really want or need. "You would then see an immediate cascade effect, a world financial panic on a scale that would dwarf the Great Depression of the 1930s." Prestowitz says the panic could be started by something as simple as a hedge-fund miscalculation. "We had exactly that scenario in the US recently," he points out, "when a big hedge fund called Long Term Capital Management went belly-up. These guys were pros. They had two Nobel prize-winning economists writing their trading algorithms, and their traders were the creme de la creme among New York bond traders. "They made a big bet, a trillion dollars leveraged 20 to one, and they blew it. They went belly-up. That threatened to bring down the whole system so US Federal Reserve chairman Alan Greenspan had to organize a bail-out through the Federal Reserve Bank of New York. "Now consider this: there are currently 8000 hedge funds in the US alone. Every day $6 trillion of derivative instruments trade on international markets. So the potential for another disaster is not insignificant. This is why Warren Buffet, chairman of investment giant Berkshire Hathaway, is betting $US21 billion against the dollar. This is why currency speculator and hedge fund manager George Soros has also made a big bet against the dollar. "Soros is one of the greatest currency speculators of all time. He was the guy who broke the British pound in the early 1990s by betting $US10 billion it would fall. He made a quick billion when it did. In 2002, he warned that the greenback was in danger of losing a third of its value. Of course, it could be argued that Soros is a professional hedge fund manager whose job is to play the ups and downs of currencies and his remarks could be seen more as manipulation than prophecy. And yet, in conversations, Soros has expressed concern about the market fundamentalist view that prevails in Washington and parts of Wall Street. "This is the belief that markets are self-correcting and best left alone. Soros calls this a dangerous siren song. Far from being self-correcting, he emphasizes, markets tend to excess. They over-shoot. Anyone with any experience of markets knows this. "When markets are going down, all the weaknesses get concentrated, and you need intervention at the right time to stop things from getting out of control. If the dollar started to melt down, the results could be really nasty. A 1930s-style global depression is not out of the question." To underscore the point that he is not alone in this, Prestowitz cites Paul Volcker, head of the Federal Reserve before Greenspan, who has said publicly there is a 75 per cent chance of a dollar crash in the next five years. "No one knows for sure what will happen, but clearly the global markets could implode very quickly. The lack of an alternative to the dollar is the only reason it hasn't taken a big fall already." (Bible prophecy reveals that the Antichrist will assume control of the world’s currency system during the Tribulation) Prestowitz, formerly a trade adviser and negotiator for former US president Ronald Reagan, believes the US will continue to be the world's most powerful economy for the foreseeable future. But he foreshadows an inexorable decline, a trend that is likely to continue "depending on the way we play our cards". "Right now, we're playing them just about as badly as it's possible to play them, and that has geo-political implications." he says. "We've outsourced trying to deal with North Korea to China, we really can't deal with Iran, so we've outsourced that to the EU, which is failing, and Iran is cozying up to China. Other bad actors like Zimbabwe's Robert Mugabe and Sudan are cozying up to China. (not to mention Venezuela’s Chvez)  "America's global hegemony is already under challenge, and that challenge is going to become more and more evident as the extent of the relative US economic decline becomes evident. How's the US going to look as a global power when the dollar is at 50 per cent of its current value? One thing is certain, there are powers readying to move to take America’s place at the head of the world.

 

 

New Orleans Descending into Chaos

Sept. 1….(MSNBC) National Guard troops in armored vehicles poured into New Orleans on Thursday to curb the growing lawlessness that included shots reportedly fired at a helicopter airlifting people out of the Superdome and arson fires outside the arena. The scene at the Superdome became increasingly chaotic, with thousands of people rushing from nearby hotels and other buildings, hoping to climb onto the buses taking evacuees from the arena, officials said. Paramedics became increasingly alarmed by the sight of people with guns. The operation to bus more than 20,000 people to the Houston Astrodome was suspended, “until they gain control of the Superdome,” said Richard Zeuschlag, head of Acadian Ambulance, which was handling the evacuation of sick and injured people from the Superdome. He said that military would not fly out of the Superdome either because of the gunfire and that the National Guard told him that it was sending 100 military police officers to gain control. “That’s not enough,” Zeuschlag. “We need a thousand.” He said medics were calling him and crying for help because they were so scared of people with guns at the Superdome. Lt. Col. Pete Schneider of the Louisiana National Guard said the military, which was handling the evacuation of the able-bodied from the Superdome, had suspended operations, too, because fires set outside the arena were preventing buses from getting close enough to pick up people. Zeuschlag said shots were fired at a military helicopter over the Superdome before daybreak, adding that when another evacuation helicopter tried to land at a hospital in the outlying town of Kenner overnight, the pilot reported that 100 people were on the landing pad, and some of them had guns. “He was frightened and would not land,” Zeuschlag said. An additional 10,000 National Guard troops from across the country were ordered into the Gulf Coast to shore up security, rescue and relief operations. The new units brought the number of troops dedicated to the effort to more than 28,000, in what may be the largest military response to a natural disaster. Looting has also been a problem in Mississippi. “The truth is, a terrible tragedy like this brings out the best in most people, brings out the worst in some people,” said Mississippi Gov. Haley Barbour on NBC’s “Today” show Thursday. We’re trying to deal with looters as ruthlessly as we can get our hands on them.” Homeland Security Secretary Michael Chertoff, meanwhile, said one problem is that “we have an ongoing flood situation even as we’re in the middle of recovering from the hurricane.” “We’re in a position where there are additional people we have to look for,” he told “Today.” “We’re hoping to get the most people out as we can in the next 12 hours and 24 hours, but we’re going to continue to search until we’re sure we’ve got everybody safe.”
In New Orleans, Mayor Ray Nagin on Wednesday night ordered the city's 1,500 police officers to leave their search-and-rescue mission and focus on stopping the looting. Looters and armed gangs “are starting to get closer to heavily populated areas, hotels, hospitals and we’re going to stop it right now,” Nagin said. Looters used garbage cans and inflatable mattresses to float away with food, blue jeans, tennis shoes, TV sets, even guns. The driver of a nursing-home bus surrendered the vehicle to thugs after being threatened. Police were asking residents to give up any firearms before they evacuated neighborhoods because officers desperately needed the firepower: Some officers who had been stranded on the roof of a hotel said they were shot at. Nagin called for an all-out evacuation of the city’s remaining residents. Asked how many people died, he said: “Minimum, hundreds, most likely, thousands.”

 

 

Islamic Jihadists Celebrate American Catastrophe

Sept. 1….(WND) Islamic extremists rejoiced in America's misfortune, giving the storm a military rank and declaring in Internet chatter that "Private" Katrina had joined the global jihad, or holy war. With "Allah's help," they declared, oil prices would hit $100 a barrel this year.

 

 

Katrina Hit Just Before Big Easy Homosexual Event

Sept. 1….(World Net Daily) Hurricane Katrina walloped New Orleans just two days before the annual homosexual "Southern Decadence" festival was to begin in the town, an act being characterized by some as God's work. Southern Decadence has a history of "filling the French Quarters section of the city with drunken homosexuals engaging in sex acts in the public streets and bars," says a statement from the Philadelphia Christian organization Repent America. This year's 34th annual Southern Decadence festival, which drew 125,000 revelers last year, was set to begin today in the Big Easy and run through next Monday. As writer John d'Addario explained in "Southern Decadence 2005:  Parades and non-stop parties aside, Southern Decadence may be most famous (or infamous) for the displays of naked flesh which characterize the event, which is only fitting, since New Orleans in early September is generally the closest thing you'll ever experience to walking around in a steambath outside of a health spa. While police have started to crack down on public lewdness and pressure from a local crackpot conservative religious organization has caused the five-day festival to become a little more sedate than it was in years past, the atmosphere of Southern Decadence has stayed true to its name and public displays of sexuality are pretty much everywhere you look. Of course, the massive flooding of the city and evacuation order from Gov. Kathleen Blanco has forced the event's cancellation. "Although the loss of lives is deeply saddening, this act of God destroyed a wicked city," stated Repent America director Michael Marcavage in a statement. "From 'Girls Gone Wild' to 'Southern Decadence,' New Orleans was a city that opened its doors wide open to the public celebration of sin. May it never be the same." Repent America says three former and current mayors of New Orleans have issued official proclamations welcoming visitors to Southern Decadence. "Let us pray for those ravaged by this disaster. However, we must not forget that the citizens of New Orleans tolerated and welcomed the wickedness in their city for so long," Marcavage said. "May this act of God cause us all to think about what we tolerate in our city limits, and bring us trembling before the throne of Almighty God." Marcavage was one of the five Philadelphia Christians arrested last year for protesting at a homosexual event. The charges eventually were tossed out.

 

 

Ouch! $6 Gas Near Atlanta

Sept. 1….(World Net Daily) As impacts of Hurricane Katrina affect both the production and transportation of fuel, gas stations in the Atlanta area today dramatically jacked up their prices, with one charging $5.87 a gallon. WSB-TV in Atlanta confirmed to WND that a retailer in a rural area outside the city had priced its gas at $5.87, and the TV station indicated it had another unconfirmed report of $5.99. The sudden increases prompted Georgia Gov. Sonny Perdue late today to enact an executive order preventing retailers from selling gas at an unreasonable or egregious price. According to the Atlanta Business Chronicle, the law does not prevent price increases that accurately reflect an increase in the cost of the goods or services to the retailer, an increase in the cost of transporting the goods or services into the area, or an increase due to the market forces of supply and demand. Perdue's office indicated the gouging was going on in all parts of the state, not just in the Atlanta area. "We will not tolerate the exploitation of Georgia consumers as we recover from the effects of Hurricane Katrina," Perdue said in a statement. "Violators of this price gouging statute will be punished to the fullest extent possible." Most Atlanta stations that raised their prices placed them at between $3.50 and $4. There were '70s-era gas lines at several stations. Mike Brown, owner of Georgetown Chevron in Chamblee, Ga., said his station had run out of gasoline. "People are just lined up,'' he told Bloomberg. "All of a sudden, people are panicking.'' Katrina knocked out about 95 percent of oil production in the Gulf of Mexico, a key supply point for the US About a quarter of domestic oil comes from the region. Alpharetta-based Colonial Pipeline, the largest pipeline distributing fuel into Georgia, expects to be operational again by Labor Day weekend, the governor said. "There's plenty of gas on the way," Perdue said at a news conference. Referring to the executive order, Perdue stated, "I'm frankly embarrassed for our state and some of our businesses that we have to do this." Meanwhile, several gas stations in the Milwaukee area ran out of fuel for several hours at a time, having to post "Out of Gas" signs at their pumps. The outages were blamed more on logistical problems on the supply end than any increase in demand, Forbes.com reported. As World Net Daily reported, many of the nation's truck drivers are encountering unprecedented fuel rationing at truck stops as they brace for a spike in prices.

 


New Orleans is Sunk

imageAug. 31….(MSNS) Rescuers along the hurricane-ravaged Gulf Coast pushed aside the dead to reach the living Tuesday in a race against time and rising waters, while New Orleans sank deeper into crisis and Louisiana's governor ordered storm refugees out of this drowning city. An estimated 80% of New Orleans is under water, up to 20 feet deep in places, with miles and miles of homes swamped. The situation is untenable," Louisiana Gov. Kathleen Blanco said. "We're not even dealing with the dead bodies," New Orleans Mayor Nagin said. "We are just pushing them on the side." Army engineers struggled without success to plug New Orleans' breached levees with sandbags, and the governor said Wednesday the situation was worsening and there was no choice but to abandon the flooded city. "The challenge is an engineering nightmare," Gov. Kathleen Blanco said on ABC's "Good Morning America." "The National Guard has been dropping sandbags into it, but it's like dropping them into a black hole." As the waters continued to rise in New Orleans, four Navy ships raced toward the Gulf Coast with drinking water and other emergency supplies, and Red Cross workers from across the country converged on the devastated region. The Red Cross reported it had about 40,000 people in 200 shelters across the area. Officials said the death toll from Hurricane Katrina had reached at least 110 in Mississippi, while Louisiana put aside the counting of the dead to concentrate on rescuing the living, many of whom were still trapped on rooftops and in attics. Governor Blanco asked residents to spend Wednesday in prayer. "That would be the best thing to calm our spirits and thank our Lord that we are survivors," she said. "Slowly, gradually, we will recover; we will survive; we will rebuild."

 

Naval Academy to Keep Saying Prayers

Aug. 31….(Fox News) The Naval Academy has no plans to drop the regular saying of grace before its midshipmen's lunch, despite a policy issued this week by the Air Force to discourage most public prayer, a spokesman said. The Naval Academy is the only US military institution that holds formal prayer at lunch, a ritual that might date to its founding in 1845. Its chaplains say grace at the mandatory lunch for its more than 4,100 midshipmen. Academy spokesman Cmdr. Rod Gibbons said there are no plans to change the tradition of what he has called "devotional thoughts." Prayers are nondenominational and are led by Roman Catholic, Jewish or Protestant chaplains. The 4th US Circuit Court of Appeals ruled in 2003 that mealtime prayers at the Virginia Military Institute in Lexington, Va., violated the First Amendment. The American Civil Liberties Union Foundation of Maryland and the Anti-Defamation League have asked the Navy to stop the lunchtime prayer based on that ruling, but academy leaders have declined. The new Air Force regulations came after several internal and external reviews that questioned evangelical proselytizing by faculty, staff and cadets at the Air Force Academy. The Air Force's new policy says prayer "should not usually be included in official settings such as staff meetings, office meetings, classes or officially sanctioned activities." The Air Force has also stated that prayers should be kept brief and preferably quiet.

 


The “Birth Pangs” Intensify

Aug. 31….(Jan Markell/Olive Tree) Most people know that birth pangs intensify and become more frequent as the baby is about to be born. Some translations call this “the beginning of sorrows.” And that is exactly what is happening around the world. News’ stories suggest Hurricane Katrina was “a once in a lifetime” event. How many times in the last five years have we heard that something, usually a disaster, was “of Biblical proportions? Hurricane Katrina is America’s tsunami though you might not know that unless you’re watching Fox News. What you won’t hear anywhere is that this week New Orleans was to observe “Southern Decadence Day with 100,000 homosexuals gathering there to commit unspeakable acts in public. Previous events were photographed and sent to the mayor and police officials but they did not care. They had their own lust: The $100,000,000 the event brings in. Gambling casinos took a hit on the coast as this is where the eye of the storm hit. And as America forced Israelis out of parts of their land, hurricane Katrina was building in the Atlantic. A Fox reporter said, “It must be an emotional experience (for Americans) to walk away from their homes and not ever live in them again.” Same with those forced out in Israel. Israeli homes are being demolished as Gulf Coast homes are demolished. This was America’s greatest “evacuation.” Now we have “refugees”. Israelis were evacuated and many are refugees living in tents and refugee centers, thanks to America. The Israeli uprooting will affect their entire economy in that some of their finest produce which was exported is now left behind. America’s economy could face a steep recession as oil processing refineries were damaged. Plan to see price increases within days. Will this bring our economy down? Major industries will be affected from food delivery, jet fuel, travel, insurance, and so much more with the “ripple effect” of skyrocketing gas prices. Luke 21 talks about “the sea and the waves roaring” and “men’s hearts failing them for fear.” We must not stop there. It goes on to say, “When these things begin to happen, look up and know your redemption draws nigh. Everyone has a mantra today. Mine is this: You cannot understand world events without the proper interpretation of Bible prophecy. It’s as simple as that. Let us continue to pray for the “homeless” both in America and Israel. Millions have had their lives torn apart and our greatest contribution to them, other than physical needs, is prayer.

 

 

Netanyahu: Sharon Will Split Jerusalem

imageAug. 31….(Arutz) Jerusalem is in danger, former Prime Minister Benjamin Netanyahu said yesterday on his first campaign tour. Netanyahu said that by relinquishing every grain of Gaza sand, Sharon had sanctified the pre-1967 lines and the potential division of Jerusalem. "The Palestinians are actively trying to detach Jerusalem from Maaleh Adumim." He called for a new wave of construction to create Jewish contiguity between the two. Quick to blame his political rival, Netanyahu said, "I unfroze the construction in this area in 1999, and today, Sharon is freezing it." He blamed the Prime Minister's policies for isolating Jerusalem. "The Palestinians are building from north to south, suffocating Jerusalem," Netanyahu said. "Sharon perpetuated that situation by stopping Jewish construction because he gave in to international pressures." Netanyahu was accompanied on his tour by Knesset Speaker Ruby Rivlin. He is hoping to receive the party's right-wing support against likely candidates Uzi Landau and Moshe Feiglin. However, many in the religious-Zionist camp are not likely to quickly forget that he resigned from the government only after it was too late to save Gush Katif. At his candidacy-announcing press conference yesterday, Netanyahu, who served as Prime Minister from 1996 until he was defeated by Labor's Ehud Barak in 1999, said, "Our political home [the Likud] has experienced a great shake-up that threatens all of us. The man who received our votes turned his back on us. Ariel Sharon abandoned the Likud's principles and chose to take the path of the left-wing. The Likud and the country need a leader that will deal with terrorism, and with the splits in the nation. We need a leader who can unify the ranks and rebuild from the ruins." Netanyahu's candidacy caused a stir in Labor, as well. With none of the Labor candidates for party leader taking a real lead, last-place Ehud Barak shrewdly called for all of them to unite behind Shimon Peres.

 

 

Is Another Oil War Brewing?

Aug. 30….(FOJ) Last week CBN President Pat Robertson caused a lot of media waves when he called for the assassination of Venezuelan President Chavez. Not many Americans are aware that the Venezuelan leader is changing Venezuela into a Marxist regime that is overtly friendly to the likes of Osama Bin Laden and Fidel Castro.

Chavez adeptly leverages Venezuela's oil industry to forge an array of regional alliances that leave the United States vulnerable to economic warfare. Thus the reason that President Bush this summer was moved to be extra cozy with King Abdullah of Saudi Arabia. Venezuela supplies more oil to the US than both Iraq and Kuwait combined. Venezuela is America’s number two source for oil, and the prospect of Venezuela cutting off the spicket to the US would have serious ramifications, especially if the shipment of crude oil from Saudi Arabia become impeded for some reason. (terrorism) Every week, Mr. Chávez threatens the United States with canceling the sale of crude oil from Venezuela. He does so from the ''anti-imperialist tribunal'' with which Venezuelan Chavistas have been amusing themselves this summer, an anti-American circus where participants call Bush ''Mr. Danger'' and insult his Cabinet with terrible epithets, and rant against the American led war on terror in Iraq. Oddly enough, they even rant and rave about the illegal occupation of territory by Israel. Ummm! According to Chávez, if Venezuela stops US oil sales, it already has a substitute client. The client he is referring to is China, which is moving all around the world to displace American oil supplies, and establish trade alliances that favor China, and cater to an anti-Israel fervor in oil producing states. Venezuela exports two tankers of crude to the United States every day, and already this year Venezuela has seen the threat of politically-manipulated oil strikes interrupt sales to the US. In one year, Venezuela delivers approximately 16 percent of all US imported oil. It is not impossible for the US to find other sources of supply in the immediate future, and Venezuela knows it, and Mr. Chavez seems to be using his spicket control to assist his Marxist-terrorist friends around the world against the US. Many oil analysts speculate that the OPEC states and other oil-producing nations may hit a steeper decline in production in the next 3 years. With America getting the majority of its foreign oil supplies from Canada, Mexico, Venezuela and Saudi Arabia, it shows what effects Venezuela and Saudi Arabia could have on the American economy. Political hackers say that Mexico is using its oil reserves to blackmail Washington into turning a blind eye to illegal immigration, and that in turn serves the interest of the Middle Eastern terrorists organizations that are waging Jihad against the US. Saudi Arabia is really ground zero in the war-on-terror, since Saudi Arabia controls the largest share of the world's oil, and it is home to Osama Bin Laden and thousands of insurgents in Iraq . It also serves as the market regulator for the global petroleum industry. No country is more dependent on Saudi oil than the United States, and the cutting off of the Venezuelan spicket only makes the US more dependent on Saudi Arabia. Shutting off the Saudi spigot would be devastating to the US. But, there is one other scenario before us. What if the hand on the spicket controls in Saudi Arabia fall into the hands of an anti-American, anti-Israelradical core of devout Wahabbi-following Islamic fundamentalists such as Al Qaeda. They would take over Arabia and cast out the House of Saud. Iran and the other Islamic Fundamentalists have been trying to do this for years. Islamic Fundamentalists do not believe the Saudi royal family are worthy of ruling “holy Mecca.” Coupled with the Marxist Chavez in Venezuela, the likes of Osama bin-Laden would have control of the world’s oil supply. Guess who would be shut out? America would be in for an economic catastrophe, and her standing as the superpower of the world would become voided. Alas, isn’t that what much of the world is wanting anyway? And it would make encircling Israel a simple matter

 

 

New Sanhedrin Calls For Jewish Temple

Aug. 30….(Temple Mount Institute) The Jewish Sanhedrin has officially called upon all groups who work in the area of Temple and Temple Mount-related research and activity, to begin to prepare detailed architectural plans for the construction of the Holy Temple, towards the goal of its establishment in its proper place. The Sanhedrin will establish a forum of architects and engineers whose goal will be to implement this decision, so that detailed working plans are effectively brought to an operational stage. The Sanhedrin calls upon the Jewish people to contribute towards the acquisition of materials for the purpose of rebuilding the Holy Temple; the gathering and preparation of prefabricated, disassembled portions of this building to be stored and ready for rapid assembly, in the manner of King David. These contributions will be considered "chulin," i.e., non-sacred, for the purpose of the planning and construction of the Temple.

 

 

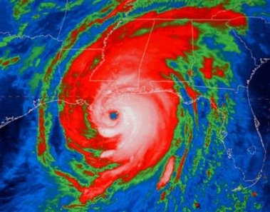
Hurricane Katrina Veered Away from New Orleans

imageAug. 30….(FOJ) Hurricane Katrina was classified a category 5 hurricane Sunday night, and was taking a direct aim at New Orleans, Louisiana. New Orleans just happens to be America’s party town, and a major center for the oil refining industry. As it sat offshore early Monday morning, it looked as if Katrina was baring down on mainland USA at its weakest point, and taking aim at its oil infrastructure at the same time. New Orleans might have ceased to exist, and America’s economy could have taken a debilitating blow.

At the last moment however, Katrina veered east of New Orleans and hit the casino laden Mississippi Gulf Coast. Had Katrina veered west of New Orleans the city would still have undergone the massive flooding predicted in a direct hit, but by veering east, New Orleans was subjected to Northerly winds in the counter clockwise rotation in the storm, thus much of the storm surge was pushed back out to open sea rather than pushed into the city. It was a close call. Although many people have lost their lives, and many people are still suffering from the storm, it looks as if a mighty hand from above spared the city from a much worse fate. It appears that God is sending America a message! Last week, America forced Israel to uproot its people from part of the Promised Land, and hand it over to the maniacal terrorists that are sadistically seeking Israel’s extermination. America better heed this warning. The next Big Hit on our shores may not come from Mother nature, but from the enemy (terror) that is seeking our destruction!

 

 

PA Wants Arafat's Tomb on Temple Mount

Aug. 30….(JNEWSWIRE) The Palestinian Authority still intends to have its former iconic leader Yasser Arafat entombed atop Israel's holiest site, the Jerusalem Temple Mount, a senior “Palestinian” official announced Sunday. Chief PA negotiator Saeb Erekat said during a meeting in Jericho that transferring Arafat's grave from Ramallah to Jerusalem in accordance with his wishes was a “trust” deposited with the PA. During his decades of fighting to obliterate the Jewish presence in the Middle East, Arafat repeatedly expressed his desire to be buried at the Al Aqsa Mosque, which sits at the Temple Mount's southern end. Arafat died last November from what are still undeclared causes. Israeli Foreign Ministry spokesman Mark Regev told The Jerusalem Post Arafat's re-interment in Jerusalem was a non-starter. “From the Israeli perspective the issue is not on the agenda and neither do I expect it to be on the agenda,” said Regev. The Temple Mount is the one place on earth the God of Israel declared He would put His name. It has for millennia been revered by the Jewish people as their most holy site. In 1967, the mount reverted to Jewish sovereignty after nearly 2,000 years in the hands of foreign occupiers, all of whom, from the Romans to the Byzantines to the Muslims, sought to erase Israel's connection to the site by constructing their own shrines atop the hill. Many Jews and Christians believe the Bible foretells a soon coming day when Israel's temple to the Almighty will be rebuilt.

 

 

Battle for Jerusalem has Begun in Earnest

Aug. 30….(JNEWSWIRE) The Palestinian Authority held its weekly cabinet meeting for this week in a Mount of Olives town just half-a-kilometer away from the Temple Mount. Convening in Abu Dis, it was the first time that PA lawmakers held such a meeting adjacent to the heart of the Israeli capital, which the Palestinian Arabs claim for their own. While a Palestinian Authority official said the meeting's aim was to express the Arabs' concern over Israel's “plan to expand settlements,” the decision to convene the meeting so close to Israel’s holiest site was apparently made by a PLO emboldened by its successful campaign to drive the Jews out of the Gaza Strip. Since Israelis were expelled from the strip last week, the PA has reiterated its resolve to also see the Jews driven from the heart of Israel’s ancient land, including Jerusalem. Following that line, PA Prime Minister Ahmed Qureia declared during Sunday's meeting that “the fight for Jerusalem has begun.” “And it is a dangerous war,” continued Qureia, insisting the Arabs, both Muslim and Christian, would never accept Jewish sovereignty in the city where Israel's kings once ruled. Abu Dis is located between the site of the biblical town of Bethany and one of two sites identified as the village of Bethpage. It is an area rich in Jewish and Christian history, Bethany being a place Jesus loved to frequent and Bethpage the site where sacrifice animals were kept before being taken up to the Temple Mount. The Temple Mount was designated by the God of Israel as His holiest site, the place where He put His name. It is the holiest place to the Jewish people. Abbas’ predecessor, Yasser Arafat wanted to be able to see the mount from his offices in Abu Dis. Reports a few years ago spoke of his ambition to lead worshippers to prayer on the Temple Mount after the successful establishment of his state. Arafat wanted to be buried on the Temple Mount but Israel would not permit this desecration of its sacred site. The compound built in Abu Dis under the Oslo Accords has served in the past as headquarters for PA security organs, including Force 17, the General Intelligence Force, the Preventative Security Service, Military Intelligence, the Political Guidance Apparatus (responsible for military and political propaganda) and the Palestinian Police forces. In May 2000, then-Prime Minister Ehud Barak extended “A-area” status to the town, placing it under full PA control.

 


Hurricane Katrina - The fist of God?

imageAug. 29….(By: Stan Goodenough) Today is going to be a terrible day for millions of people in the United States as Hurricane Katrina comes roaring ashore on the northern Gulf Coast of the country. Hopefully, prayerfully, despite the worst-case scenarios being predicted by many weather experts and others in the media, there will not be an enormous loss of life. But even if no one dies, the thought of hundreds of thousands of people having to leave their homes in the last 48 hours to stream out of the hurricane’s path, not knowing what they will come back to, what will happen to their neighborhoods, their houses, their possessions, almost everything they hold dear, is a terrifying thought indeed.

Untold numbers of people are about to be made refugees. Life, as many in the south-eastern USA have known it for generations, is about to change, painfully and dramatically. For millions more citizens in the “greatest nation on earth,” those who are not physically near the advancing storm, their existence is also about to take a turn for the worse. Katrina has forced oil workers to evacuate rigs in the Gulf of Mexico, stopping the production of 600,000 barrels of oil a day. Seven oil refineries and a major oil import terminal have been closed. Oil prices have already gone through the roof, soaring to a record high of $70.80 a barrel of crude since last Friday. Things could get much worse. The US is particularly sensitive to oil price hikes. While comprising just five percent of the world population, Americans daily consume 20 million barrels of oil, 25 percent of the world’s total. Two weeks ago, the monster Katrina was not on any radar screen, although the 2005 hurricane season, which began in July and will not peak until September, had already seen a record number of hurricanes. On August 14, citizens in the United States, like people around the world, heard about the issuing of an order for the forced evacuation of Jews from parts of Israel’s biblical land. For six days they watched as thousands of weeping people were pulled and carried from their homes, forced to leave their gardens, parks, communities, schools, towns and synagogues, everything they had spent decades building; banned from ever returning again. Those scenes were soon followed by pictures of bulldozers and other earth-moving machinery pulverizing the just-vacated homes into heaps of dust. While this was taking place, a small tropical depression was forming near the Bahamas in the Atlantic Ocean. Slowly, as the air began to revolve, the nonthreatening weather system began moving in the direction of Florida. Yesterday, we in Israel watched as American officials, including President George W. Bush, ordered the mandatory evacuation of New Orleans and its surrounds. That small depression had turned into a frightening fiend. Now we are seeing on our television screens up to a million people being forced to leave their homes. People are weeping on camera, mourning that they are going to lose “everything we own; everything we have worked for.” As today unfolds we are bracing to see wind and water pounding homes, whole communities, into the ground. Is this some sort of bizarre coincidence? Not for those who believe in the God of the Bible and the immutability of His Word. What America is about to experience is the lifting of God’s hand of protection; the implementation of His judgment on the nation most responsible for endangering the land and people of Israel. The Bible talks about Him shaking His fist over bodies of water, and striking them. While the “disengagement” plan was purportedly the brainchild of Israeli Prime Minister Ariel Sharon, the United States of America has for more than a decade been the chief sponsor and propeller of a diplomatic process that has dangerously weakened Israel in the face of an overwhelming, growing threat to annihilate her. In the context of the last 12 years of peace-process history, and not withstanding the desire of many on Israel’s left to go ahead with this process, the Sharon disengagement plan was something that was forced on Israel, primarily by the United States. “It is a fact that Israel’s very existence is in grave danger, because of our nation’s sponsorship of 'land for peace' plans, which have led her to the brink of war,” writes US author William R. Koenig, in his 2004 book Eye to Eye– Facing the consequences of dividing Israel. On the cover, a grim-faced President Bush is shown looking warily at a massive hurricane threatening his country. Koenig writes, in a book listing major natural and man-made disasters experienced by the USA during its peace-process efforts in the Middle East:“America is now experiencing the consequences (curses) of Middle East policies, which have been opposed to God’s Word and to the preservation of His covenant land.” As this “storm of a lifetime” wreaks its rage on the southern United States today, non-believers may be tempted to shake their fists at God. Others will cry out for mercy. Will God hear them? Our prayer is that He will. “Pray for us. Pray for all of New Orleans,” a weeping woman resident of the city pleaded on an international television network Sunday evening as Katrina barreled its way towards her. Many in America couldn’t have cared less about Jews being forced out of their homes and losing everything they have built. Here in Israel, many Jews will be feeling for the Americans who are now facing similar tragedies, tragedies brought about by the forces of heaven rather than through the political power of men. Can’t you see the link, America? Won’t you see the link?

 


WEEK OF AUGUST 21 THROUGH AUGUST 28

 

 

Palestinian Rockets hit North and South

Aug. 26….(JNEWSWIRE) In what may prove to have been an ominous warning of terrors to come, missiles fired by Israel’s Arab enemies hit targets in the north and south of the country within less than an hour of one another Thursday. Two Katyusha rockets were fired at the northern Galilee from southern Lebanon at around 11:00 AM, one of which landed in a moshav (Israeli cooperative farm), while the second fell within Lebanese territory. No injuries were reported in that attack. Less than 60 minutes later, Palestinian Arabs fired two Kassam rockets into the northern Negev from within the Gaza Strip. One hit the town of Sderot, causing some damage but no injuries. It is unclear whether there may have been an attempt to coordinate the two strikes, which came after Israeli forces Wednesday conducted an anti-terrorism operation in the Samarian town of Tulkarm, killing five Palestinian Arabs, among them senior members of Islamic Jihad. Earlier, in the first terrorist attack in Jerusalem’s Old City for many months, a knife-wielding Arab stabbed two Jewish men, killing one and lightly wounding the other. Claiming credit for the strike from Gaza, the military wing of the so-called Popular Resistance Committees said it was a response to “the crime” in Tulkarm, “the continuation of the security fence construction and West Bank settlement expansion.” Palestinian Authority chairman Mahmoud Abbas lashed out at Israel, saying it was responsible for the upsurge in violence, and calling for international condemnation of the Jewish state. Israel put its military in the north on high alert following the Galilee attack, and lodged a complaint with the United Nations. A spokesman for the US “peace-keeping” force in Lebanon called on both sides to “exercise restraint.” Southern Lebanon was unilaterally vacated by Israeli forces in 2000. Israel is presently in the midst of completing a unilateral withdrawal from the Gaza Strip. On August 19, while the current withdrawal was in full swing, terrorists fired a Katyusha rocket from Jordan into the Israeli Red Sea port city of Eilat. Israelis opposed to the “disengagement” from Gaza, among them the previous IDF Chief of Staff and the previous head of Israel’s Internal Security Services, have argued that the one-sided Israeli pullout will be followed by simultaneous rocket attacks in the north and south. Israel’s Army Radio reported Wednesday that the Popular Resistance Committees, the same group that claimed responsibility for this morning’s rocket attack on Sderot, had announced its development of a missile called the Sajil which, it said, had a longer range than the Kassam, bringing southern Ashkelon within reach. In Lebanon, the Hizb’allah is believed to have about 13,000 missiles deployed for use against Israel. Some, like the Fajr-3 and the Fajr-5, have ranges that can reach south of Haifa, targeting an area that holds about a third of the Israeli population, half of its industry and its main oil refinery. Unverified reports more than a year ago indicated that Iran had also deployed Zelzal-2 heavy artillery rockets “capable of carrying half-a-ton of chemical warheads as far as Tel Aviv.” Most of these rockets are flown from Tehran to Damascus International Airport, and are transported from there by truck into Lebanon. The small-scale strikes this week were the preface for terror assault plans thoroughly prepared behind the screen of the Gaza disengagement. Israel’s dismantling of Gaza communities was constantly accompanied by Hamas vows to pursue its violent campaign until the last Israeli was dead or out of Palestine and al Qaeda-Palestine’s publication of five threatening communiqués. The night before the Tulkarm clash, Shmuel Matt, 21, from London, was stabbed to death in the Old City of Jerusalem in an attack on three Yeshiva students that was claimed by al Qaeda-Palestine, a new player on the expanding anti-Israel terror stage. Military sources reveal that Hizballah’s triple rocket attack on northern Israel was no accident, but coordinated by Al Qaeda-Hamas-Hizballah’s as a post-disengagement strategy. The Lebanese terrorists were retaliating for the Israeli raid in the West Bank town of Tulkarm. At least two of the Palestinians killed were either Hizballah agents or Fatah-Al Aqsa Brigade operatives which the outside group controlled and funded. By striking back on behalf of its Palestinian partners, the Hizballah shows that it is ready for the West Bank war.

 

 

America’s Role in Dividing Israel is Bringing Judgment

Aug. 26….(By Bill Wilson, Montana News Senior Analyst) The role of America in the eviction of Jews from the covenant land has been pivotal in bringing political disruption, natural disasters, economic disaster and violence against the United States. Every President since Jimmy Carter has tried to broker peace by putting Israel on a path to give up its land.  President George W. Bush is the first President to ever advocate a Palestinian state and apply constant and forceful pressure for Israel to give up its land. And since this pressure has become so intense during the Bush Administration, Islam has prosecuted the war on terror ferociously against America; fuel prices have more than doubled; the direct nuclear threat against the US has increased; temperatures, droughts, earthquakes and hurricanes have increased; and America lives in constant vigilance against attacks on its own soil. A thorough understanding of Biblical prophecies, the Word of God, would indicate that modern Israel is the fulfillment of prophecy and the standard by which future prophecies will be fulfilled.  In Ezekiel 37:5, the Lord said unto the dry bones of Israel, “Behold, I will cause breath to enter into you and you shall live.”  And on May 15, 1948, Israel came alive once again as a nation.  And Jesus, speaking of the end times in Matthew 24, said to learn the parable of the fig tree, that when its branches sprout leaves that “this generation shall not pass, till all these things be fulfilled.”  The fig tree is Israel and many of the events of Jesus’ Matthew 24 prophecies are being fulfilled in this very generation. The world has focused itself on Israel, this tiny little nation whose dry bones became flesh by the vote of the United Nations.  All Arab states at that time voted against the establishment of Israel and vowed to destroy it.  The world has come against the nation it created by intensely pressuring Israel to give up the heart of the covenant land, Judea and Samaria, commonly known today as the West Bank. Under intense pressure from the United States for Israel to comply with U.N. Resolution 242, requiring Israel to give up the land it acquired as a result of war in 1967 and 1873, Prime Minister Ariel Sharon has unilaterally given up Gaza as a peace offering to the Palestinians with Samaria and Judea not far behind. The Palestinians have answered with the slogan “Gaza today, Jerusalem tomorrow.”  Palestinian leaders at the Palestinian Authority, Hamas, and at Islamic Jihad now claim victory and demand Jerusalem. The United States may be facing God’s judgment for its role in forcing Israel to give up land for peace. Not since the war of 1812 was America attacked on her own soil. And now America is under attack by the same enemy of Israel, radical Islam.  America is mentioned in the same breath with Israel at the United Nations, in Iran and Syria, and on the lips of every terrorist who stands on the violent passages of the Koran. America is joined with Israel, grafted in by the covenant of those who dedicated America in its infancy to God and to the advancement of the gospel of Jesus Christ. The pattern is clear--so long as America continues to advocate the division of Israel, judgment will be commensurate with the increasing pressure. Pray for the peace of Jerusalem! Pray that America is not “cut in pieces” for coming against Jerusalem as the prophecy of Zechariah promises.



Palestinian Authority Greenlights Terror Ops

Aug. 25….(WND) Palestinian Authority Prime Minister Ahmed Qurei and members of various Palestinian terror groups this week decided at a meeting that "resistance" (terror) against Israel would continue and would be coordinated at the national level until the Jewish state evacuates "all territories," WND has learned. Earlier this week, it was reported that PA Prime Minister Qurei held a private conference in Damascus with leaders of Hamas, Islamic Jihad and the Popular Front for the Liberation of Palestine. According to media reports, the parties reached an agreement under which the PA would not attempt to disarm the terror groups in spite of recent US and Israeli calls for the groups to be dismantled after the Gaza evacuation. But security sources close to the meeting told WND agreements reached at the conference went one step further, it was concluded the Palestinians would continue to use "resistance" (terror) against Israel until the Jewish state leaves "all occupied territories," code for the destruction of Israel. The resistance, the sources said, is to be coordinated between the Palestinian groups and based on the foundations of Palestinian unity. Qurei also allegedly discussed other ways of cooperating with the terror groups after Israel's Gaza evacuation is completed, and stressed that the focus of the Palestinian struggle must be turned to the West Bank and eastern Jerusalem. Said a security source, "just the fact alone that the PA won't disarm the terrorists is already a green light to go ahead with attacks.” But there is information the idea of future attacks were discussed and encouraged." The revelations are significant. Since Mahmoud Abbas assumed control of the Palestinian government following the death last year of PLO Chairman Yasser Arafat, the PA has been careful not to publicly endorse terrorism. Islamic Jihad Chairman Ramadan Shalah yesterday echoed the alleged conclusions of the Qurei meeting in an interview he gave in Arabic to Al-Jazeera. "We reached an agreement regarding a common strategy based on the premise that the resistance was a strategic option which should not be interfered with and which had to continue on a foundation of Palestinian national unity," Shalah said. Shalah stressed the PA had agreed not to disarm his group "as long as Palestinian land was occupied." At a press conference held after the meeting, Musa Abu Marzuq, a member of Hamas' political office, stated, "The real battle with Israel was on the West Bank. We hope there will be no disagreement with the Palestinian Authority regarding the weapon of resistance, (terrorism) because as long as the occupation exists the weapon must exist." The same day Hamas, Islamic Jihad and local terror groups including the Democratic Front and the Jerusalem Battalions held competing parades in which each claimed their violence drove Israel out of the Gaza Strip. Several thousand Palestinians attended a Hamas rally in Gaza and a separate victory procession in Nablus in which Hamas flags and models of the Temple Mount were waved, and mock tanks, rockets and even houses of Jewish settlers were displayed. Hundreds reportedly attended a rally in Khan Yunis led by the Democratic Front, and about one thousand Palestinians marched in a Jerusalem Battalions victory procession in Rafah. Afterward, the Battalions held a press conference in which a spokesman stressed his group's determination to "do whatever it took" to liberate the "rest of our land," including kidnapping Israelis and committing "resistance attacks."

 

 

 

PA Ministry of Culture Glorifies Female Terrorist

Aug. 25….(Arutz) The PA's Ministry of Culture released its "Book of the Month" on Monday, a poetry collection honoring female suicide terrorist Hanadi Jaradat, who murdered 19 Israelis. It was distributed as a special supplement in the daily Al-Ayyam. Entitled "What Did Hanadi Say?" the collection includes a poem glorifying Jaradat's act of suicide terror, calling it "the highest goal": "O Hanadi! Shake the earth under the feet of the enemies! Blow it up! Hanadi said: 'It is the wedding of Hanadi, the day when death as a Martyr for Allah becomes the highest goal that liberates my land.'" The poem is dedicated to Jaradat, referred to as "the Rose of Palestine," who murdered 19 Jews and Arabs in a suicide bombing in the Maxim restaurant in Haifa on October 4, 2003. While world leaders push for a two-state solution in Israel based on an Israeli retreat to the 1967 borders in exchange for a total cessation of terrorism, the PA Ministry of Culture poem published on Monday does little to encourage such a settlement. The poem, published in the PA Ministry of Culture arouses in its readers a yearning for Arab sovereignty over Israel's third largest city (Haifa) which is located deep inside of Israel's pre-1967 borders: O Hanadi! O Hanadi! Revenge calls! She shouted: 'O the light of my eyes! O my beloved, I long for Haifa.'  This same theme of sovereignty over all of Israel was echoed earlier this year in a sermon by Sheik Ibrahim Madiras broadcast on the Palestinian Authority TV. The PA broadcast called for Arab sovereignty over all of Israel, or meaning the elimination of Israel altogether. The PA broadcast exclaimed: “We might return to the 1967 borders by diplomacy, but we shall not return to the 1948 borders by diplomacy. No one on this earth recognizes our right to the 1948 borders, so therefore, we shall return to the 1967 borders, but it does not mean that we have given up on acquiring Jerusalem, and Haifa, Jaffa, Lod, Ramle, Netanya and Tel Aviv. In another example of honoring female terrorists, the PA's official daily, Al-Hayat Al-Jadida, yesterday trumpeted the establishment by Hamas of a brigade of aspiring female terrorists in the Gaza Strip, a brigade slated to be sent to the West Bank for terrorist operations.

 

 

Islam: In Its Own Words

imageAug. 25….(Jerry Robinson/Week in Review) According to the Islamic religion, war against unbelievers is a fundamental teaching and Jihad is an obligation of every able-bodied Muslim man. There are over 120 verses in the Quran advocating violence against 'unbelievers,' including Jihad.

Here is a sample of quotes taken directly from Islamic Holy writings:

 “Allah made the Jews leave their homes by terrorizing them so that you killed some and made many captive. And He made you inherit their lands, their homes, and their wealth. He gave you a country you had not traversed before.” (Qur’an 33:26)

 “I shall terrorize the infidels. So wound their bodies and incapacitate them because they oppose Allah and His Apostle.” (Qur’an 8:12)

 “He who believes in Allah and His Messenger has protected his life and possessions from us. As for those who disbelieve, we will fight them forever in the Cause of Allah. Killing them is a small matter to us.” (Tabari IX:69)

 “The infidels aid one another. Unless you do the same there will be anarchy in the land. Those who accepted Islam and left their homes to fight in Allah’s Cause are good Muslims.” (Qur’an 8:73)

 “Believers, take not Jews and Christians for your friends. They are but friends and protectors to each other.” (Qur’an 5:51)

 “Your Lord inspired the angels with the message: ‘I am with you. Give firmness to the Believers. I will terrorize the unbelievers. Therefore smite them on their necks and every joint and incapacitate them. Strike off their heads and cut off each of their fingers and toes.” (Qur’an 8:12)

 “Jihad (holy fighting in Allah’s Cause) is ordained for you (Muslims), though you dislike it. But it is possible that you dislike a thing which is good for you, and like a thing which is bad for you. But Allah knows, and you know not.” (Qur’an 2:216)

 Fight those who do not believe in ALLAH (Qur’an 9:29)

"Oh, Allah, annihilate the Jews and their supporters!"

"Oh, Allah, raise the flag of Jihad across the land!"

Fact: At least 15 of the world's 18 current conflicts involve Islamic militants attempting to force their way of life upon their neighbors.

 


Palestinians Will Rename Gaza Settlement after Arafat

Aug. 24….(Jerusalem Post) Palestinians are planning to rename the settlements in the Gaza Strip "to erase any memory" of Israel's presence in the area. In recent weeks, the PA received many requests from Palestinians asking that the settlements be given Arab names. Most of the requests have come from families of Palestinians who were killed since the second intifada broke out in September 2000. The families want to honor their sons by calling some of the settlements after them. Others have demanded that some settlements be named after Palestinian leaders. The UAE announced last month that it would donate $100 million to build a new city for some 30,000 Palestinians on the rubble of Morag. Earlier this week, the PA approved the request. The city, which will consist of 3,000 housing units, will be named after UAE ruler Khalifa Bin Zayed. According to Agence France Press, some Palestinians have proposed to name Neveh Dekalim, the largest settlement in Gush Katif, after Yasser Arafat. The agency said other proposals called for naming Atzmona after a Palestinian "martyr" and Netzarim or Kfar Darom after slain Hamas leader Ahmed Yassin. Rafah governor Majid al-Agha said most of the areas would be named after countries or leaders who would help establish cities in the settlements. PA officials in Ramallah said it was premature to talk about new names for the settlement areas. "There are many proposals and we are studying them," said one. "We haven't yet reached a decision about the names. But what's certain is that at least one settlement will be named after Yasser Arafat."

FOJ Note: US Consul General Jacob Walles will transfer $50 million to PA Finance Minister Salam Fayyad on Wednesday to go towards repairing infrastructure and new construction in Gaza.

 

 

Bush: Next step is Establishing a working Palestinian Government

Aug. 24….(Ha Aretz) With the Israeli settlers out of the Gaza Strip, the next step is the establishment of a working Palestinian government and consolidation of its security forces, President George W. Bush said yesterday. He again praised Prime Minister Ariel Sharon for a decision to withdraw about 8,000 civilians, saying it changed the dynamics on the ground and provided hope for the Palestinian people. What must take place next is the establishment of a working government in Gaza, a government that responds to the people," he said at a vacation resort in this western state. He said Mahmoud Abbas, chairman of the Palestinian Authority, has committed himself to fight off violence because he understands a democracy can't exist with terrorist groups trying to take the law in their own hands. Bush said different Palestinian factions and security forces that were in place to help keep longtime Palestinian leader Yasser Arafat in power, but they did not provide overall security for the Palestinian people. Arafat died in November. Bush said US envoy William Ward, was in the region helping the Palestinians consolidate their forces. Another American, former World Bank president James Wolfensohn, is helping Abbas develop a government that responds to the will of the people. Bush said that for progress to be made "there must be confidence, confidence that the Palestinian people will have in their own government to perform; the confidence with the Israelis that they'll see a peaceful state emerging."

 


Islamic Jihad says all Palestinians United

(Leader says total annihilation of Israel joint strategy)

Aug. 23….(WND) In a news conference in Damascus, the leader of the Palestinian Islamic Jihad today boasted all Palestinian groups remain united in the goal of annihilating the Jewish state of Israel. With Palestinian Authority Prime Minister Ahmed Qureia looking on, Ramazan Abdullah, secretary general of the Palestinian Islamic Jihad, said the Palestinian Authority and all Palestinian movements have reached agreement on a joint strategy after Israel's evacuation of the Gaza Strip. This war would continue till full liberation of Palestine, restoration of the denied rights of the whole Palestinian nation and briefly speaking, uprooting of the usurper Israeli regime," he said, according to a translation by the official Iranian Islamic Republic News Agency. There would be no disputes between the groups, he asserted because "all Palestinian groups share the mutual concern of securing Palestinians national solidarity, favor restoration of social order and full establishment of Palestinian government organizations, they have all agreed on the need to move toward those objectives solidly and harmoniously." Though the Palestinian Authority has agreed to disarm terrorists within its territory, Abdullah said there is no dispute about arms between the various groups. "The issue of weapons at the disposal of resistance movement groups on one hand, and the Palestinian Authority on the other hand has neither been a matter of dispute in the past, nor would it ever be so in the future," he said. "Efforts made by Israeli Prime Minister Ariel Sharon and other Israeli officials are focused on highlighting the differences of opinion and disputes among the resistance movements on the one hand, and between them and the PA on the other, so that they could at best ignite the flames of a civil war among Palestinians. The Palestinians are alert and will not fall prey to the plots hatched by their enemies, nor would they ever begin fratricide, as the Zionists desire." Abdullah made clear there will be no relaxing of hostilities with Israel as a result of the pullback from Gaza. "The Gaza Strip that is being evacuated after thirty-eight years of occupation is only some 1.5 percent of the historic motherland of the Palestinians, and therefore its evacuation cannot mean the end of the liberation campaign," he said. Abdullah said the evacuation of the Gaza Strip by Israel did not occur because of negotiations, but rather because of armed struggle. "Let us not forget we have never succeeded in restoration of any of our denied rights from Tel Aviv relying on negotiations and that it has definitely been the restless resistance of the Palestinians, like that of the Lebanese, that has urged the Zionists to retreat from the Gaza Strip and Lebanon," said. "We would therefore, also liberate the rest of the occupied Palestine, particularly the dear occupied Holy Qods, [Jerusalem] by keeping alive our nation's resistance movement."

 

 

Pope Urges Religions to Unite Against Terror

Aug. 23….(by Chris Johnston/Rapture Ready) The Pope has told Muslim leaders they must help defeat terrorism and turn back the “wave of cruel fanaticism” that uses religion to incite hatred. Pope Benedict, in his first address to Muslim leaders, said yesterday that the world would be exposed to “the darkness of a new barbarism” unless religions united to combat terrorism. “Terrorism of any kind is a perverse and cruel decision, which shows contempt for the sacred right to life and undermines the very foundations of all civil society,” he told leaders of Germany’s Muslim communities. Benedict said those who planned and carried out such attacks wanted to “poison our relations, making use of all means, including religion, to oppose every attempt to build a peaceful, fair and serene life together”. Benedict, who had a meeting with Jews on Friday, is making good inter-religious relations one of the aims of his papacy. He also reminded Islamic teachers of the role they played. “Words are highly influential in the education of the mind,” he said. “You therefore have a great responsibility for the formation of the younger generation.”

 

 

Al-Qaida's nuclear efforts: 'sophisticated, professional'

(CIA official tried to blow whistle on 'American Hiroshima' plot in '96)

Aug. 22….(WND) The man who headed the Central Intelligence Agency's Osama bin Laden desk said he recognized al-Qaida's single-minded efforts to secure nuclear weapons for use against the US nearly a decade ago, but multiple efforts to have the terror leader captured before Sept. 11, 2001, went unheeded. "We had found that he and al-Qaida were involved in an extraordinarily sophisticated and professional effort to acquire weapons of mass destruction," Michael Scheuer told CBS News. "In this case, nuclear material, so by the end of 1996, it was clear that this was an organization unlike any other one we had ever seen." Scheuer was one of the CIA's foremost authorities on bin Laden. He was the senior intelligence analyst who created and then advised a secret CIA unit for tracking and eliminating bin Laden beginning in 1996. Scheuer said his bosses at the CIA were skeptical of the information about bin Laden's nuclear ambitions and ability. In a letter to the House and Senate Intelligence Committees earlier this year, Scheuer says his agents provided US government officials with about 10 opportunities to capture bin Laden. All of them were rejected. One of the last proposals, which he described to the 9-11 Commission in a closed-door session, involved a cruise missile attack against a remote hunting camp in the Afghan desert, where bin Laden was believed to be socializing with members of the royal family from the United Arab Emirates. By 1999, Scheuer was in trouble at the CIA because of his persistence about getting bin Laden, and was relieved of his position. His exile ended shortly after the attacks of Sept. 11, when he was brought back to the bin Laden unit as a special adviser. Now, he says, the problems are greatly complicated. He also says he fully anticipates bigger attacks on the US, including the probability of a nuclear terrorist attack. "One of the great intellectual failures of the American intelligence community, and especially the counterterrorism community, is to assume if someone hasn't attacked us, it's because he can't or because we've defeated him," said Scheuer. About the the prospects of a nuclear terrorist strike on the US by al-Qaida, he says: "I don't believe in inevitability. But I think it's pretty close to being inevitable. Yes, I think it's probably a near thing." Scheuer points out that bin Laden has announced his intentions. "He secured from a Saudi sheik named Hamid bin Fahd a rather long treatise on the possibility of using nuclear weapons against the Americans," he said. The treatise found that he was perfectly within his rights to use them. Muslims argue that the United States is responsible for millions of dead Muslims around the world, so reciprocity would mean you could kill millions of Americans." Scheuer says the fatwa was issued in May 2003, "and that's another thing that doesn't come to the attention of the American people." As WND has reported, for more than 10 years, bin Laden has planned to use nuclear weapons in a terrorist attack on the US. The plan is dubbed "American Hiroshima." In fact, as first reported in Joseph Farah’s G2 Bulletin, captured al-Qaida operatives and documents suggest the weapons have already been smuggled into the country.

 

 

Hamas: Christian Zionism is Our Enemy

Aug. 22….(Jerusalem Newswire) The Hamas terrorist organization has singled out Christian supporters of Israel, putting them on notice that it views their actions as “criminal,” making them enemies of the Palestinian Arabs. In an interview published in the Arabic language newspaper Al-Sharq Al-Awsat last Thursday, Mahmoud al-Zahar, a senior Gaza-based Hamas leader said, surprisingly, that his organization did not regard the West as the enemy. “We do not consider the West as an enemy but we believe Christian Zionism is criminal,” he said. While no Arab nationalist or Islamic group has thus far targeted Christians specifically for standing with Israel, the news that Hamas hates them as it hates the Jewish state will not surprise many who regard themselves as “Christian Zionists.” Christian Zionists, who are to be found mostly, but not exclusively, in the ranks of Evangelical Christianity, not only believe that the God of Israel gave the Land of Israel to the People of Israel. They also believe that they are to stand with Israel against those who are out to rob the Jews of their land. Millions of Christian Zionists around the world support the Jewish claims to the Land of Israel and reject Arab assertions that they have national rights to this land. While Arabs may and should be allowed to live in peace in the State of Israel, these Christians believe, any Arab efforts to assert sovereign control over any land in the biblical country of Israel are rejected.

FOJ Note: Focus on Jerusalem itself has experienced the hate of Islamic radicals like those of the Hamas terrorist organization. I have been told by these hatemongers that I will be killed for supporting Israel.

 

 

Last Gaza Community, Netzarim, to be Uprooted Today

Aug. 22….(Arutz) Netzarim was established just before the Purim holiday in the winter of 1972 by a group of young Jews from HaShomer HaTza’ir, a movement aligned today with the far left. The town was run as an army outpost until 1984, when the original settlers left and were replaced by new residents, who established a national-religious kibbutz there. A few years later, the collective was dismantled and a non-communal town was established. After their expulsion, Netzarim residents will take up temporary residence at the College of Judea and Samaria in Ariel. That region will not be their permanent abode, however, as the Disengagement Authority will reduce compensation to families choosing to live in Judea or Samaria. Netzarim residents have decided to establish a new town with the same name in the Negev. Many of Netzarim’s 75 families worked in agriculture, growing tomatoes, mangos, insect-free vegetables and raising chickens as well. Netzarim became a symbol of Israeli resilience to the onslaught of Arab terror that began with the first Intifada in 1988. The late prime minister Yitzhak Rabin, who refused to relinquish Netzarim after signing the Oslo Accords in 1993, was skeptical, however, of the town’s ability to survive under the harsh security conditions brought about by the establishment of the Palestinian Authority. Imbued with a powerful faith in the Almighty, and belief that ultimately the State of Israel will exert its sovereignty over all the land of Israel, Netzarim residents continued to plant and farm, until soldiers reached their town this morning.

 

 

Replaying an Old, Old Story

imageAug. 22….(Hal Lindsay) As usual, they find themselves reviled as hated interlopers, and, after a generation or so, they are expelled, and relocated, until the next whim of fate uproots their lives again. That story is being replayed for the umpteenth time, only this time, the Jews are being expelled to relocation camps by other Jews. As Israeli settlers, some of whom had spent a lifetime building their settlements, were carried away kicking and screaming by Israeli troops, jeering groups of Arab bystanders mocked them and Hamas terrorists fired mortars at Israeli installations. An Israeli woman at a roadblock in southern Israel set herself on fire to protest the evacuations. Five years of unrelenting terror, coupled with political betrayal and absentee alliances, has forced an Israeli surrender to terror. It doesn't matter what anybody else calls it. Hamas calls it "surrender." Islamic Jihad calls it "victory." The Palestinian Authority calls it the "first victory in the ongoing struggle for Jerusalem." Whether the West wants to see it or not, to the Islamic world it is proof positive that terrorism works. The Gaza withdrawal had barely begun when media headlines blared, "Abbas says Israel must give up more than Gaza." The Wafa News Agency quoted Abbas on Monday: The Israeli withdrawal that has begun today is an important and historic step that shouldn't only happen in Gaza, but also the West Bank and the rest of the land reaching to the 1949 borders. In 1967, Israel captured the West Bank from Jordan and the Gaza Strip from Egypt. Both were used as staging areas in a war designed to annihilate Israel. Israel captured these areas in a defensive war in which they were fighting for their lives. They annexed them as a buffer zone against future attempts to annihilate them. All this was in accordance with established international law. Forgetting why Israel took the land in the first place, the media announced the West Bank was "occupied territory." All historical precedence of other nations was denied to Israel. The cry of "occupied land" was repeated so often that even the next generation of Israelis began to believe it. In 1993, Israel agreed to a "land for peace" formula with Yasser Arafat. Israel offered limited autonomy over Jericho. But the moment it did, Arafat declared himself president of the "occupied" West Bank. The old proverb of "Give them an inch and they will take a mile" perfectly applies here. Before the ink was dry on the Oslo agreement, the media was speculating about a Palestinian state. Sharon's intention in withdrawing from Gaza was two-fold, the first was to demonstrate that it has been the Palestinians who have been the obstacle to peace all along. The second was to use the Gaza withdrawal as a "line in the sand," putting Israel in a position to refuse further land concessions, thereby permanently establishing Israel's borders. The Quartet squashed Sharon's first objective, by insisting Israel's "unilateral" withdrawal be coordinated and negotiated with the Palestinians. In so doing, Sharon's unilateral withdrawal became, in practice, a negotiated surrender under fire. The Bush administration ripped the foundation from under Sharon's secondary plan of refusing future land concessions, creating a de facto Israeli border that included all of Jerusalem. Out of the blue, it seemed, Bush announced his intention to impose a peace plan based on the 1948 borders, insisting that any deviation be by mutual agreement. In effect, Bush neutralized Israel's advantage of being in possession of the city. The 1948 borders would put East Jerusalem in Arab hands. Any deviation, according to Bush, would have to meet with Palestinian agreement. That means that the Arabs would have to agree to give up Jerusalem. If not, it is theirs automatically. Israel is left nothing with which to bargain. Here is what the world will not learn or believe ... and it is going to bring about its destruction. Jehovah God says that the Land of Israel belongs to Him. God warns the nations surrounding Israel about what He is going to do to them for stealing His land: Thus says the Lord God to the mountains, the hills, the rivers, the valleys, the desolate wastes, and the cities that have been forsaken, which became plunder and mockery to the rest of the nations all around – therefore thus says the Lord God: "Surely I have spoken in My burning jealousy against the rest of the nations and against all Edom, who gave MY LAND to themselves as a possession, with whole-hearted joy and spiteful minds, in order to plunder its open country." Therefore thus says the Lord God: "I have raised my hand in an oath that surely the nations that are around you shall bear their own shame." (Ezekiel 36:4, 5, 7 NKJ) Note that God declares that Israel is His land. In this same chapter in Ezekiel, God declares that He will bring the Israelites back to the land in the days just before Messiah comes. God testifies that even though the Israelites do not deserve it, He will return them to the land because of His oaths made to Abraham, Isaac and Jacob. Ezekiel and Zechariah warn of the global war that will come because of a dispute with the Muslim nations and the re-born state of Israel over Jerusalem and the land. It is interesting that the current Israeli leadership is doing exactly the same thing that early generations did. The Lord warned Israel: And you shall make no covenant with the inhabitants of this land; you shall tear down their altars. But you have not obeyed My voice. Why have you done this? Therefore I also said, "I will not drive them out before you; but they shall be thorns in your side, and their gods shall be a snare to you." (Judges 2:2-3) When God gave Israel the great victory of 1967, they failed to kick them off the Temple Mount. Moshe Dayan allowed pagan temples to remain on Israel's sacred Temple Mount. That set up the seeds of rebellion in the resident Muslim population. Then the ultimate compromise was made by Rabin and Perez at the 1993 Oslo agreement. It was at its root a recognition that Palestinian terror had worked. They agreed to give land for peace. As a result, Israel is losing the hard won land that God gave them. They are retreating to the indefensible borders of 1948-49. Now Israel is capitulating to the very area that hundreds of years ago they failed to cast out, Gaza. Today's enemies are even named after their ancient enemies of this area, the Philistines. Palestinian is the Arab pronunciation for Philistine. As God promised Israel long ago, this withdrawal from Gaza will be thorns in their side. And the foreign god, Allah, will be a snare to them. As Bible prophecy declares, they will have to make a covenant with the antichrist for their protection. And that will bring a catastrophe that only the Messiah can and will deliver them from.

 

 

US Secretary of State Rice: Gaza is Just First.

Aug. 22….(Jerusalem Post) "Everyone empathizes with what the Israelis are facing," she said in an interview with The New York Times. But, she added, "It cannot be Gaza only." Secretary Rice said this is "really quite a dramatic moment in the history of the Middle East," and praised Sharon for proving himself "enormously courageous." According to the Times, Rice said that while the withdrawal would take several weeks, Israel must take further steps soon afterward, including loosening travel restrictions in the West Bank and withdrawing from more Palestinian cities. She also said the Palestinian Authority must disarm Hamas. "That is their obligation under the road map," she said. Rice's comments prompted Agriculture Minister Yisrael Katz, a disengagement opponent, to call on Sharon to hold an emergency cabinet discussion on the matter. "Rice's comments prove there is no basis to the prime minister's statement that there will not be an additional disengagement," he said. "To my dismay, the unilateral evacuation of settlements from Gaza and northern Samaria creates a dangerous precedent which endangers the legitimacy of Israeli settlement in Judea, Samaria, the Jordan Valley, the Golan Heights and neighborhoods in east Jerusalem," Katz said. But a senior official in the Prime Minister's Office warned against blowing Rice's words "out of proportion." The official said that whereas some would automatically want to interpret her words as evidence that the US would now begin pressuring Israel to begin a second stage of disengagement, this was not what she said. He said Rice was interested in seeing the implementation of the security plan put together by her envoy, Lt.-Gen. William Ward, which called for Israel to transfer control of the West Bank cities to the PA, but which Israel halted because of security considerations. The official said Israel would transfer the cities to the PA when the security situation on the ground would make such a step possible. Furthermore, he repeated the government's well-known position that Israel would move ahead with the road map when the Palestinians fulfilled their obligations under the plan, first and foremost the dismantling of the terrorist infrastructure. Some officials in Jerusalem have warned in recent weeks that once disengagement was complete, the US would once again begin pressuring Israel to remove the unauthorized settlement outposts in the West Bank. The US backed off of this issue in recent months, so as not to create any additional domestic problems for Sharon as he was gearing up for disengagement. While Rice said she expected Israel to take further steps immediately, Foreign Minister Silvan Shalom told the Kuwaiti newspaper Al-Rai Al-Aam that Gaza would serve as a "model," and if the PA dismantled the terrorist infrastructure and "peace and quiet reign in the region, we will be able to move forward and return to the road map." But, he said in comments published Thursday, "If Gaza turns into a base for shooting missiles at Israel and increasing Palestinian attacks, it will be impossible to move on to another step and take a new risk." During the interview with the paper, conducted in Shalom's office on Wednesday, he said Israel was now expecting Palestinian "actions," not excuses. He said Israel was focused on the day after disengagement, and waiting to see whether the PA would rise to the occasion and, when it gains control of Gaza, dismantle the terrorist infrastructure and govern responsibly. Shalom said PA Authority Chairman Mahmoud Abbas's first order of business after disengagement should be to arrest Hamas activists. "Abbas should do this not to protect Israel, but to safeguard his own power," he said. Asked about the long-disrupted peace talks with Syria, and whether Israel would be willing to give up the settlements in the Golan Heights as it did in Gaza, Shalom said: "Every party can come to the negotiation table with the topics they want, and we have to talk about everything."

 

 

WEEK OF AUGUST 15 THROUGH AUGUST 21

 

 

Al Qaeda Linked Group Attacks US Navy in Aqaba

imageAug. 19….(My Way) Attackers fired at least three missiles from Jordan on Friday, with one narrowly missing a US Navy ship docked in a Jordanian port and killing a Jordanian soldier, and another falling close to a nearby airport in neighboring Israel, officials said. Jordanian security forces are hunting a Syrian and two Iraqi nationals, a security source said. An Internet statement released by the al-Qaida-linked Abdullah Azzam Brigades militant group claimed responsibility the attacks. A group linked to al-Qaida claimed responsibility in an Internet statement. The statement purportedly from the Abdullah Azzam Brigades could not immediately be verified. The Abdullah Azzam group was among several that claimed responsibility for previous attacks on Egypt's Sinai Peninsula, including the Oct. 7 car bombing of a hotel in the resort of Taba, which borders Israel, and the July 23 Sharm el-Sheik bombings that killed at least 64 people. "A group of our holy warriors targeted a gathering of American military ships docking in Aqaba port and also in Eilat port with three Katyusha rockets and the warriors returned safe to their headquarters," the statement said. The US Navy's 5th Fleet, based in Bahrain, said two American amphibious ships attached to the 26th Marine Expeditionary Unit were docked in Aqaba, about 210 miles south of the capital, Amman, when the rockets were fired toward them.

 

The US Navy vessels USS Kearsage, right, an amphibious assault ship, and the USS Ashland,
a dock-landing ship, leave the Aqaba dockside following the attack.

 

Officials said they believe Katyusha rockets were fired from a poor neighborhood on the outskirts of Aqaba, a Jordanian Red Sea port 210 miles south of the capital, Amman, officials added. The attacks come amid a time of tension in the region marked by Israel's withdrawal from the Gaza Strip, which itself is only 125 miles away. The three Katyusha rockets, weapons routinely used by Palestinian militants and Lebanon's Hezbollah group in attacks against Israel, were fired from an Aqaba warehouse rented this week by four people holding Egyptian and Iraqi nationalities, Jordan's state-run Petra news agency reported citing preliminary investigations. Hezbollah is known to possess several thousand Katyusha rockets and has used them to attack Israeli positions along Lebanon's southern border with the Jewish state. Aqaba, once a sleepy city, has grown into a regional tourist attraction for mainly eastern Europeans and US and other military personnel serving in Iraq and seeking a short respite from the battlefield.

 

 

Netanyahu: Red Sea Attacks are a Warning

Aug. 19….(YNET) (Netanyahu says kaytusha rocket attacks on Eilat and Aqaba are precursor to rocket attacks on Israeli cities, made possible by the Gaza disengagement.)

*Recently resigned finance minister and former Israeli Prime Minister Benjamin Netanyahu, responding to the coordinated kaytusha attack on Eilat and Aqaba, said, “This attack is a stark warning of the missiles that will be fired within a year to two years on Israeli cities from the terror bases that we are allowing Islamic terrorists to set up in Gaza, Judea, and Samaria. One sided concessions only push peace back and encourages terror,” said Netanyahu. The head of the Anti-Terror Bureau, Dani Arditi, told Ynet that “the targets of the terrorists were apparently American ships in Aqaba, and not the nearby airport in Eilat. From my experience with the Jordanians, they will do whatever is necessary in order to not suffer from such threats. They are very effective and professional, and neutralizing terrorism is a major priority for them. I think they will be able to do so, as they have in the past.” Artidi also said he believed that “Jordan has been under a terrorist threat for a long time. Up to now, this threat has been dealt with well, but one can’t rule out the possibility that one day the Jordanians will not succeed. The threat is directed at the Jordanian regime and the interests of foreign, western states including Israel. The origins of this threat is Al Qaeda in Iraq. Exeperts say Al Qaeda is attacking Jordan and Egypt because they are working to avoid weapons smuggling and the prevention of terror attacks within Israel. There’s not doubt the intention is to project a “business as usual” message following the disengagement. 

 

 

Orient House Reopened, Symbol of Palestinian Foothold in Jerusalem

imageAug. 18….(Debka) Although not a word of this has been reported in the media thus far, Orient House, the symbol of Palestinian Authority sovereign rule in East Jerusalem, has reopened for business for the first time in four years. In 2001, this symbol of Palestinian control in Jerusalem was demonstratively shut down on the orders of the first Sharon government. Now, with Israel withdrawing from Gaza, Abbas has jumped the gun and set his brand on Jerusalem, the city Israel calls its capitol, ahead of peace negotiations or any talks with Israel on the profoundly controversial Jerusalem issue. DEBKAfile’s Palestinians sources reveal that the Palestinian Authority, on Abbas’ orders, has begun issuing communiqués to the Palestinians of East Jerusalem. But that is just the beginning. According to our sources, Abbas has just appointed a new Palestinian intelligence commander for the West Bank. He is Rashid Nafa, the former chief of Palestinian special forces. The instructions he received from his boss are clear and were transmitted to the regional intelligence commanders. Their mission is to focus on Jerusalem according to the following order of priorities set by PM Abu Mazen.

A. Priority Number One: Palestinian intelligence must assure itself of a presence and the freedom to operate in the city.

B. Priority Number Two: To contain the “Judaization” of Jerusalem and its metropolitan environs.

 

 

 

Hamas: On to Jerusalem, and Down with America!

Aug. 18….(FOJ) Hamas terrorist leader Khaled Mashaal declared yesterday that the Israeli withdrawal from the Gaza Strip and northern West Bank marked the beginning of the end of the Zionist dream in the whole of Palestine. Mashaal, speaking to reporters from his quarters in Beirut, called the Israeli pullout a "defeat in the face of Palestinian resistance (terror) and a significant step with historic dimensions. (meaning, driving Israel out of Palestine and causing a setback for the US in the war on terror) Mashaal said that the disengagement marked the beginning of the death of the Zionist dream. "The resistance and the steadfastness of our people forced the Zionists to withdraw," he boasted. "The resistance is capable of ending the entire Israeli occupation and achieving all our rights. The armed struggle is the only strategy that Hamas possesses." Mashaal reiterated that Hamas's duty was to defend the Palestinians and help them restore their rights. "Until Jerusalem and all of Palestine is ours, Hamas won't lay down its weapons." He said, however, that Hamas was not interested in a confrontation with the Palestinian Authority. Mahmoud Zahar, Hamas's overall leader in the Gaza Strip, said in an interview published yesterday that his movement will move its terrorist activities to the West Bank after the disengagement. "Now, after the victory in the Gaza Strip, we will transfer the struggle first to the West Bank and later to Jerusalem," Zahar told the London-based pan-Arab daily Asharq Al-Awsat. "We will continue the struggle until we liberate all our lands. This is an important day for the Palestinians and proof that the armed struggle has born fruit." Asked about Hamas's future plans, Zahar said: "Neither the liberation of the Gaza Strip, nor the liberation of the West Bank or even Jerusalem will suffice us. Hamas will pursue the armed struggle until the liberation of all our lands. We don't recognize the state of Israel or its right to hold onto one inch of Palestine. Palestine is an Islamic land belonging to all the Muslims." Zahar said the disengagement would boost morale in the Arab and Muslim world and positively influence the anti-US war campaign in Afghanistan and Iraq. "We are part of a large global movement called the International Islamic Movement," he explained. Focus on Jerusalem has explained to its readers for 4 years now that the war-on-terror is directly connected to the controversy over Jerusalem and the mere existence of Israel. Instead of taking the high road and relocating the US embassy to Israel in Jerusalem, and attempting to appease Middle East hatemongering states by coercing Israel into the land-partitioning process, the US today finds itself fighting for its very survival. Today, every American is familiar with the National Security threat levels (red, yellow, orange, high, elevated, etc) our government has developed to caution us about suspected imminent terrorist activity. Our national security is indeed at stake, and it all has to do with the world-wide burdensome dilemma that is Jerusalem, and yet,….we are not taking the course of action to save our own country. That course is national repentance, and brotherhood with Israel, the chosen nation of our G,   ….oops,….., our former God.

(II Chronicles 7:14 If my people, which are called by my name, shall humble themselves, and pray, and seek my face, and turn from their wicked ways; then will I hear from heaven, and will forgive their sin, and will heal their land.)

 

A Quick Quote For Today

Aug. 18….(Patrick Goodenough) Recently, President Bush gave an impassioned defense for the US staying the course in Iraq, saying in an Aug. 13 radio address that withdrawing American forces prematurely "would cause others to question America's commitment to spreading freedom and winning the war on terror." "We're staying on the offensive in Iraq, Afghanistan and other fronts in the war on terror, fighting terrorists abroad so we do not have to face them here at home," he said. Alas, Israel does not have that luxury.

 

 

Bush: Democracy is the Answer

Aug. 18….(World Watch) Yaron Deckel, of Israeli Television Channel 1, asked President George W. Bush the following question on August 11, 2005, at Crawford, Texas: "As a believer, Mr. President, what do you say to Jewish believers who think that God sent them to settle in the biblical Israel and they will not obey any decision of elected government?" President Bush: Well, you know, there are admonitions in the Bible that does talk about the role of government relative to man. And Israel is a democracy and democracies are able to express the will of the people. The Prime Minister is expressing what he thinks is in the best interests of Israel and the people will decide, ultimately, whether or not that decision makes sense.

FOJ Note: President Bush firmly believes that democracy will win the war on terror and bring peace between Israel and the Arabs. Democracy has its advantages over many other types of government, but the key to peace is rooted in the heart of man. I still recall a quote from President Clinton regarding the Oslo Peace process, when a reporter asked him about coercing Israel into trading what Jews and Zionists call the Promised Land for peace, and asked him if it was wise to go against the Bible. Mr. Clinton responded that the Bible was irrelevant in solving the modern day land conflict and that there were new legalities (UN resolutions) concerning the land today.

 

 

Turkish Police Seize Russian Uranium

Aug. 18….(World Watch) In another reminder of the proliferation of Russian nuclear material on the black market, two men were arrested near Istanbul trying to sell 173 grams of Russian enriched uranium to undercover Turkish police. Turkish authorities released no information about who the men were, how they got the uranium or what its intended destination was. The pair was arrested Tuesday in the town of Harem and charged with smuggling nuclear materials. When the Soviet Union collapsed, much of the nation's nuclear stockpiles, of weapons and raw materials fell into the hands of black marketeers who peddled it to the highest bidders. As WND has reported, this is how Osama bin Laden’s terrorist network Al Qaeda acquired nuclear weapons and materials. For 10 years now, al-Qaida has planned to use these weapons in a nuclear terrorist attack on the US. The plan is dubbed "American Hiroshima," and is the subject of a new book by Paul Williams.

 

 

US State Dept. Warned About bin Laden in 1996

Aug. 18….(NY Times) US State Department analysts warned the Clinton administration in July 1996 that Osama bin Laden's move to Afghanistan would give him an even more dangerous haven as he sought to expand radical Islam "well beyond the Middle East," but the government chose not to deter the move, newly declassified documents show. In what would prove a prescient warning, the State Department intelligence analysts said in a top-secret assessment on Mr. bin Laden that summer that "his prolonged stay in Afghanista, where hundreds of 'Arab mujahedeen' receive terrorist training and key extremist leaders often congregate, could prove more dangerous to US interests in the long run than his three-year liaison with Khartoum," in Sudan. The declassified documents, obtained by the conservative legal advocacy group Judicial Watch as part of a Freedom of Information Act request and provided to The New York Times, shed light on a murky and controversial chapter in Bin Laden's history: his relocation from Sudan to Afghanistan as the Clinton administration was striving to understand the threat he posed and explore ways of confronting him. Before 1996, bin Laden was regarded more as a financier of terrorism than a mastermind. But the State Department assessment, which came a year before he publicly urged Muslims to attack the United States, indicated that officials suspected he was taking a more active role, including in the bombings in June 1996 that killed 19 members American soldiers at the Khobar Towers in Dhahran, Saudi Arabia. Two years after the State Department's warning, with bin Laden firmly entrenched in Afghanistan and overseeing terrorist training and financing operations, Al Qaeda struck two American embassies in East Africa, leading to failed military attempts by the Clinton administration to capture or kill him in Afghanistan. Three years later, on Sept. 11, 2001, Al Qaeda struck the World Trade Center and the Pentagon in an operation overseen from the base in Afghanistan. Critics of the Clinton administration have accused it of ignoring the threat posed by Mr. bin Laden in the mid-1990's while he was still in Sudan, and they point to claims by some Sudanese officials that they offered to turn him over to the Americans before ultimately expelling him in 1996 under international pressure. But Clinton Administration diplomats have adamantly denied that they received such an offer, and the Sept. 11 commission concluded in one of its staff reports that it had "not found any reliable evidence to support the Sudanese claim." The newly declassified documents do not directly address the question of whether Sudan ever offered to turn over bin Laden. But the documents go well beyond previous news and historical accounts in detailing the Clinton administration's active monitoring of bin Laden's movements and the realization that his move to Afghanistan could make him an even greater national security threat. Clinton spokesmen say that before the East Africa bombings in 1998, however, Mr. bin Laden wasn't recognized then as the threat he is now. The State Department assessment, written July 18, 1996, after Mr. bin Laden had been expelled from Sudan and was thought to be relocating to Afghanistan, said Afghanistan would make an "ideal haven" for Mr. bin Laden to run his financial networks and attract support from radicalized Muslims. Tom Fitton, president of Judicial Watch, said the declassified material released to his group "says to me that the Clinton administration knew the broad outlines in 1996 of bin Laden's capabilities and his intent, and unfortunately, almost nothing was done about it." Michael F. Scheuer, who from 1996 to 1999 led the Central Intelligence Agency unit that tracked Mr. bin Laden, said the State Department documents reflected a keen awareness of the danger posed by Mr. bin Laden's relocation.

 

 

Israel Forcibly Removes its Own Settlers

imageAug. 17….(MSNBC) Israeli troops dragged sobbing Jewish settlers out of homes, synagogues and even a nursery school Wednesday in a massive evacuation, fulfilling Prime Minister Ariel Sharon’s promise to end Israel’s 38-year occupation of the Gaza Strip. Soldiers carried away worshippers still wrapped in their white prayer shawls. Men ripped their shirts in a Jewish mourning ritual. Women in a synagogue pressed their faces against the curtain covering the Torah scroll. Others kicked and screamed as they were loaded onto buses, as the smell of burning garbage rose in the air. Troops also scuffled with protesters in the isolated settlement of Morag, while irate settlers at another outpost used Nazi-era imagery, including stars of David on their T-shirts, to protest the military’s actions. Some 14,000 troops had entered five Jewish settlements, Morag, Neve Dekalim, Bedolah, Ganei Tal and Tel Katifa. Security officials said the goal was to clear out the 21 Gaza settlements in just a few days, far more quickly than originally planned. Col. Israel Ziv, a commander in Neve Dekalim, said about 500 to 600 families remained in Gaza, about one-third of the total population, and that he expected more to leave throughout the day. imageBut thousands of pullout opponents who infiltrated Gaza in recent weeks also remained. Ziv said the army planned to clear out the southern half of Gush Katif, the main bloc of Gaza settlements, on Wednesday. Sharon said that the images of the settlers being removed from their homes are "heartbreaking," and praised the restraint of both settlers and soldiers. "It's impossible to watch this, and that includes myself, without tears in the eyes," he said. Sharon appealed to pullout opponents to avoid physical and verbal confrontation with the security forces. "Attack me, I am responsible for this, attack me, accuse me, don't attack the men and women in uniform," he said.

Sharon vows stronger Israel

Israeli security forces have warned that Sharon, like his slain predecessor Yitzhak Rabin, could be targeted by extremists. Sharon defended his decision to withdraw from the Gaza Strip and part of the West Bank, saying he did it for the good of Israel. "I believe with all these difficulties, Israel will come out stronger," he said. Once Gaza is cleared of civilians, it will take troops about a month to dismantle military installations and relinquish the coastal strip to Palestinian control. Meantime, Palestinians held noisy demonstrations in Gaza City to celebrate the pullout. Young men cruised the city in open cars, some firing rifles into the air and brandishing rocket launchers. Palestinian Prime Minister Ahmed Qureia told his Cabinet he was forming eight teams to coordinate the takeover of settlement land, including representatives of the militant Hamas and Islamic Jihad movements.

 

 

Russia Warns Against Use of Force Against Iran

Aug. 17….(Washington Post) Russia warned on Wednesday against using force to stop Iran's nuclear program, saying any such action would have grave and unpredictable consequences. "We favor further dialogue and consider the use of force in Iran counter-productive and dangerous, something which can have grave and hardly predictable consequences. The West (US) fears Iran's nuclear program, which the oil-rich state insists is aimed only at the peaceful generation of nuclear power, conceals ambitions to develop atomic weapons. Iran angered the European Union and the United States by resuming work at a uranium conversion plant earlier this month, rejecting EU incentives offered in return for giving up its nuclear program. Earlier this month US President George W. Bush said military force remained a last resort to press Tehran to abandon its nuclear ambitions. "We consider that problems concerning Iran's nuclear activities should be solved through political and diplomatic means, on the basis of international law and Tehran's close cooperation with International Atomic Energy Agency," the Russian statement said. Russia, which has constructed a nuclear power plant for Iran and is hoping for more such contracts, has criticized Tehran for restarting the uranium conversion. Moscow says there is no technical need for Iran to convert its own uranium since Moscow has agreed to supply all necessary nuclear fuel for the Bushehr power plant due to go into operation next year.

FOJ Note: Russia is currently holding war games and planning war strategies with China. The Russia-Chinese exercise involves the deployment of battle carriers and intercontinental ballistic missiles and strategic bombers. Earlier this year, Russia sold Syria a massive amount of new and sophisticated weaponry, including the latest in anti-aircraft guns and radar. Russia says it is practicing with China to implement an action against a terrorist rogue state. Whom do you think they have in mind? It is apparent, from even a marginal review of Biblical prophecy that Russia and China plan to invade Israel at some point in time after the US has been rendered as an inconsequential or subdued power in the region. Coupled with Al Qaeda’s “Hiroshima plan”, Russia and China may in fact be preparing for the scenario we in Bible Prophecy identify as the last 42 months of the Tribulation. Now, all we need is for the Iraq-Euphrates theatre to, just kind of dry up. I truly believe it high time for Christians to lift up their heads, and look up, for the nearness of our departure is quickly approaching!

 

 

Palestinians Celebrate Israeli Pullout

imageAug. 17….(USA Today) Convoys of yellow minibuses cruised the city's streets Monday, honking their horns and flying the Palestinian flag in celebration of the end of 38 years of Israeli occupation. Militant factions hoisted banners throughout Khan Younis, a city of 270,000 that is 10 miles south of Gaza City, proclaiming Israel's withdrawal from 21 Gaza settlements and four in the West Bank a victory for the Palestinians. One Hamas banner read: "The happiness of liberation will not let us forget the pain of the prisoners." Near the barricaded Jewish settlement of Neve Dekalim on the edge of Khan Younis, a crowd of mainly young Palestinian men gathered to hear a senior Fatah leader deliver a short speech. "We see this as a turning point in the Palestinian-Israeli conflict," said Abu Tayeb as he was jostled by the crowd. Arabic music blared from a cream-colored Mercedes parked nearby. "We hope that Abu Amar (former leader Yasser Arafat) is here with us to celebrate." Later in the day, a 12-foot-tall portrait of Arafat, who led the Palestinian people for 35 years until his death in November 2004, was hung from the side of a house 200 yards from the soon-to-be-empty settlement. The celebrations to mark the official start of the Israeli withdrawal began just after midnight Monday. Hundreds of Hamas supporters gathered at the Kabeer mosque in Khan Younis, where they heard Younis al-Astal, a senior figure in the movement, castigate the Palestinian Authority for negotiating with the Israeli government. He claimed Hamas' "resistance" was the reason Israel was leaving Gaza. "May God bless those who touch weapons," he said.

 

 

Pakistan's Dr. X Gave al-Qaida Islamic Nuclear Bomb

Aug. 17….(excerpt from World Net Daily’s G2 Bulletin) Dr. Abdul Qadeer Khan, the "father of the Islamic bomb" and the "godfather of nuclear proliferation," provided nuclear expertise, nuclear materials, and designs for atomic weapons to Osama bin Laden and Ayman al-Zawahiri to assist in the realization of the "American Hiroshima." The American Hiroshima plan represents al-Qaida's plan for the nuclear destruction of the United States. It calls for the detonation of seven tactical nuclear devices in seven US cities at the same time. Each device, according to the plan, must be equipped to produce an explosive yield of 10 kilotons to equal the 1945 blast in Hiroshima that killed 242,437 Japanese civilians. News about Dr. Khan's involvement with al-Qaida and the American Hiroshima plan first emerged with the capture of several al-Qaida operatives in Afghanistan in October 2001, during the first phase of Operation Enduring Freedom, and, later, with the arrest of Khalid Sheikh Mohammad, bin Laden's military operations chief, in Karachi, Pakistan, March 2, 2003. From Khalid Mohammad's laptop, CIA officials uncovered details of al-Qaida's plan to create a series of "nuclear hell storms" throughout the United States. After days of interrogation coupled with severe sleep deprivation, Khalid Mohammad told US intelligence officials that the chain of command for the "American Hiroshima" answered directly to bin Laden, al-Zawahiri, and a mysterious scientist whom he, at first, referred to as "Dr. X," but later identified as Dr. Khan.

The Real Dr. Strangelove

Dr. A.Q. Khan spearheaded Pakistan's effort to build nuclear weapons to stabilize the nuclear threat from India. Five atomic bombs, developed by Khan, were successfully detonated beneath the scorched hills of the Baluchistan desert in 1998. After gaining a place for Pakistan within the elite nuclear club of nations along with the United States, Russia, China, Great Britain, France, India and Israel, Khan proceeded to sell his centrifuge technology for the enrichment of uranium and his designs for atomic weapons to such countries as Egypt, Saudi Arabia, Nigeria, and Sudan, and such rogue nations as North Korea, Iran, and Libya. Abundant evidence exists that the list of Khan's customers should be expanded to include Brazil, Malaysia, Indonesia, Algeria, Kuwait, Myanmar, and Abu Dubai. Throughout 2002, CIA and ISI officials obtained more and more information concerning the involvement of scientists from the A.Q. Khan Research Laboratories in the plans for the American Hiroshima. After being threatened with seven years in prison under Pakistan's Official Secrets Act, Dr. Chaudry Abdul Majid, PAEC's chief engineer, admitted that he met with bin Laden and other al-Qaida officials on a regular basis to provide technical assistance for the construction and care of its nuclear weapons. Dr. Mirza Yusuf Baig, another PAEC engineer, made a similar confession.

The Missing Nukes

Still, the interrogations of the Pakistani scientists, coupled with findings from Dr. Mahmood's office for "charitable affairs" in Kabul, verified for the CIA that al-Qaida had produced several nuclear weapons from highly enriched uranium and plutonium pellets the size of silver dollars at Khan's facilities. At least one of these weapons was transported to Karachi where it was shipped to the United States in a cargo container. Pakistan's federal cabinet and President Pervez Musharraf responded to Khan's confession by granting the esteemed scientist a full pardon for his acts of nuclear proliferation. Khan remains a free and honored citizen of Pakistan, where neither US military officials nor CIA agents can obtain the right to approach or question him. This situation has prompted Robert Gallucci, former UN weapons inspector and dean of Georgetown University's School of Foreign Service, to observe: "The most dangerous country for the US now is Pakistan. We haven't been this vulnerable since the British burned Washington in 1814." The story of Dr. AQ Khan's relationship with al-Qaida comes with a coda. Acclaimed French journalist Bernard-Henri Levy amassed considerable evidence that ISI officials executed Wall Street Journal reporter Daniel Pearl after Pearl obtained inside information on the close relationship between Khan and bin Laden, the trafficking of nuclear materials from Khan's facility near Islamabad to al-Qaida cells in Afghanistan and the North West Frontier Province of Pakistan, and the plans for the American Hiroshima.

 

 

Gaza Withdrawal Will Have Repercussions Beyond Israel

imageAug. 17….(FOJ) Israel’s withdrawal from Gaza this week will have repercussions for America as well as for Israel. Let us not forget that the US led war-on-terror is directly related to the Israeli-Palestinian Conflict. Bin Laden stated this fact in 2001. (“there will be no peace for America till there is peace in Palestine”) President Bush may think that by coercing Ariel Sharon to concede some territory in Gaza that the Arab world will relax, and understand that the war-on-terror is not a war on Islam, and that America is also a friend of the Arab nations. But as America’s venture for democracy in Iraq (Iraq appears to be headed towards becoming another Islamic Republic for Allah) descends into a Mesopotamian tripartite civil nightmare, with Iran, Saudi Arabia and Syria all stoking the flames of anti-Americanism, and anti-Zionism, the US may find that by strong-arming Israel into permitting the buildup of a another terrorist state on its southern border, it has compromised more than the war-on-terror. It may find that it has compromised itself against the God (Jehovah) that gave the land to Israel in the first place. America must wake up and realize that the whole geo-political scenario involving our war on terror and the overall Middle Eastern situation is a struggle about the Promised Land. Remember, God is not mocked, and He has granted this sliver of land to Israel, although they remain blinded to His visitation. As Israel disengages from Gaza, the battle cry in the terrorist camp is, “today Gaza, tomorrow Jerusalem.” One can almost hear the buzzards of evil circling overhead for the descending swoop on Jerusalem. In the meantime, the rumors of war are swirling, and nations from one end of the globe to other are making ready for war…….. Big Time!

(Leviticus 25:23 The land shall not be sold for ever: for the land is mine; (Jehovah God) for ye are strangers and sojourners with me.)

 

 

Top US Official Pays Visit to Gaza

Aug. 17….(Debka) Behind the heavily televised evacuation drama afoot in the Gaza Strip, United Nations Headquarters in New York has quietly ordered all foreign staff, especially UN Refugees Works and Relief Agency personnel, to depart the Gaza Strip by Wednesday, August 17. The world body says any workers remaining in Palestinian areas, especially those adjoining Gush Katif, face extreme danger after the evacuations begin first thing Wednesday morning. The International Red Cross pulled its staff out last week. A French journalist of Algerian origin kidnapped by armed Palestinians Sunday, August 14, is still missing. Most significantly, Washington reversed its 20-month ban on US diplomats’ visits to the Gaza Strip to urgently dispatch a top official, US assistance secretary of state David Welch, for a surprise visit to Gaza Tuesday night. The ban was imposed after the Palestinian Authority refused to hand over the Palestinian Popular Committees Special unit which murdered three US security agents in a bombing attack on Oct 15, 2003. The urgency of the Welch mission, accompanied by US security coordinator Lt. Gen William Ward, was prompted by three developments:

1. US intelligence confirms the UN estimate of the extreme security danger prevalent in the Gaza Strip. It stems from Palestinian Authority chairman Mahamoud Abbas having fallen completely under the sway of the Hamas and the Jihad Islami.

2. The Palestinian Authority and Israel agreed on a Palestinian force of 24 battalions to provide a security belt between the evacuation operation and Palestinian areas. It transpires that most of the battalions lack weapons or any means of combat and, worst of all, their deployment is subject to Hamas sanction.

3. Washington received confirmation from US intelligence of a previous DEBKAfile report that Abu Mazen had secretly named the late Yasser Arafat’s partner, Jemal Sema Dana, the mastermind behind the assassination of the three US officials, the new Palestinian military intelligence chief. August 15, Abu Mazen sent two special couriers to assure him he had signed the new letter of appointment, upon which Sema Dana accepted the post. Sema Dana is notorious for designing and managing the network of weapons smuggling tunnels from Sinai to the Gaza Strip. As chairman of the Gaza terrorist umbrella organization, the Popular Committees, he is the most effective terrorist mastermind in the territory. The Sema Dana clan runs an extensive ring that smuggles weapons from the Gulf and Saudi Arabia to the Sinai coast, through the southern Israeli Negev, on to Jordan and Syria and thence into Iraq. The appointment by Abbas of a super-terrorist and gun-runner to Iraq, who organized the murder of Americans to a key job, to hold joint responsibility with Egypt for border security, through which he ran his smuggling tunnels, was too much for the Bush administration to stomach. Welch is in Gaza to seek a way out of this quandary. The situation on the Israeli side is another source of anxiety in Washington.

 image

 

Israel Intelligence: Palestinian Terrorism May Resume in April

Aug. 16….(Ha Aretz) The Israeli Director of Military Intelligence, Major General Aharon Ze'evi, warned Tuesday that terrorist activity may renew in April if peace talks stall after the disengagement. Speaking in front of the Knesset Foreign Affairs and Defense Committee, Ze'evi said that the cease-fire agreed upon between the Palestinian Authority and Hamas is expected to hold until the upcoming Palestinian elections in January. Ze'evi told the committee that terror groups are already building up their strength in the West Bank, trying to transfer the technical knowledge on how to build Qassam rockets from Gaza, and planning Gaza styled attacks. "We see the West Bank build-up as a ticking time-bomb," Ze'evi said. The issue of Iran's bid to build an atomic device also came up during the foreign affairs meeting. Contrary to recent reports published in the USpress that Iran is about 10 years away from building a nuclear device, Ze'evi estimated that, unless they suffer a set-back, Iran will achieve nuclear capability by 2008.

 

 

Jordan's King Vows, No More Settling of Palestinians

Aug. 16….(Ha Aretz) Jordan's King Abdullah II vowed Tuesday to oppose settling more Palestinian refugees in his country amid Arab fears that Israel's withdrawal from the Gaza Strip may not extend to the West Bank. King Abdullah is concerned that if Israel fails to leave the West Bank, which Palestinians want as part of a future state, Jordan may be pressed to settle tens of thousands of Palestinian refugees living in camps scattered across the region, including Syria and Lebanon. "I know and do appreciate the fears of some of you that plans may exist to redraw the map of the region and to settle some historic issues at the expense of Jordan," Abdullah told an impromptu meeting with members of parliament, Cabinet and former prime ministers before he left for Russia. Jordan already hosts 1.8 million Palestinian refugees and their descendants displaced in two wars with Israel since 1948. The government argues that accepting more refugees may disturb Jordan’s fragile economy and its demographic balance. Abdullah's remarks appeared aimed at Jordanians, who become increasingly suspicious about Israel peace intentions. Speculation is rife in Jordan and other Arab capitals that Israel, which has begun withdrawing Jewish settlers from the Gaza Strip, may stop at offering any more territory to the Palestinians in the future. Abdullah urged Jordanians to confront any plan aiming to "deprive Palestinians of their right to return to their homeland or establish their independent state on Palestinian soil, and nowhere else." "If such a plan exists, it is a plot against the Palestinian people as much as it is a plot against Jordan," he said. "I should not be alone in confronting such a plot, if it exists." On Monday, Abdullah told Palestinian leader Mahmoud Abbas in a telephone call that the Gaza withdrawal was a "positive step and must be a starting point for Israel’s pulling out of the West Bank.

 

 

Israel Calls for End to Hostility at United Nations

Aug. 16….(JPOST) The Gaza pullout should mark an end to UN hostility against Israel, Israeli UN Ambassador Dan Gillerman said yesterday, urging the world body to support the withdrawal as a historic move toward peace. Gillerman's comments echoed previous calls by Israel and the United States to halt the litany of anti-Israel resolutions passed by the UN General Assembly each year, and dismantle the extensive bureaucracy built up around the Palestinian cause. "It is time for the United Nations to acknowledge Israel's actions," Gillerman said. "We hope that in the United Nations there will be no more business as usual as far as the Middle East is concerned, no more Israel-bashing, no more ongoing resolutions aimed against Israel." The 191-nation General Assembly, dominated by developing nations, usually passes about two dozen resolutions criticizing Israel each year. The resolutions put forward by Arab states typically win the support of the vast majority of UN members, opposed only by Israel, the United States and a few Pacific island states.

 

 

Iran’s Nuclear Shell Game Vital to End Times

Aug. 16….(By Bill Wilson, Montana News Senior Analyst) Last week was one of the bloodiest for American troops in Iraq, losing over 30 soldiers to so-called “insurgent” tactics, mainly car bomb attacks from cowardly Islamists fortified by Iran in its “holy war” against non-Muslims and those who would support them.  At the same time, Iran is negotiating hard to avoid a showdown with the United Nations Security Council while it continues to build its nuclear program, surely in preparation for major prophetic fulfillment as the world enters the end times. The EU-3, France, Germany and Britain, offered the rogue terrorist state all sorts of economic and financial benefits if Iran would stop its nuclear production. The EU-3 essentially tried to bribe the Iranians to quit the nuclear race. The offer included a continuous supply of already enriched uranium for power generating purposes, economic incentives and a pact that would strongly suggest countries party to the agreement would not invade Iran. An offer several months in the making, Iranian negotiators got just what they wanted, an international reprieve to secretly continue development of nuclear materials. On a parallel track, Iran is working with Russian and Chinese scientists to perfect its missile delivery systems that would include a payload roomy enough to carry the nuclear bomb they continuously deny they are making.  Additionally, Iran has brought in top tunnel engineers from North Korea to design and help build underground facilities undetectable by the International Atomic Energy Agency and Western spy satellites. The Iranians rejected the offer saying that it did not allow for Iran to continue enriching uranium on its own and the offer also required the stoppage of work on a heavy water nuclear plant, whose plutonium requirements are similar to those needed to build nuclear bombs. The entire episode prompted the IAEA to call an emergency meeting on Tuesday to discuss the matter, quite possibly a serious discussion will ensue as to recommending Iran’s defiance to the UN Security Council. The White House is growing impatient with the “diplomatic” approach to Iran. In response to questions about the Iranian announcement to reject the EU-3’s offer, White House Spokesman Scott McClellan said, “We've made very clear, as have the Europeans, that we're prepared to pursue a further course of action if necessary, if Iran is not going to live up to its agreements.” Iran has long feared UN Security Council sanctions because they would clamp down on Iran’s ability to travel worldwide and gather in the necessary ingredients to build the bomb they seek. These sanctions would also hinder Iran’s terrorist activities and coordination of terrorist strikes.  But it would appear that Iran’s concerns are safely locked up in its relations with China and Russia, permanent members both of the UN Security Council. Russia and China are proven crooks when it comes to the Security Council. The Oil for Food bribery scandal at the UN proves it.  This time, things are bit more out in the open, because we know of many of the deals that Iran has with China and Russia.  And no one should dare expect both these powerhouses to cast their votes for sanctions against Iran.  If they do, it would be a clear indication that there are already under the table deals totally insulated from any action the United Nations might muster. Russia and China have billions of dollars at stake with Iran. Both countries have energy supply agreements with the terrorist nation.  Both countries are weapons and weapons technology suppliers to Iran. Both countries are also interested in counterbalancing the political base of power in the Middle East by aligning with Islamic nations against the United States and Israel. And both countries have a vital interest in keeping Iranian oil and gas flowing north. And both countries have a prophetic destiny with Iran. These nations are tied together in an undeniable bond that weaves them into the fabric of the end times. The Ezekiel 38 prophecy that aligns them for destruction as they come against Israel sets the stage for the anti-Christ to rise up in peace and seize control.

 

 

Prime Minister Ariel Sharon’s Official Statement on Disengagement Plan

Aug. 16….(World Watch) Citizens of Israel, The day has arrived. We are beginning the most difficult and painful step of all, evacuating our communities from the Gaza Strip and Northern Samaria. This step is very difficult for me personally. It was with a heavy heart that the Government of Israel made the decision regarding Disengagement, and the Knesset did not lightly approve it. It is no secret that I, like many others, believed and hoped that we could forever hold on to Netzarim and Kfar Darom. However, the changing reality in this country, in this region, and in the world, required another reassessment and changing of positions. Gaza cannot be held onto forever. Over one million Palestinians live there, and they double their numbers with every generation. They live in incredibly cramped refugee camps, in poverty and squalor, in hotbeds of ever-increasing hatred, with no hope whatsoever on the horizon. It is out of strength and not weakness that we are taking this step. We tried to reach agreements with the Palestinians which would move the two peoples towards the path of peace. These were crushed against a wall of hatred and fanaticism. The unilateral Disengagement Plan, which I announced approximately two years ago, is the Israeli answer to this reality. This Plan is good for Israel in any future scenario. We are reducing the day-to-day friction and its victims on both sides. The IDF will redeploy on defensive lines behind the Security Fence. Those who continue to fight us will meet the full force of the IDF and the security forces. Now the Palestinians bear the burden of proof. They must fight terror organizations, dismantle its infrastructure and show sincere intentions of peace in order to sit with us at the negotiating table. The world awaits the Palestinian response, a hand offered in peace or continued terrorist fire. To a hand offered in peace, we will respond with an olive branch. But if they chose fire, we will respond with fire, more severe than ever. The Disengagement will allow us to look inward. Our national agenda will change. The disagreement over the Disengagement Plan has caused severe wounds, bitter hatred between brothers and severe statements and actions. I understand the feelings, the pain and the cries of those who object. However, we are one nation even when fighting and arguing. Residents of the Gaza Strip, today marks the end of a glorious chapter in the story of Israel, and a central chapter in the story of your lives as pioneers, as realizers of a dream and as those who bore the security and settlement burden for all of us. Your pain and your tears are an inseparable part of the history of this country. Whatever disagreements we have, we will not abandon you, and following the evacuation, we will do everything in our power to rebuild your lives and communities. I wish to tell the soldiers of the IDF, the police officers of the Israel Police and Border Police: you face a difficult mission, it’s not an enemy you face, rather your brothers and sisters. Sensitivity and patience are the order of the hour. I am certain that this is how you will behave. I want you to know: the entire nation stands behind you and is proud of you. Citizens of Israel, The responsibility for the future of Israel rests on my shoulders. I initiated the Plan because I concluded that this action is vital for Israel. Believe me, the extent of pain that I feel at this act is equal only to the measure of resolved recognition that it was something that had to be done. We are embarking on a new path which has many risks, but also a ray of hope for all of us. With the help of G-d, may this path be one of unity and not division, of mutual respect, and not animosity between brothers, of unconditional love, and not baseless hatred. I will do my utmost to ensure that it will be so.

FOJ Note on the Disengagement: One can almost hear the pain in Mr. Sharon’s speech as you read the text of his speech to the nation of Israel. The Gaza Disengagement Plan is being forced upon Israel and PM Sharon because the Quartet (EU, UN, Russia, and the US) has mandated that Israel do something to ignite the Roadmap peace process. Mr. Sharon seems to be using the Gaza withdrawal as a test of Palestinian resolve to truly negotiate peace with Israel. I couldn’t help but note his remarks concerning the Palestinians probable future course of terror, “if they chose fire, we will respond with fire, more severe than ever.” In recent weeks, Hamas, Islamic Jihad, and cells of the Fatah controlled terrorist machines in the West Bank have indicated that they will resort to more terror to force Israel to relinquish all areas within the pre-1967 borders. Mr. Abbas and Mr. Queria have each indicated that Gaza is not enough, and the Jerusalem is the real goal of Palestinians. The Palestinian proclamation is tantamount to war! Prime Minister Sharon believes he has put the burden of negotiating credibility on the backs of the Palestinian leadership, but, in reality, the world has never expected any accountability from the Palestinians. My own spiritual sensitivity and prophetic instinct tells me that the whole world is blindly rushing towards a gigantic explosion in the broader world-wide war-on-terror, as it relates to the overall Israeli-Arab Conflict.

 

 

Hamas: Disengagement is Proof That Zionism Can Be Defeated

PA: Conflicting Messages of Diplomacy and Terror

Aug. 15….(Arutz) PA chief negotiator Saeb Erekat told reporters in London that Arabs view Israel’s unilateral expulsion as proof that terrorism works. He told Israeli TV the PA is proving its diplomacy won out. Erekat told reporters in England that many Arabs see the planned pullout as a victory for terrorism. "Israel failed to weigh the consequences of its actions in not negotiating with us," he said. The chief negotiator for the Palestinian Authority (PA) explained that Hamas and Islamic Jihad terrorists "will claim they got you out like Hezbollah got you out from South Lebanon, kicking you in the ass" with suicide and rocket attacks. If further negotiations for a new Arab state do not follow the planned expulsion, there will be more violence, Erekat warned. "I want to see members of the Israeli government asking them to make the PLO a partner to the disengagement plan as part of negotiations, as part of a peace process between the PLO and the Israeli government," he stated, referring to the umbrella organization formerly headed by Yasser Arafat. However, Erekat told Israeli Channel One television this week that the PA is telling its public that "cooperation and coordination, not Kassam" rockets made Israel withdraw from Arab cities in Judea and Samaria and agree to the expulsion of Jewish residents from northern Samaria and the Gaza region. He added that a meeting this week between armed Hamas terrorists and PA chairman Abu Mazen (Mahmoud Abbas) "was a direct challenge" to the PA. The London-based Al-Quds Arabic newspaper quoted Erekat as saying that Prime Minister Ariel Sharon warned Abu Mazen during their last meeting that the PA leader would meet the same fate as Arafat if he did not stop terrorism during the planned expulsion. During the Oslo War, Israel bombarded Arafat's headquarters in Ramallah, where he was confined until shortly before his death last year. A Hamas spokesman from northern Samaria told Al-Jazeera web site that the organized celebrations, said to cost $10 million, of Israel's unilateral withdrawal from Gush Katif and northern Samaria were not a waste of resources, but reinforce the message that Zionism can be defeated. A Hamas spokesman, Muhammad Ghazal, told Aljazeera.net, "Arabs and Muslims worldwide must realize the Israeli withdrawal from the Gaza Strip is not an act of Zionist magnanimity, but rather the result of sustained resistance and heroic sacrifices." Mahmoud A-Zahar, Hamas spokesman in Gaza, called the Disengagement Plan "the first receding of Zionism from Palestine." Ramadan Shalah, Islamic Jihad terrorist organization chief, says Israel's withdrawal from Gaza stems directly from Palestinian terrorism - and that more of the same can be expected all over Israel. We will intensify the attacks even within the Green Line," Shalah told Al Manar Television last night. He said, however, that the attacks would resume only after Israel had completed destroying all the Jewish communities in Gaza and north Shomron

 

 

Northern Gaza Settlements Empty by Evening

imageAug. 15….(Arutz) IDF Chief of Staff Lt.-Gen. Dan Halutz declared Monday that since the Disengagement Implementation Law went into effect at midnight Sunday, everything was going as expected. By 2:00 p.m. soldiers finished distributing eviction notices in Dugit, Nisanit and Pe'at Sadeh. In the Gaza settlements of Atzmona, Katif and Netzer Hazani, the army reached an agreement with the settlers by which notices were given to the settlements' secretariat to distribute. At 3:30, Morag and Gan Or had also received the decrees. Police said that by the end of the day Monday, they expected the northern Gaza settlements of Elei Sinai, Nisanit and Dugit and the southern Gaza settlement of Pe'at Sadeh to have emptied. Altogether, roughly 1,850 live in those four settlements. In those settlements, soldiers will spend the afternoon aiding the families in doing their final packing and transporting their belongings to their new homes and destinations. Soldiers arriving at a number of settlements with stacks of evacuation orders, however, met with resistance at the community gates, largely by youths who had infiltrated Gush Katif with the purpose of hindering the withdrawal. At Ganei Tal, one of the larger settlements that was home to roughly 1,200 residents, hundreds gathered at the gates and blocked the entry of the evacuation teams. The soldiers did not force entry into the settlement, and were ordered by their commanders to turn back. Army and police fanned out across Gaza settlements Monday, starting at 7:00 a.m., handing out eviction orders to about half of the settlers who have so far refused to leave, and offering relocation help to those who were leaving but had not yet completed packing. The IDF will demolish all Jewish homes beginning Thursday.

 

 

Tears and Wailing in Gush Katif´s Cemetery

Aug. 15….(Arutz) The residents of Gush Katif gathered together in the region's cemetery on the fast of Tisha B'Av to request that their beloved relatives buried there cry out to God on their behalf. Gush Katif's cemetery faces the threat of destruction along with the rest of the Jewish sites in the region. Residents gathered there Sunday, prayed at the top of their lungs, wept, sang and hugged one another as they gazed with disbelief at the graves of their loved ones that the IDF intends to dig up. Many participants expressed afterwards that it was truly the most inspiring and moving site in which they had ever participated.

Residents weeping over the planned desecration of their loved ones' graves.  

Friends mourn their lost comrade, killed while serving in the IDF and buried in Gush Katif.

 

 

 

Jews March to Commemorate the Temple´s Destruction

imageAug. 15….(Arutz) Approximately 10,000 Israelis participated in the yearly march around Jerusalem's Old City to commemorate the destruction of the Holy Temple and to pray for its rebuilding. The march was organized by the Women in Green organization, headed by Nadia and Ruth Matar. Nadia addressed the crowd using a recorded speech since she and her family have relocated to the community of Kfar Yam in Gush Katif. Ruth Matar, a Holocaust survivor, told the crowd that she sees a lot of similarity between the Jews being dragged out of their homes by the Nazis and Sharon's order to do the same to the residents of Gush Katif and Samaria. A large demonstration was for Sunday evening opposite the office of Prime Minister Ariel Sharon. Protesters are demanding that Sharon call new elections or take the expulsion plan to a national referendum.

 

   imageThe marchers, who numbered approximately 10,000, arrived to the Kotel plaza and found it filled to capacity with worshippers from all over the country. Thousands of worshippers sat on the stone floor at the Western Wall (Kotel) Saturday night, lamenting the destruction of the First and Second Temples and beginning a 24-hour Ninth of Av fast. Police, aided by a helicopter and closed circuit cameras, were on high alert in the wake of plans by Arabs to swarm Temple Mount mosques on Sunday as a result of rumors spread by Moslem clerics that Jews plan to visit the Temple Mount in large numbers. Police have barred Arab men under the age of 45 from entering the Al-Aqsa mosque and plan to ban vehicles from the area.

 

 

US Cautious on Middle East Peace Hopes After Pullout

Aug. 15….(Jerusalem Post) The United States hopes Israel's withdrawal from Gaza will jump-start the Middle East peace process but experts caution little may get done in the months after the pullout. The United States sees Gaza as a starting point in the peace process but a State Department official said it was clear there were urgent constraints on both sides. "Our plan is to urge both sides to get back to dialogue but we have to see how this goes. You can't script this too much," said the official, who asked not to be named for fear of offending either side before the pullout. Hamas vowed on Saturday to continue armed attacks after Israel's Gaza pullout, declaring that armed conflict was essential to ending occupation and achieving statehood. Senior US officials have been shuttling back and forth between the Middle East and Washington trying to smooth out problems before the withdrawal, which begins on Wednesday and the Israel Defense Forces hopes to complete by September 4. The United States is trying to sweeten the withdrawal by taking steps to improve living conditions for both sides. In recent days, the US Agency for International Development has advertised future contracts for engineers to improve roads in Gaza as well as a feasibility study with the World Bank on a secure transport system linking Gaza with the West Bank. Middle East experts and former US diplomats said the United States needed to ensure Palestinians were given easy access in and out of Gaza to avoid protests and possibly complicate future peace efforts. Ned Walker, a former US ambassador to both Israel and Egypt and now president of the Middle East Institute in Washington, said the Palestinians would want to move quickly after the withdrawal to resolve other issues such as the status of the West Bank, which would put the Bush administration in a tricky position with Israel. "If the Israelis stonewall they will risk the whole process blowing up in their face. The US can make this point and it will have to be done through some serious talk with Israel's Prime Minister," said Walker. Dennis Ross, a US special envoy to the Middle East during the Clinton administration, said he was disappointed the United States had not yet managed to get some important access issues resolved but he said no matter how the pullout went Washington should take the lead in future negotiations. "The US has not played the lead negotiating role for the past 4 and a half years and no one else stepped in. If the US doesn't do it, then it can't be done," Ross said. He said he expected the Israelis would want to pause for a bit after the "emotional trauma" of the withdrawal, while the Palestinians would push for more. "The Palestinians are going to say that we need to know that it's Gaza first and not last," said Ross. Some Palestinians fear the withdrawal plan is a ruse to trade tiny Gaza for much of the occupied West Bank, where around 230,000 Israeli settlers live in fortified enclaves among 2.4 million Palestinians. The West Bank is 15 times the size of Gaza. Middle East expert Shibley Telhami of the Brookings Institution said the Palestinians were pushing for final status negotiations and they wanted Washington to push their case. "They are expecting a Palestinian state on President George W. Bush's clock," Telhami said. Israel's ambassador to the United States, Daniel Ayalon, said US involvement was welcome but it was up to the Palestinians and Israelis to take the initiative. What happens next, he said, depends on the Palestinians. "They have the keys in their hands," he said

 


Bush: US, Israel United in Making Sure Iran Doesn't get Nuclear Weapons

Aug. 15….(Ha Aretz) US President George W. Bush said on Israeli television he could consider using force as a last resort to press Iran to give up its nuclear program. "All options are on the table," Bush, said in the interview. In the interview, Bush said the United States and Israel "are united in our objective to make sure that Iran does not have a weapon." Asked if that included the use of force, Bush replied: "As I say, all options are on the table. The use of force is the last option for any president and you know, we've used force in the recent past to secure our country." Iran angered the European Union and the United States by resuming uranium conversion at the Isfahan plant last Monday after rejecting an EU offer of political and economic incentives in return for giving up its nuclear program. Teheran says it aims only to produce electricity and denies Western accusations it is seeking a nuclear bomb. President Bush made clear he still hoped for a diplomatic solution, noting that EU powers Britain, Germany and France had taken the lead in dealing with Iran. Washington last week expressed a willingness to give negotiations on Iran's suspected nuclear weapons program more time before getting tougher with the country. "In all these instances we want diplomacy to work and so we're working feverishly on the diplomatic route and we'll see if we're successful or not," Bush told Channel One television. Bush has also previously said that the US has not ruled out the possibility of military strikes. But US officials have played down media speculation earlier this year they were planning military action against Iran. If Iran continues to defy global demands, another IAEA meeting will likely be held, where both Europe and Washington will push for a referral to the United Nations Security Council for possible sanctions. Iran has warned President Bush that he would be making a mistake to use force against the Islamic republic over its nuclear program. "Bush should know that our capabilities are much greater than those of the United States," foreign ministry spokesman Hamid Reza Asefi told reporters. "We don't think that the United States will make such a mistake."

 

 

Pool of Siloam, Where Jesus Healed Blind Man, Discovered

Aug. 15….(Baptist Press) What is believed to be the Pool of Siloam, where Jesus healed a man blind from birth in John 9, has been unearthed in Jerusalem, and a Southern Baptist archeologist is convinced the find is authentic. “I’ve seen it. It’s a phenomenal, monumental pool,” Steven Ortiz, associate professor of biblical archaeology and director of the Center for Archaeological Research at New Orleans Baptist Theological Seminary, told Baptist Press. Ortiz made a trip to Israel in recent weeks and walked along the site with one of the field staff working on the excavation. According to an article in the September/October 2005 issue of Biblical Archeology Review by editor Hershel Shanks, some workers were repairing a sewage line with heavy equipment last summer when they uncovered what appeared to be two steps. Eli Shukron, an archeologist, happened to be watching and immediately notified his colleague, Ronny Reich. “These must be the steps going down to the Pool of Siloam during the Second Temple Period,” Reich said as soon as he saw the steps, according to Biblical Archeology Review. As workers continued to dig, they discovered more steps, which grew wider as they went along. Shanks described the site as containing three short segments of descending stairways of five steps each. The first leads down to a narrow landing, the second to another landing and the third down to what is now believed to be the final level, though further excavation may reveal a deeper pool. Archeologists believe at this time that the pool was at least 225 feet wide at one point, and steps were on at least three sides of the pool. The corners are greater than 90 degrees, indicating the pool was a trapezoid rather than a square, Shanks reported. Two important bits of information researchers always want to know about a historic site are the date of construction and the date when the facility stopped being used, Shanks wrote. In this case, archeologists have found both. They used a metal detector to discover four coins in the plaster containing the imprint of Alexander Jannaeus, a Jewish king who ruled Jerusalem from 103 to 76 BC, thereby providing the earliest date the pool could have been constructed. Also, they found a dozen coins from the period of the First Jewish Revolt against Rome, which lasted from AD 66 to 70. So archeologists know the pool was used until the end of the revolt, when it was abandoned as mud slid in from the hillside and was no longer cleaned out of the pool. Workers found the pool, located in the lowest spot of Jerusalem, under nearly 10 feet of mud in some places, Shanks noted. “This summer has been a phenomenal time for Jerusalem archeology,” Ortiz said. “You have another excavation just up the hill from the pool where you have possibly a large public building that could be the palace of King David from the Old Testament period. Now you have this pool that dates to the second temple or the New Testament period.”
The large public building from around the 10th century BC containing pottery shards that date back to the time of David and Solomon was recently discovered by archeologist Eilat Mazar in East Jerusalem, according to The New York Times Aug. 5. Experts have not yet confirmed whether the building was the palace, but its discovery is certain to play a prominent role in the debate over whether Jerusalem was a mighty capital or a small, provincial town during the 10th century BC when David conquered it. John’s gospel records Jesus' encounter with the blind man. His disciples asked him whether the man or his parents were to blame for his blindness, and Jesus told them the fault belonged to neither. Then He spit on the ground and rubbed the mud on the man’s eyes before telling him to go and wash in the Pool of Siloam, and he was healed.

 


Lutherans Condemn Israeli Security Barrier

Aug. 15….(Worthy News) The Evangelical Lutheran Church in America denounced the security barrier Israel is building along the West Bank, saying Saturday that Israeli policy throughout the territories has brought "extreme hardship" to Palestinians. The statement, called "Peace Not Walls: Stand for Justice in the Holy Land," is part of an advocacy plan for Mideast peace that delegates to a church-wide assembly adopted on a 668-269 vote.

It was approved at a time of heightened tension between Protestants and Jews. Several protestant groups have angered Jews by protesting construction of the barrier, and some Christian denominations have considered divestment from companies that profit from Israeli control of the Palestinian territories. The new ELCA strategy doesn't mention divestment, but it urges the denomination to move toward "stewarding financial resources, both US tax dollars and private funds, in ways that support the quest for a just peace in the Holy Land." Lutheran leaders insist it is not an endorsement of economic pressure against Israel. Ethan Felson, assistant executive director of the Jewish Council for Public Affairs, said the ELCA position on the barrier shows a lack of understanding about the dangers facing Israel. "What is indisputable is that it saves lives," said Felson, who contends the barrier is not permanent and will be dismantled when the Jewish state is safe from terrorist attacks. Other Jewish leaders said protestants should support Israel as it prepares to withdraw from the Gaza Strip on Monday. However, Bishop Munib Younan, head of the Evangelical Lutheran Church in Jordan and the Holy Land, told delegates the barrier itself is an obstacle to peace. Many Palestinians can no longer reach their jobs, hospitals and houses of worship, he said. "The future of the Palestinian church is at stake, because the current conditions are causing our children to leave in increasing numbers," he told the group by phone from Jerusalem. Palestinians say the barrier, which dips in some places into the West Bank, an area they claim for a future state, is an attempted land grab. The Lutheran condemantion reaffirms the church's support for UN Security Council resolutions that call for Israeli withdrawal from territories occupied as a result of the 1967 war while upholding the right of every state in the Middle East "to live in peace within secure and recognized boundaries." On August 5, the Presbyterian Church began its drive for divestment from companies whose practices it says support the Israeli occupation of Palestinian land or facilitate violence against civilians. The first five companies targeted by the church include Caterpillar because it manufactures bulldozers used by Israel for demolishing Palestinian homes, Citigroup because some of its financial channels may have been used to pay families of Palestinian suicide bombers, and ITT Industries, a supplier of communications equipment for the Israeli military. Motorola has also made the list as a result of its contract with Israel to develop encryption machines, while United Technologies was accused of supplying the Jewish state with combat helicopters. The parallel actions by the Lutherans and Presbyterians are seen here as sign of possible erosion of support for Israel among American Christians, a major political constituency behind President George W. Bush. US Christian conservatives have been among some of the strongest supporters of Israel in the United States because of its role as custodian of the most sacred biblical sites. The Lutheran resolution came in spite of a passionate appeal by Rabbi Eric Yoffie, president of the Union for Reform Judaism, who implored delegates to "not demonize or isolate Israel." "As long as the terror continues, we believe that Israel cannot be denied the right to a defensive barrier whose goal is to end the indiscriminate murder of her civilians," Yoffie said.

FOJ Note: The growing Protestant movement to divest from Israel is reflective of the Replacement Theology that is unfortunately taught in many American protestant denominations. Sadly, these churches do not realize the movement of God in re-gathering His Chosen people back into Their Land. It is also further evidence that we are nearing the apostasy of the Tribulation era.

 

 

US Scaling Down Goals in Iraq

Aug. 15….(AFP) The administration of President George W. Bush is significantly lowering expectations of what can be achieved in Iraq, recognizing that the United States will have to settle for far less progress than originally envisioned, The Washington Post reported Sunday. Citing unnamed officials in Washington and Baghdad, the newspaper said Washington no longer expected to see a model new democracy, a self-supporting oil industry or a society, in which the majority of people are free from serious security or economic challenges. "What we expected to achieve was never realistic given the timetable or what unfolded on the ground," the report quotes one senior official as saying.

"We are in a process of absorbing the factors of the situation we're in and shedding the unreality that dominated at the beginning." The debate over a new Iraqi constitution has particularly driven home the gap between the original US goals and the realities almost 28 months after the US-led invasion of the country, The Post said. The United States initially planned to build Iraq as a secular and modern country that honors human rights and unites disparate ethnic and religious communities.

 

 

WEEK OF AUGUST 7 THROUGH AUGUST 14

 

 

Bush: Disengagement Plan 'Good for Israel'

Aug. 12….(Ha Aretz) US President George W. Bush says Israel's planned pullout from the Gaza Strip "will be good for Israel." Bush's remarks, in an interview given to Israel's Channel One television and aired on Thursday, appeared to be an attempt to boost Prime Minister Ariel Sharon against far-rightists seeking to thwart the withdrawal due to start on August 17. "I believe the decision that Prime Minister Sharon has made and is going to follow through on will be good for Israel," Bush said, interviewed at his ranch in Crawford, Texas. Asked why he thought Israel's disengagement from the occupied land would help Israeli security, Bush replied: "First of all the previous system wasn't working. There was an intifada (Palestinian uprising), there was death, there was killing. And if you notice, there's been a calm in the terror attacks. Palestinian militants have generally observed a cease-fire since February. Bush reiterated the goal of a US-backed road map peace plan to achieve the goal of a Palestinian state alongside Israel and its call on Palestinians to dismantle militant groups. "I think in the long run two states living side by side in peace is the ultimate solution for Israel's security," he said. "In the meantime we've got to work, you know, to dismantle terrorist organizations, and that's precisely what the road map calls for."

 

 

Israeli Hawks Circle Iran's N-plants

imageAug. 12….(The Telegraph) Ever since its 1979 Islamic revolution the only fate Iran has had in mind for Israel has been simple: its destruction. Now that Teheran seems to be moving towards acquiring its own nuclear arsenal, its plans for its great enemy threaten to be both fiery and radioactive. Sometimes Iran's stated policy towards Israel is couched in inflammatory rhetoric, like that on a 40ft banner that used to hang outside the entrance of the foreign ministry in Teheran bearing the message: "Israel Must Burn". Sometimes the language is tamer, such as the "Down with Israel," chants of students who march after Friday prayers in Teheran week in, week out. But whatever the tone, the message remains the same. The Jewish state has survived wars, internal upheaval, intifadas and bloody entanglements in the internal affairs of its neighbors. But now a major enemy, one committed to its annihilation, appears close to deploying the most destructive force known to Man. "Having the ayatollah regime armed with nuclear weapons is an existential threat to the state of Israel," Mark Regev, senior spokesman at its foreign ministry, admitted grimly. "We take the issue extremely seriously.'' But while the danger Israel faces is clear, what it should do about the threat poses much more of a quandary. Some Israelis cite the precedent of the 1981 unilateral Israeli air-strike on Iraq's Osirak nuclear reactor. Israel, they argue, should do the same again and launch pre-emptive military attacks on Iran's growing nuclear infrastructure. But Iran has developed its nuclear program with such a scenario in mind. It has deliberately spread its facilities far and wide, using nine locations, according to one intelligence source. And each facility is buried under tons of reinforced concrete, making it more difficult to destroy, even with the help of the BLU-109 "bunker-buster" bombs the US is selling its closest Middle Eastern ally. Iran, moreover, is further away from Israel than Iraq, raising even greater doubts about the ability of the F15 and F16 planes Israel would use in any air raids to reach their target and then make it home without being refueled. And there is also the question of how the aircraft would get close enough to hit their targets. The US controls Iraqi airspace, but it seems inconceivable that Washington would open it up to Israeli combat jets and tankers. While the problems facing air strikes are significant, Israel's military nevertheless believes it has the means to cause serious damage to the Iranian nuclear capability. Israel's cruise missiles, launched from planes or submarines, give the country a capability that it did not have in 1981 when it attacked the Iraqi reactor with a conventional bombing sortie. "It's a bit more challenging in Iran but the military option remains a real one," said David Ivri, a retired Israeli air force officer who commanded Operation Opera, the attack on Iraq's reactor. "After all, the aim would not be to neutralize the Iranian nuclear program. That would be impossible. But what we could do is delay it considerably. The calculation Israel must make is a simple one: when will Iran become a nuclear power? The Iraq attack was launched only when Israel's intelligence concluded that Saddam Hussein's regime was within a year of producing its own nuclear weapons. It also followed a lengthy diplomatic campaign by Israel to dissuade France from selling nuclear technology to Iraq. When that failed, Mossad agents blew up components due to be shipped to Iraq at a warehouse in France. Only when it was clear that Iraq's nuclear program continued did Operation Opera get the green light. According to a senior figure in the Israeli Defense Force quoted in the Jerusalem Post, Iran will not be able to produce a nuclear bomb until 2008 at the earliest; 2012 is a more realistic date and experts believe that the current situation is insufficiently acute to warrant military action. "The best-case scenario for Israel is that the negotiations between Iran and the European Union succeed," said Emily Landau, senior research associate at the Jaffee Centre for Strategic Studies in Tel Aviv. This would suit Israel, which backs the negotiations and wants to avoid turning the current crisis into a row between Iran and itself. As long as EU negotiators are talking with Iran, Israel is happy to stay on the sidelines. And there is one important factor at play: it is one of the Middle East's worst kept secrets that Israel has the nuclear bomb. Iran certainly knows this and it will have a clear deterrent effect. The result is that Israel might not need to take pre-emptive military action against Iran, if only because Teheran would never use a nuclear weapon against Israel for fear of itself being attacked, and annihilated, by the Jewish state's nuclear arsenal.

 

 

What Will You Pay for Your Gas?

imageAug. 11….(FOJ) Oil prices zoomed higher today, touching a new record high of $66 a barrel. The latest spike, (oil-crude futures have risen 14 percent in three weeks) highlights just how nervous the market has become to just about any threat to output, even though analysts say the country has adequate levels of fuel in inventory to offset routine supply disruptions. The rising prices are coming amid strong demand in the United States and China, and by the building competition between multi-national oil corporations and National Oil Companies. Economic analysts have debated about where the breaking point in price/barrel might steady before the economy begins to rattle. Apparently the $70 range will fly by the public. Gasoline prices averaged $2.37 a gallon nationwide last week, and demand still picked up by 1.4 percent from a year ago, according to US government data. Prices at the pump are likely to continue climbing until consumers start crying uncle. The transition of power in Saudi Arabia last week following the death of King Fahd affected markets some, buts the constant security-threat from terrorism in Saudi Arabia (ARAMCO is a National Oil Company) is a constant source of concern. ARAMCO was once an American-Arab oil company, but Saudi Arabia inherited total control of this oil company in the 1970’a as the American lease agreement on Saudi oil rights ended. Oil prices are about 40 percent higher than a year ago, and they would need to surpass $90 a barrel to exceed the inflation-adjusted peak set in 1980. The International Energy Agency indicates that non-OPEC output is falling short of expectations, further compounding supply concerns. So, when will higher gas prices start to slam the American economy? Economic analysts for oil supply and consumption are busy trying to calculate just how much we will all be willing to pay for our gas, before something goes bust! Some say that $75-a-barrel oil might be the breaking point, and some say 90, or even $100. Still, as much as we are paying for gas today, oil prices have not yet reached the levels of the late 1970s and early 1980s, adjusted for inflation, when OPEC used gas as a weapon against the West in order to force America to pressure Israel into a Peace Process that is still carving, slicing up and dividing the Promised Land. American’s still support Israel’s right to exist, but what if that support, being unsatisfactory to the Arab world begins to cost you 5.00/10.00 a gallon for your gas, what will you do then? Oh well, the time is not yet drastic, but all the signs are pointing to a Time of Trouble, and oil will play a part in that troublesome era. (We all know what will happen when the Antichrist finally sets up his kingdom, don’t we? He will require you to receive a mark, a number, or an image to trade in his system.) (Rev 6:5-6 And when he had opened the third seal, I heard the third beast say, Come and see. And I beheld, and lo a black horse; and he that sat on him had a pair of balances in his hand. And I heard a voice in the midst of the four beasts say, A measure of wheat for a penny, and three measures of barley for a penny; and see thou hurt not the oil and the wine.)

 

 

Iran Issues Nuclear Sanctions Warning

imageAug. 11….(Middle East Truth) Iran has warned that it would be a "grave miscalculation" for the US and the EU to refer Teheran to the UN Security Council over its nuclear program. The warning came after Iran broke UN seals at its nuclear plant at Isfahan yesterday, making it fully operational. UN Secretary General Kofi Annan has called on European Union countries to continue dialogue with Iran. EU countries have proposed a resolution to the UN nuclear watchdog in Vienna calling for Iran to halt work. But Iran's chief negotiator at the talks there said Teheran had an absolute right to produce nuclear fuel. Iranian spokesman Cyrus Nasseri said Iran will its uranium conversion work, and dismissing the EU proposals of economic and political concessions as a "package of lollipops."  Matthew Boland, spokesman of the US Mission to the UN in Vienna, said: "Today's breaking of UN seals by Iran is yet another sign of Iran's disregard of international concerns." Mr. Nasseri rejected the criticism, saying, "It is absolutely wrong to consider that only a few states in the world, the US and a few states in Europe, plus Russia, should have the exclusivity producing nuclear fuel." The breaking of the seals at Isfahan took place under the supervision of the IAEA, which has installed equipment to monitor activity. The resolution the EU drafted in response is scheduled to be heard at a meeting of the IAEA's 35-nation board in Vienna on Thursday. It is thought the resolution does not yet call for Iran's actions to be referred to the UN Security Council. Mr Nasseri said: "I think that would be a grave miscalculation by the US and particularly by Europe to move towards the path of confrontation. If the US and the West choose to take Iran to the UN, it will be big, big mistake." The Isfahan plant is Iran's main uranium conversion facility. Conversion is an early stage in the nuclear fuel cycle, turning raw uranium, known as yellowcake, into the feedstock for enriched uranium. Uranium enriched to a low level is used to produce nuclear fuel, while further enrichment makes it suitable for use in atomic weapons.

 

 

Iraq Shi'ite Leader Calls for Shiite State in South

Aug. 11….(Reuters) An Iraqi Shi'ite leader said on Thursday Shi'ites should have their own federal region taking in all of the Shi'ite areas in oil-rich southern Iraq. "Regarding federalism, we think that it is necessary to form one entire region (in the central and southern part) of the south," said Abdul Aziz al-Hakim, leader of one of the Shi'ite parties leading the government. His comments came shortly after the commander of his Iranian-trained Badr movement militia said Shi'ites should have their own federal zone in the south. "Federalism has to be in all of Iraq. They are trying to prevent the Shi'ites from enjoying their own federalism," Hadi al-Amery, head of the Badr movement, told tens of thousands of Shi'ites gathered in the sacred southern city of Najaf. The calls for a southern Shi'ite region come at a critical time when Iraqi leaders are scrambling to finish a draft constitution to submit to parliament before a self-imposed August 15 deadline. Federalism is one of the most volatile issues in talks on the constitution, which the Shi'ite-led government and their US allies hope will defuse the Arab Sunni-led insurgency. Hakim’s calls for federalism were made to an emotional crowd commemorating the second anniversary of the death of Hakim's brother, Ayatollah Mohammed Bakr al-Hakim, who was killed by a car bomb in Najaf in 2003 along with 83 other people. The Badr movement, former Iraqi army soldiers who turned against Saddam Hussein in the war with Iran in the 1980s, are resented by many Sunnis, who were dominant under the toppled Iraqi leader but sidelined in January elections. Kurds have enjoyed a de facto state in the north since 1991, when American troops set up a no-fly zone to protect them from Saddam Hussein's army. Sunnis favor a strong central government with tight control over oil resources in the Kurdish north and Shi'ite south. Southern Iraq is home to the country's biggest oil reserves.

 

 

Israelis Prepare for Temple Mount Showdown

Aug. 11….(Arutz) About a quarter of a million people surrounded Jerusalem’s Wailing Wall last night to pray for a miracle against the scheduled August 14th Israeli withdrawal from Jewish communities in the Gaza Strip. Three former chief rabbis attended the rally, including Rabbi Ovadia Yosef, who is the spiritual leader of the large, ultra-religious Shas political party, spoke at the rally. The mass prayer was the largest gathering of people in Jerusalem's Old City since its liberation in following the Six Day War in 1967 and the largest prayer in the area since the destruction of the Second Temple.  Rabbi Menachem Porush told the crowd; “Our forefather Abraham asked for mercy on behalf of Sodom and Gemora, which were evil, appealing to G-d that there must be fifty, twenty, even ten righteous people living there," said Porush. "How much more so, when we have towns filled with Torah and yeshivas, with righteous Jews who fear Heaven, are we obligated to pray for them and for the nullification of the decree." Words can't describe what it is like to see this sea of Jews praying together on behalf of the Nation of Israel," said one worshipper Wednesday. The army has informed residents of the settlements that they have until midnight on Sunday night, Aug. 14 to remain in their homes legally. After that they have an additional 48 hours before the army will begin to remove them by force. Nevertheless, opponents have planned a large anti-pullout rally in Tel Aviv for Thursday evening and large protests on Saturday evening and Sunday for Tisha B'Av, the ninth of the Hebrew month of Av when Jews commemorate the destruction of two consecutive Jewish Temples on the Temple Mount, the last of which was destroyed in 70 AD by the Romans. Opponents of the disengagement have said that nothing short of a "miracle" could stop the pullout from taking place now. Revava, a Jewish Temple Mount group, called for Jews to ascend the Mount Aug. 14 to hold a "massive prayer assembly for the rebuilding of our holy Temple on its historic site." David Ha'ivri, chairman of Revava, said, "The Muslims must understand that their rule over our holy place has come to an end and that the Jewish people will exercise our religious rights on the Temple Mount. We expect thousands of Jews to take part."

image

 

 

US Pressure Determines Israeli Policy

imageAug. 10….(Arutz….by David Bedein) The United States Department of State has made it clear to Prime Minister Ariel Sharon. It wants the Jews out of the Katif district of Gaza by August 15th, with no excuses. The Chief Rabbi of Haifa, Rabbi She'ar-Yashuv Cohen, came to Jerusalem and pleaded with PM Sharon to reconsider his plan to retreat from Gush Katif, which involves Israel's obliteration of the 21 Jewish communities there, including 325 thriving Jewish farms and 86 synagogues and Jewish study centers. Sharon's answer to Rabbi Cohen: "This is what the US State Department is demanding that I do and I must do it." It does not matter that half of the 9,000 Jews who live in Gush Katif have nowhere to go, with their relocation plans still left up in the air. It does not matter that the Israeli government cannot offer more than two containers to each family to help them remove their possessions. It does not seem to matter that the experts in Israel's security establishment are warning that the result of Israel's hasty retreat will be the creation of a new Islamic terror base. Sharon is now making it clear that he is under pressure from the US government and that is that. Yet, one of the common assumptions over the past two years is that the Sharon government's plan to expel Jews from Gaza and northern Samaria, and unilaterally hand the area over to an independent Palestinian entity, had been an entirely autonomous Israeli decision. It can now be determined that the US government was behind it all along.  In meetings with concerned American citizens, Danny Ayalon, Israeli ambassador to the US, clearly stated that Sharon's Disengagement Plan is part of an overall Israeli-American agreement. In late June, Ayalon met with representatives of the Orthodox Union, one of the largest contingents of American Orthodox Jews, and told them clearly that "Prime Minister Sharon is left with no choice. He is doing exactly what the US expects him to do." In an interview with the Jewish Journal of Greater Los Angeles, published on June 22nd, 2005, Ayalon reversed earlier Israeli government statements, saying that Israel does not expect the Palestinian Authority (PA) to dismantle terrorist infrastructure until after the planned expulsion. He mentioned that ending terrorism and anti-Israel incitement had been conditions Israel had demanded from the PA before carrying out the plan; however, Ayalon indicated that the agreement with the US was more important than an agreement with the PA. The Israeli ambassador said, "Disengagement has to be viewed in the context of Israel-United States relations. This pullout did not follow an agreement with the Palestinians, but it followed something which is much more important, an agreement with the United States. Disengagement is something that creates a common agenda between us and the United States."  This week's sudden announcement of the resignation of Israeli Finance Minister Binyamin Netanyahu, then, was aimed at the US State Department more than at the Israeli public. In the final interview given by Netanyahu before his resignation, to the Jerusalem Post on August 5th, 2005, he indicated that the current policy pursued by the government of Israel should be perceived as a threat to the security interests of the US and of all Western countries, since it creates a terror base in Gaza, and since the Palestinian Authority has incorporated the Hamas and other Palestinian terrorist organizations instead of dismantling them. Yet, the position of the US State Department remains undaunted: Prime Minister Ariel Sharon must dismantle and withdraw any and all Israeli presence from every Jewish community in the Katif district of Gaza by mid-August. Sources in the Palestinian Authority and the US government confirm that the US now urges that Palestinian armed forces be immediately moved into these Jewish communities in mid-August, as Israel forcibly removes Israeli Jewish citizens who have lived there for more than thirty years. That could mean that the Palestinian Authority armed forces will be allowed to pursue and punish any Jews who cling to their property as the Israeli army is retreating. US Secretary of State Condoleezza Rice also demands that Israel find a way to assure Palestinian Arabs some kind of safe passage that will enable Palestinian Arab residents of Gaza to traverse Israel in order to reach their compatriots in the other parts of the Palestinian Arab self-ruled areas in Judea and Samaria. Sec. Rice is also demanding that Israel allow additional arms and ammunition to flow to the Palestinian Authority, ignoring the fact that the arms and ammunition supplied to the PA between 1993 and 2000 were turned against Israeli citizens since the fall of 2000, with a human toll of 1,073 people murdered in cold blood by armed Arab terrorists. When special US presidential envoy General William Ward was asked two weeks ago by the US Foreign Relations Committee if the US could account for the weapons that it had supplied to the Palestinian Authority in the mid-nineties, Ward's answer was in the negative. Secretary Rice seems to not know or care that the PA and its ruling Fatah organization remain at war with the state of Israel, with one purpose in mind: the liberation of Palestine, from the Jordan River to the Mediterranean Sea. When Israeli Minister of Defense Sha'ul Mofaz objected to Rice's demand for a safe passage for Palestinian Arab residents from Gaza to the West Bank, sources at the Ministry of Defense confirmed to the media that a screaming match occurred, with the US Secretary of State clarifying that she will not accept "no" for an answer in this regard. Another recently resigned Israeli government minister, Natan Sharansky, confirms that the motivating factor for Sharon's retreat remains the pressure that he is under from the American government and other democracies abroad. Sharansky wonders why it is that the world's democracies, led by the United States of America, are so keen to witness the creation of a new anti-democratic, anti-Western and anti-American Islamic state in the Middle East. The time has come to ask the question: why do US citizens not challenge the pressures that the US State Department brings to bear on Israel in this regard? If the US State Department relents in its pressure on the government of Israel, Israel will reconsider its plans for a hasty retreat from its Jewish communities in the Katif district of Gaza. The ball is in the court of the citizens and the Congress of the United States of America.

FOJ Note: The reason the US Government, and the State Department in particular is hell-bent on forcing Israel to make concessions is parallel to the reason the US Presidency refuses to relocate its embassy from Tel Aviv to Jerusalem. It is in the interest of American National Security. Terror in Israel is one thing, but risking terrorism (nuclear terror) inside the US is quite a frightening scenario, and one that affects foreign policy decisions. And, afterall, the Arabs have the oil, and can determine oil prices and affect the American economy.

 

 

US: Iran is Smuggling Weapons into Iraq

Aug. 10….(The Australian) US Defense Secretary Donald Rumsfeld has accused Tehran of smuggling weapons into Iraq, after US intelligence reports claimed a cache of bombs found in the country's north had come from Iran's Revolutionary Guard.  "It is true that weapons clearly, unambiguously, from Iran have been found in Iraq," Mr. Rumsfeld said.

"It's a problem for the Iraqi Government. It's a problem for the coalition forces. It's a problem for the international community. And ultimately, it's a problem for Iran." The US military believes a hidden store of manufactured bombs seized in Iraq about two weeks ago was smuggled into the country by the Iranian Revolutionary Guard. If the intelligence is correct, it would suggest the Iranian Revolutionary Guard is moving into a conflict that for the past year has been dominated by Sunnis rather than Shi'ites. US officials said the Iranian weapons haul was significant because it indicated manufactured bombs were being introduced in a conflict that had seen widespread use of "improvised explosive devices" by insurgents. Last week, US soldiers discovered dozens of recently manufactured "shaped" charges smuggled into northeastern Iraq from Iran. The bombs focus the force of an explosion to blast through even the heavy armor on an M-1 tank. They were first reported to be in Iraq several months ago, amid an escalation in the size and deadliness of the bombs devised by insurgents. Triple-stacked anti-tank mines were reported to have been used in an explosion last week that flipped over a US armored amphibious assault vehicle, killing 14 marines and an interpreter in one of the biggest single losses of the war. US military officials estimate that 70% of US casualties stem from improvised bombs. Secretary Rumsfeld and other senior Bush administration officials have often attacked Syria for allowing Iraqi insurgents to move foreign fighters, money and arms across its borders. They have been more reserved about Iran, whose Shi'ite regime has been viewed as more closely aligned to Iraq's Shi'ite majority than to an insurgency that has been drawn mainly from the country's Sunni minority. "It's a big border and unhelpful for Iranians to be allowing weapons of those types to be crossing the border," Mr. Rumsfeld said. It seems that Iran and Syria are intent on destabilizing Iraq."

FOJ Note: Syrian President Bashar Assad met in a secret meeting with the new Iranian President, in Teheran yesterday, the same day that Iran announced that it was renewing its nuclear program, stirring an emergency meeting at the UN.

 

Al-Qaida's Next Base, in Gaza?

Aug. 9….(WND) With Israel slated to withdraw its Jewish communities from the Gaza Strip this month, and analysts warning Hamas may gain control of the area, there have been growing indications the Palestinian terror group's ideological "friend" al-Qaida may be invited to use Gaza as the next base from which to stage its global jihad. As WND reported, a group claiming to be "Al-Qaida-Palestine, Jihad Brigades in the Border Land," announced last week the establishment of a cell in the Gaza Strip. Senior military sources could not confirm the presence of al-Qaida in Gaza. The IDF says Palestinian groups with ties to Al-Qaida may be active in the area, but even if al-Qaida is not currently in Gaza, analysts are warning Israel's withdrawal next week from the area will create conditions that could make the Gaza Strip a safe haven for the terror network.

Hamas is known to be friendly with al-Qaida. In 2004, Hamas distributed computer CDs in the West Bank and Gaza that expressed the organization's identification with Chechen terrorists and with other "holy wars" in the Balkans, Kashmir, and Afghanistan. Pictured together on the CDs, some of which are in the IDF's archive, are Hamas founder Sheikh Ahmed Yassin, two Chechen leaders, and Osama bin Laden. Al-Qaida and Hamas are often funded by the same countries and organizations. According to the Council on Foreign Relations, "Hamas leaders often use the very same methods and even the same institutions as al-Qaida to raise and move their money." Both al-Qaida and Hamas legitimize the use of suicide bombings based on the same religious authorities: Egyptian cleric Qardhawi and Saudi sheikhs Salman al-Auda, Safar al-Hawali, Hamud bin Uqla al-Shuaibi, and Sulaiman al-Ulwan. All five clerics appear on the Hamas official website. Reuven Erlich, director of the Terrorism and Information Center at Israel's Center for Special Studies, says Palestinian cleric Dr. Abdullah Azzam, was al-Qaida's ideologue and until Azzam's death, Osama bin Laden's spiritual mentor. "We found Azzam's picture on Hamas posters from Gaza and a lot of Hamas' material," said Erlich. Azzam, from the north Samarian village of Silat al-Harithiya, was an early member of the Muslim Brotherhood. He met bin Laden in the early '80s and, according to many reports, became his main spiritual mentor. Azzam wrote a book, "The Defense of Muslim Lands, the Most Important Personal Duty" stressing that land previously under Islamic control must be returned by way of jihad. The book, widely touted by Hamas, is among al-Qaida's stated guidelines for its global jihad. Azzam's is perceived by Hamas as one of the four 'outstanding figures' of the Islamic 'struggle' in Palestine and around the world. Dr. Azzam is a prominent source of inspiration for global jihad. By glorifying him and turning him into a role model, Hamas exceeds its Palestinian-national aspect and positions itself ideologically in the global jihad camp, although its primary focus is its terrorist-operational activities against Israel and the PA-administered territories." Al-Qaida has several times claimed a presence in the Gaza Strip. A group calling itself Jundallah or "Allah's Brigade" claimed in May it set up shop in Gaza. The new terror group is said to consist mainly of former Hamas and Islamic Jihad members who believe Palestinian terror groups have become too moderate. Jundallah says it has close ties to al-Qaida in Afghanistan, Pakistan and Iran. Palestinian Authority officials told reporters the establishment of Jundallah confirmed suspicions al-Qaida is attempting to gain a foothold in Gaza ahead of Israel's withdrawal. Yaacov Amidror, former chief of research for Israeli military intelligence, told WND, "It's becoming clear Hamas will take over Gaza when Israel leaves. Today, one of the weaknesses of al-Qaida is its lack of a safe haven in the Middle East. The new realities in Gaza will make it one of the most convenient places for al-Qaida to base their global operations. The Gaza Strip will become a paradise because it will be area in which the population and the terror groups in power, especially Hamas, share the same ideology as Al-Qaida. Hamas recently dominated municipal elections in the Gaza Strip, and many say the group is poised to do well in upcoming Palestinian legislative elections. Hamas, in deference to Al Qaeda emphasizes Jihad against Israel, before the struggle against the rest of the West, the Christians and the non-Islamist world.

 

 

Israel  Has Plans For War With Al-Qaida

Aug. 9…..(WND) As Israel plans a unilateral withdrawal of all Jews from the Gaza Strip this fall, al-Qaida operatives are reportedly ready to move in. Al-Qaida's presence, in the name of "The Jihad Brigades in the Promised Land," was announced on an Islamic website known to be friendly to Osama bin Laden's terrorist network. The group claimed responsibility for mortar and rocket attacks against Jewish communities in Gaza. The al-Qaida affiliate boasted of using a new rocket called the Sajil. The Brigades are not a new organization but merely a spirit of faith pushing the jihad fighters in the promised land to close ranks behind an honest and uncompromising leadership," the announcement said. Al-Qaida is known to have a working relationship with Hamas, the most active terrorist group in the Gaza Strip. The news of an al-Qaida presence in Gaza did not shock Israeli military officials, one of whom has already drawn up a battle plan to take on Bin Laden. The plan is now being studied by military and intelligence leaders by other nations involved in the war against Islamic terrorism. In an internal briefing General Aharon Zeevi-Farkash, Israel’s army intelligence chief, said the errorist network could actually be decreased by 70 percent within three years. Farkash based his analysis on a comprehensive intelligence study of al-Qaida’s structure and its goals with particular emphasis on bin Laden. According to Farkash, al-Qaida is in the process of shifting its operational interests from Pakistan and Afghanistan, the two countries which, until the American intervention in 2003, were the organizations’ logistical and material backbone, toward Africa, especially North Africa, eventually aiming at increasing jihadi activity in Europe. Farkash’s assessment is supported by evaluations from other army, Mossad and General Security Service officers. All three organizations agree al-Qaida’s far-reaching activity, as well as that of other groups loosely linked, should be of prime interest to Israel in addition to the decades-long war against Muslim terrorist groups within and outside of the Palestine Liberation Organization and the Palestinian Authority. Israel has been anticipating that groups such as the Islamic Jihad-Palestine, Hamas, Hezbollah, the Egyptian Muslim Brotherhood and the Egyptian Islamic Jihad will be drawn into broader cooperation with al-Qaida. All of these organizations have well-established cells in the Gaza Strip and the West Bank and ties to radical Israeli Muslim centers. In addition to sharing information with other nations involved in the war against al-Qaida, Israel may also carry out operations against operatives wherever they are to be found. In the past Israel has launched all-out worldwide war against PLO and Hezbollah operatives. These operations included pin-pointed attacks on individuals, usually without taking public responsibility, but leaving identifying "business cards" telling the terrorists the most daring intelligence community in fighting Arab terrorist militancy was behind the attacks. For years PLO leaders lived in fear knowing no place was safe as Israeli agents hunted them down even in Arab capitals.

 

 

Today Gaza, Tomorrow Jerusalem’

imageAug. 9….(Daniel Pipes/JWR) Are Israel's critics correct? Does the "occupation" of the West Bank and Gaza cause the Palestinians' antisemitism, their suicide factories, and their terrorism? And is it true these horrors will end only when Israeli civilians and troops leave the territories? The answer is coming soon. Starting on Aug. 15, the Israeli government will evict some 8,000 Israelis from Gaza and turn their land over to the Palestinian Authority. In addition to being a unique event in modern history (no other democracy has forcibly uprooted thousands of its own citizens of one religion from their lawful homes), it also offers a rare, live, social-science experiment. We stand at an interpretive divide. If Israel's critics are right, the Gaza withdrawal will improve Palestinian attitudes toward Israel, leading to an end of incitement and a steep drop in attempted violence, followed by a renewal of negotiations and a full settlement. Logic requires, after all, that if "occupation" is the problem, ending it, even partially, will lead to a solution. But I forecast a very different outcome. Given that some 80 percent of Palestinians continue to reject Israel's very existence, signs of Israeli weakness, such as the forthcoming Gaza withdrawal, will instead inspire heightened Palestinian irredentism. Absorbing their new gift without gratitude, Palestinians will focus on those territories Israelis have not evacuated. (This is what happened after Israeli forces fled Lebanon.) The retreat will inspire not comity but a new rejectionist exhilaration, a greater frenzy of anti-Zionist anger, and a surge in anti-Israel violence. Palestinians themselves are openly saying as much. Ahmed al-Bahar, a top Hamas figure in Gaza, says that "Israel has never been in such a state of retreat and weakness as it is today following more than four years of the intifada. The withdrawal marks the end of the Zionist dream and is a sign of the moral and psychological decline of the Jewish state. We believe that the resistance is the only way to pressure the Jews." At a mass rally in Gaza City last Thursday, some 10,000 Palestinians danced, sang, and chanted, "Today Gaza, tomorrow Jerusalem." Jamal Abu Samhadaneh, commander of Gaza's Popular Resistance Committees, announced on Sunday, "We will move our cells to the West Bank" and warned that "The withdrawal will not be complete without the West Bank and Jerusalem." The Palestinian Authority's Ahmed Qurei also asserts, "Our march will stop only in Jerusalem. Yossi Beilin, former justice minister and chairman of the Yahad/Meretz Party said; "There is a concrete danger that following the disengagement, the violence will greatly increase in the West Bank in order to achieve the same thing as was achieved in Gaza. Eitan Ben-Eliyahu, former Air Force commander says: "There is no chance that the disengagement will guarantee long-term stability. The plan as it stands can only lead to a renewal of terrorism." Events, I predict, will prove Israel's critics totally wrong but they will learn no lessons. Untroubled by facts, they will demand further Israeli withdrawals. Israel's one-car crash is dismally preparing the way for more disasters.

 

 

The Rise of National Oil Companies

Aug. 9….(Business Times) AS the world's thirst for oil increases, government controlled national oil companies are challenging international firms such as Royal Dutch Shell PLC and Chevron Corp in the global competition for oil reserves. National oil companies are increasingly venturing beyond their home country's borders in search of reserves. The governments' motives are varied, but in cases such as China and India, they are seeking more secure oil supplies to meet the needs of their fast-growing economies. One of China's government-controlled oil companies, CNOOC Ltd, has withdrawn from a bidding war with Chevron to acquire California-based Unocal Corp, which holds reserves of oil and natural gas in Asia, the US and elsewhere. Although CNOOC pulled out in part due to political pressures in Washington, its aggressive bid underscores the more assertive presence of state-controlled oil firms on the world stage. About 77 per cent of the world's 1.1 trillion barrels in proven oil reserves is controlled by governments that significantly restrict access to international companies, according to PFC Energy, an industry consulting firm in Washington. Much of those reserves are in the hands of countries belonging to the Organization of the Petroleum Exporting Countries (OPEC), the cartel that attempts to influence world oil prices by regulating supply. The country with the world's largest reserves is Saudi Arabia, which has its own national oil company, Saudi Aramco, and does not allow foreign companies to pump oil. Several years ago, when oil prices and demand were lower, international oil companies had the upper-hand when negotiating with governments controlling access to reserves, analysts said. But with global oil demand now soaring and prices surpassing US$60 a barrel, countries holding vast reserves have gained a stronger negotiating position with international oil companies that want to operate in their territory. 'The international companies don't run the business anymore,' said Robinson West, chairman of PFC Energy. 'The rulemakers are now the national oil companies. They drive the business.' The US owns no reserves but has an emergency stockpile of nearly 700 million barrels stored in salt caverns in Louisiana and Texas, known as the Strategic Petroleum Reserve. That supply is enough to satisfy US demand for about one month. The US economy relies on oil traded on world markets. That oil could be produced by international companies such as Exxon Mobil Corp or by government-controlled companies such as Saudi Aramco. Oil analysts said that owning reserves or producing oil does not assure supply for any country. If there were a global scramble for oil, there would be nothing to stop a country with a strong military from seizing oil en route to its owner. While international oil companies are reaping billions in profits from sales at today's prices, analysts said they are struggling to replace the reserves they have pumped from the ground. Many of the world's largest and most easily accessed oil fields that are open to foreign investment have been tapped already. Some international firms are sitting on billions of dollars, which analysts said reflects these fewer exploration opportunities. International companies face intense pressure from shareholders to maximize profits. National oil companies, however, often do not have the same profit needs and in some cases have been willing to plunk down more money and accept lower returns. International oil firms also worry that their government-sponsored competitors receive unfair advantages. During the bidding war over Unocal, Chevron complained CNOOC could offer more money because the Chinese government was helping finance the bid by providing low-and no-interest loans. One result of government ownership of oil supplies, analysts say, is that they often manage oil fields less efficiently than big international firms, resulting in less oil for everyone. 'The national oil companies are not really investing and developing oil fields,' said Muhammad-Ali Zainy, senior energy economist at the Centre for Global Energy Studies in London. There are roughly 60 national oil companies worldwide. Nearly half of them own reserves outside their home country, analysts said. Peter Robertson, vice-chairman of Chevron, worries about the increasing dominance of national oil firms. Given that they already control more than three-quarters of the world's oil reserves, 'if governments can come along and gobble up the rest of it at a percent or 2 percent at a time, pretty soon the commercial business looks pretty thin', Mr Robertson said. Government-controlled oil companies in China, including China National Petroleum Corp and CNOOC, have been expanding internationally. Malaysia's Petronas now has business interests in 35 countries. Brazil's Petrobras has been active outside its home country and has developed expertise in deep-water production. International oil companies and national companies, while sometimes rivals, often work together. In many cases, national oil companies lack the money, technology or managerial skill needed to develop big projects and seek to work with the bigger firms.

But some national oil companies have gained enough know-how to begin closing that gap. According to PFC data, more deals are being made between national oil companies, allowing one to operate in another's home country, leaving the international firms out altogether. Nowhere is the thirst for oil rising faster than in China and India. Both countries are aggressively seeking oil supplies, making deals in countries such as Sudan and Iran, where international companies have shied away for political reasons. China consumed 4.8 million barrels per day (bpd) in 2000. The US Energy Information Administration (EIA) expects China to need up 7.2 million bpd this year, far less than current US consumption of about 20 million bpd but rising more rapidly. In 2010, China is expected to consume 9.2 million bpd, according to the EIA.

FOJ Note: Analysts say that countries with National Oil Companies, like the Chinese government wants to lock up supplies. China may in fact believe that big oil international oil companies and the US are manipulating the market to choke China's economy, and check China’s strategic advancement towards replacing the US as the dominant power in the Far East.

 

 

Nagasaki Asks US to give up Nuclear Weapons

A giant column of smoke rises to form a mushroom cloud over Nagasaki 60 years ago

Sixty years to the day after his city was leveled by an atomic bomb, the mayor of Nagasaki today made a direct appeal to Americans to work for a world free of nuclear weapons. Iccho Ito, who was born just two weeks after a US B-52 bomber dropped a 4.5-tonne atomic device on the southern port city, told a ceremony in Nagasaki's Memorial Peace Park: "To the citizens of America: we understand your anger and anxiety over the memories of horror of the 9/11 terrorist attacks. "Yet, is your security actually enhanced by your government’s policies of maintaining 10,000 nuclear weapons, of carrying out repeated sub-critical nuclear tests, and of pursuing the development of new ’mini’ nuclear weapons? "We are confident that the vast majority of you desire in your hearts the elimination of nuclear arms. May you join hands with the people of the world who share that same desire, and work together for a peaceful planet free from nuclear weapons." An atomic bomb was dropped on Nagasaki at 11.02am on August 9, 1945, killing 74,000 people. It came three days after the first ever nuclear attack, on Hiroshima, which killed 140,000 people. Six days later the Second World War was over. Nuclear weapons have never been used since. The mayors of the two cities indicated grave concern about the status of the Nuclear Non-Proliferation Treaty.

 

 

 

Netanyahu Resigns Over Gaza Pullout

Aug. 8….(JNEWSWIRE) Israeli Finance Minister Binyamin Netanyahu officially resigned from the government of Prime Minister Ariel Sharon Sunday in protest over the latter's plan to forcibly uproot some 10,000 Jews from their homes in Gaza and northern Samaria. Just before Sharon's cabinet was set to vote on evacuating the first of Gaza's Jewish communities, Netanyahu placed his resignation letter on Sharon's desk and reportedly left the room. ''What do we get in exchange for the withdrawal?'' asked Netanyahu in his letter. ''What do we get in return for the uprooting of families and their children, homes, and graves? We’ll get an Islamic terror base. In recent months I hoped the government would open its eyes in the face of this clear reality and change course, but the opposite happened.'' ''A balanced government reflecting the will of the people in the last elections has turned into a government that automatically executes a policy that contradicts Likud principals and the mandate we received from our voters,'' Netanyahu wrote. In his resignation letter, Netanyahu accused Prime Minister Sharon of ignoring reality, and said all his warnings regarding the security and political implications of implementing a unilateral withdrawal were coming true. “I am not prepared to be a partner to a move which ignores reality, and proceeds blindly toward turning the Gaza Strip into a base for Islamic terrorism which will threaten the state,” he wrote. He insisted the planned withdrawal was “an irresponsible step which will endanger Israel's security, split the people, institute the principle of return to the 1967 borders, and in the future, endanger Jerusalem as well.” “There is a way to achieve peace and security, but a unilateral withdrawal under fire and with nothing in return is certainly not the way,” wrote the former prime minister. Netanyahu quit the government at the last possible moment before “disengagement,” believing his departure would do little to thwart the plan and desiring to implement as much of his economic recovery plan as possible. Despite his surprise move, the cabinet voted 17-5 in favor of starting the evacuation of three Gaza communities next Monday. Likud ministers Danny Naveh, Yisrael Katz, Limor Livnat and Tzahi Hanegbi joined Netanyahu in opposition. Following Netanyahu's announcement, Israel's stock markets registered significant losses. Over the past year, his economic austerity plan had garnered international praise and restored the confidence of foreign investors.

 

 

Gaza (Terror) Militias Moving to West Bank

Aug. 8….(JNEWSWIRE) The Popular Resistance Committees, an alliance of various armed militias in the Gaza Strip, announced on Sunday that it would start operating in the West Bank immediately after the Israeli withdrawal from the Gaza Strip. "We will move our cells to the West Bank," said Jamal Abu Samhadaneh, commander of the Popular Resistance Committees, which has been behind many of the attacks on IDF soldiers and settlers in the Gaza Strip over the past four and a half years. "We won't sit on the side and watch Israel as it perpetrates massacres in the West Bank. We will start operating there, too." He said that after the Israeli pullout, his group would employ the same "fighting tactics" used in the Gaza Strip in the West Bank. "We will focus on the West Bank," he said. "We will transfer all our fighting methods and capabilities to the West Bank. The withdrawal will not be complete without the West Bank and Jerusalem, which is even more precious to us than the West Bank." The Popular Resistance Committees, which consists of fighters belonging to the ruling Fatah party (PA) and dissident members of the PA security forces, had claimed responsibility for the October 2003 attack on a US diplomatic convoy in the northern Gaza Strip. Three US security officers were killed when a roadside bomb went off near their vehicles. Abu Samhadaneh, who is wanted by Israel for his role in a series of terror attacks, revealed that the Palestinian Authority recently offered him a senior position in its Military Intelligence Force and that he was positively weighing the offer. The Popular Resistance Committees was established in the Gaza Strip shortly after the beginning of the intifada in 2000. Its founders said then that they had been deeply influenced by the "great victory" achieved by Hizbullah following Israel's withdrawal from southern Lebanon. According to Abu Samhadaneh, the Israeli pullout from Lebanon "enhanced our belief that the option of resistance can succeed, especially through qualitative operations against the occupation." The "qualitative operations" are a reference to suicide bombings, rocket attacks and drive-by shootings used by Hizbullah against IDF troops. Abu Samhadaneh said he and his cohorts viewed the disengagement as an Israeli "surrender" to the will, determination and resistance of the Palestinians. "When Prime Minister Ariel Sharon came to power, he had a plan to eliminate the initfada within 100 days," he added. "Now, a few years later, he is admitting defeat in the face of the Palestinians' determination to pursue the resistance. He said his group would continue to launch attacks on Israel after the disengagement "to liberate the remaining Palestinian lands." The Palestinian armed groups, he said, were not established only to liberate the Gaza Strip. "Our goal is to liberate all Palestinian lands," he added. "That's why military operations will continue in the West Bank and other parts of the Palestinian lands.

 

 

WEEK OF AUGUST 1 THROUGH AUGUST 7

 

VP Cheney, Senior Pres. Bush Visit New Saudi King

imageAug. 5….(FOJ) Vice President Dick Cheney, accompanied by former President George H.W. Bush and former Secretary of State Colin Powell, paid respects today to the new Saudi King Abdullah and offered condolences on the death of his half brother, the former king. Reporters in the capital, Riyadh, were barred access to the American delegation, which was to have an audience with the new king after Friday Muslim prayers in the deeply conservative desert kingdom. Oil-rich Saudi Arabia is a major US ally in the Middle East, and Abdullah has worked hard maintain ties strained by the Sept. 11 attacks. The Bush family has had close ties with the Saudi leadership for decades. What happens in Saudi Arabia is of critical importance to the United States thanks to America's dependence on foreign oil. Five extended families in the Middle East own about 60 percent of the world's oil. (I wonder who the other four might be) The Saud family, which rules Saudi Arabia, controls more than a third of that amount. The House of Saud is therefore, the fulcrum upon which the US, and the global economy teeters.

image

   Tens of thousands of Saudis, tribal chiefs, Islamic clerics, army commanders and commoners, have been pouring into the governor’s palace here to pledge loyalty to Abdullah, vowing to “hear and obey” in a traditional Islamic ceremony sealing his status as monarch. Sheik Abdul Rahman al-Seedes, the imam of the Grand Mosque in Mecca, went so far as to compare swearing allegiance to the new king to the oath taken by Muslims to their prophet Muhammad some 14 centuries ago. Al-Seedes said those who do not take the oath would go to their graves as non-Muslims. (ala Bin Laden & company)

 

 

Rumsfeld: Syria 'Not Behaving Wisely'

Aug. 5….(My Way) Defense Secretary Donald Rumsfeld today criticized Syria's leaders for "not behaving in a wise manner," by aiding Iraqi insurgents and warned that such conduct could come back to haunt them. "The United States and the world obviously has to create a better clarity in the minds of leaders of Syria that what they are doing is harmful ultimately to themselves," Rumsfeld said after a speech in Beverly Hills at which he was twice heckled. In the early days after the Sept. 11, 2001 attacks, the United States praised Syria for its cooperation in combating terrorism but more recently cooperation with Syria has come to an end, with Washington accusing the government in Damascus of not doing enough to stop insurgents crossing into Iraq. Rumsfeld said he was referring to Syria's refusal to return Iraqi funds, housing of Baathists from Saddam Hussein's fallen regime and the flow of insurgents across the border. He said Syria was also "undoubtedly financing" some of the Iraqi insurgency. "Syria is going to have to live in that neighborhood and Iraq doesn't like what Syria is doing," Rumsfeld. "Iraq is going to be in that neighborhood for a very long time. It's a bigger country and a richer country and will be a more powerful country," he said. "In my view the Syrians are not behaving in a wise manner at the present time."

FOJ Note: Apparently Mr. Rumsfeld is alluding to the idea that the US and Europe hope-intend to make Iraq into a formidable foe, dissecting, Syria and Iran. Obviously the old dual containment policy has taken on a new twist. The big question is, will this new policy work, or will it lead to the era of the Tribulation that the Bible foretells about. My guess is that all the things happening in the world today, collectively, will indeed lead to the prophesied time of great trouble.

 

 

Iran Moving World Closer to Nuclear War

Aug. 5….(MENL) Iran's strategic weapons programs is expected to significantly increase the prospect of a nuclear war over the next decade. A Senate study said Iran and three other countries are likely to join the nuclear weapons club over the next decade. The study, conducted by Senate Foreign Relations Chairman Richard Lugar, said this development would result in a 29 percent chance of a nuclear attack against the United States or another country. "The bottom line is this: for the foreseeable future, the United States and other nations will face an existential threat from the intersection of terrorism and weapons of mass destruction," the study said.

FOJ Note: Please note that the acquisition of nuclear weapons by Iran is said to make it 1/3 more likely that a nuke attack on US soil will occur. Furthermore, the three countries expected to acquire nuclear weapons are apparently Syria, Egypt, and Saudi Arabia. Add into that mix the nukes of North Korea, and it is clear that the likelihood of a nuke attack on the US skyrockets. The US is undertaking a campaign to enable India to expand its nuclear energy program, perhaps as a measure to counter Russia’s assistance to the Iranian nuclear program. Today, August 5 (Aug. 6 in Japan) is the 60th anniversary of the Truman Decision to drop the A-bomb on Hiroshima. The great WWII Genera, Douglas MacArthur warned the nations of the world in 1945 that they had exhausted their last chance to find a way to live in peace.

 

 

Netanyahu: Gaza Pullout will Endanger West

imageAug. 5….(Jerusalem Post) Finance Minister Binyamin Netanyahu believes that in the aftermath of Israel's upcoming departure, "Gaza will be transformed into a base for Islamic terrorism adjacent to the coast of the State of Israel."  In an interview with The Jerusalem Post on Wednesday, Netanyahu said the terror threat that would develop in a post-withdrawal Gaza would be a danger not only for Israel but for the Western world in general.  "This it isn't just our problem," he claimed. "It's the West's problem as well because the forces that are controlled in Gaza, are deployed and cooperate with Iran, and today Hizbullah and Hamas are controlled in a significant way by Iran, and now they will receive an additional base of operations not only in close proximity to Israel's cities but also on the coast of the Mediterranean Sea not far from Europe." The implementation of the plan will cause a deterioration in the security of the communities in the western Negev region also, Netanyahu warned. He said the relinquishment of Israeli security control over the international passages to Gaza will "create a highway for the transfer of terrorists and terror materiel" to the area. The finance minister expressed his dismay at the decision taken by the police to block protesters en route to demonstrations against the withdrawal in Netivot and Kfar Maimon two weeks ago and to the police intention to repeat the process in the days which preceded this week's demonstration in Sderot and Ofakim. "I thought that the decision to stop vehicles in distant cities [ahead of the protest in Netivot and Kfar Maimon] was strange, even bizarre. I am not aware of even one instance where in any democracy forces were used to prevent people from gathering for a protest located far away from where they were blocked," he said. In light of his opposition to the plan, which in his view the Palestinians interpret as a clear victory of their terror war against Israel, Netanyahu plans to vote against the implementation of the withdrawal in the government on Sunday. Netanyahu stated that in his opinion, Israel must build in the settlements in Judea and Samaria to enable natural growth, must complete the security fence in accordance with the government's decision that places the major settlement blocs inside the perimeter of the fence and must build up the area referred to as E-1 which connects Ma'aleh Adumim to Jerusalem. Looking ahead to the post-withdrawal period, he added: "Our security problems are not about to go away with the withdrawal, they will only begin.

FOJ Note: After the Gaza withdrawal phase, Israel will move to withdraw from four Jewish settlements in the Northern West Bank. They include the small towns of Ganim, Kadim, Sanur, and Homesh, which are highlighted on the attached map. These townships were constructed by Israel after the Yom Kippur War.

 

 

Al Qaeda Issues More Threats

imageAug. 4….(FOJ) FOJ usually doesn’t like to post terrorist diatribes from Al Qaeda, but FOJ has reason to believe that recent intelligence data that we review indicates that there is reason for precaution. Today, Osama bin Laden's No. 2 man in the al Qaeda terrorist network has threatened more destruction in London. As usual, the diatribes attempt to blame British Prime Minister Tony Blair and US President Bush for atrocities they commit, and direct the blame toward them because of their foreign policy. In a video broadcast today, again on the Arabic-language TV station Al Jazeera, Ayman al-Zawahiri also issued a warning for the United States. " Referring to the September 11, 2001 attacks that killed nearly 3,000 people, he said: "Our message is clear, what you saw in New York and Washington and what you are seeing in Afghanistan and Iraq, all these are nothing compared to what you will see next." He also warned the US to "stop stealing our oil and wealth and stop supporting corrupt rulers."  "If you continue your politics against Muslims, you will see, God willing, such horror that you will forget the horrors of Vietnam." Zawahiri reminded the United States and its allies of the "hudna" (truce) that bin Laden offered last year in return for the withdrawal of foreign troops from Muslim lands. "Didn't Osama bin Laden tell you that you would never dream of peace until we actually live it in Palestine and before all foreign forces withdraw from the Land of Mohammed? He told the American people that their leaders are lying to them about the Iraq war and called for an immediate withdrawal of US forces. Obviously, Mr. Zawahiri is attempting to use the internal political war in America between Democrats and Republicans to cause the American people to lose faith in the war-on-terror. It is interesting that Mr. Zawahiri, as did Bin Laden in 2001 refers again to “peace in Palestine.” They seem to be echoing the sentiments also being expressed aloud by Palestinian leaders today in Gaza, “Gaza today, tomorrow, Jerusalem!” It is the fervent conclusion by FOJ that Mr. Zawahiri and Bin Laden are both being sheltered in Iran, and that in conjunction with Iran (and its nuclear threat) are leading a terror network that is attempting to encircle Israel from the Sinai and from South Lebanon, with the tactic of utilizing the Palestinian Hamas and Islamic Jihad, and the multiple PLO networks in the West Bank in a scheme to confound the traditional US position of supporting Israel’s right to exist.

 

 

'Jerusalem, We Are Closer Than Ever'

Aug. 4….(YNET) Israel’s withdrawal from Gaza and the Jenin area in the West Bank is the first step towards Jerusalem, Palestinian Authority Prime Minister Ahmed Qureia said Thursday in preparation for the PA’s official pullout celebrations, slated for August 17. “The Israeli’s don’t have any other choice,” Qureia said. “The direction we have are moving in together over the past few years brings us closer to Jerusalem and the release of sacred Palestinian land.” While Qureia bragged, “Today Gaza, tomorrow Jerusalem,” last week in a speech, today he seemed to sharpen his stance, and use the Gaza withdrawal to incite Palestinians to wage Jihad on to Jerusalem. “We are standing before the gates of Jerusalem. The Israelis are leaving and we hope they’ll leave us alone and our land, never to return,” he said. “When they leave our homes and nation, we will know how to build our homeland. We are the builders of this area, let them leave us in peace.” The Palestinian prime minister said his nation’s struggle would only end once Jerusalem is in their control. “We will still celebrate once we reach our goals and establish a Palestinian state with Jerusalem as its capital, with the return of the refugees,” he said.  In reference to former PA chairman Yasser Arafat birthday, celebrated Thursday, Qureia called the Palestinians, "the children of Yasser Arafat the martyr, and the children of Ahmed Yassin the martyr and the children of all the martyrs.” “Jerusalem is closer than ever,” he said. ‘We promise you, Arafat, you will stay in our hearts. We will continue to follow your path and carry out your promise that Palestinian girls and boys will wave the Palestinian flag above the walls of Jerusalem, its mosques and churches. We will continue until victory. None of us will give up until we are on Jerusalem’s soil.” 

FOJ Note: These remarks about Jerusalem by Mr. Queria seem to sum up where we are in the Countdown to the struggle over Jerusalem. Bible Prophecy indicates quite clearly that Jerusalem will be the focus of the geo-religious-political dilemma in the world of the Last Days. One can almost hear the bellicose voice of Satan (and his Antichrist)  bellowing out in a demonic scream, enticing all the world’s kings to encircle Jerusalem. Satan is using the false god of Allah to brainwash the Arab world into an intense hatred of Israel, and thereby seek to cause all the world to oppose Christ’s imminent return to Jerusalem! Yes, Jerusalem, the time is closer than ever before, for the Lord’s enemies are making a tumult against thy anointed One.

 

China and Russia Hold Joint Military Exercises

Aug. 3….(International Herald Tribune) Russia and China plan to hold an unprecedented joint military exercise this month, using long-range bombers and submarines to settle an imaginary conflict in a foreign land, a top Russian general said Tuesday. The maneuvers from Aug. 18 to 25, to be held on China's Shandong Peninsula, highlight growing military ties between Moscow and Beijing, whose relations have warmed after decades of Cold War-era rivalry. Moscow and Beijing insisted that the joint exercise, their first, was not aimed at any third country. The Chinese Defense Ministry said Tuesday the exercise was meant to "strengthen the capability of the two armed forces in jointly striking international terrorism, extremism and separatism." But the Russian military added that another goal was to practice joint action to "settle regional crises." Colonel General Vladimir Moltenskoi, deputy chief of Russian Land Forces in charge of the exercise, said Tuesday that the drills envisaged action to separate parties in a conflict in a third country with the backing of the United Nations. Under the scenario, the Shandong Peninsula poses as an imaginary state "on the territory of which riots stemming from ethnic discord took place and confrontation between different forces occurred," Moltenskoi said. He said the exercise plan had no relation to Taiwan, or any other specific country. Moltenskoi said the Shandong Peninsula had been chosen from the beginning and that about 10,000 troops, 1,800 of them Russian, would take part in the exercise. Russia will also field a navy squadron and 17 long-haul aircraft. Russian and Chinese forces will practice airborne and marine landing missions during the drills, and the exercise will involve nonnuclear-powered submarines, Moltenskoi said. The drill underscores the growing ties between the two former Cold War antagonists. Relations between the Communist allies ruptured in the 1960s, and a struggle over areas along their Far East border resulted in minor skirmishes in 1969. The clashes fed fears that the two giants could wage a full-fledged war. Since the collapse of the Soviet Union, in 1991, Moscow and Beijing have developed what they call a strategic partnership, pledging commitment to a "multipolar world," a term that highlights their opposition to US domination in global affairs. The scale of the exercises, which will involve land, air, naval, paratroop and marine forces, underlines the determination of Beijing and Moscow to expand their strategic alliance. Russia is also now China's leading source of high-technology weaponry, while the Chinese People's Liberation Army (PLA) has become an important source of foreign currency for the crumbling Russian military industrial complex. “The joint exercises will also help strengthen the capability of the two armed forces in jointly striking international terrorism, extremism and separatism,” the agency said. The reference to separatism will heighten concerns about the exercises in Taiwan, which enjoys de facto independence from China but which Beijing claims as part of its territory. Chinese and Russian officials have insisted the drills are not aimed at any third party. The choice of name for the exercises and the decision to characterize them as aimed against terrorism also reflect Beijing's desire to avoid fuelling wider worries about its emergence as a military power. A much-watched report by the US Department of Defense last month suggested the PLA's growing clout may tempt Beijing to use force against its neighbors and that it could pose a “credible threat” in the long term to other militaries in the region. The planned exercises set the seal on a dramatic shift in Sino-Russian ties since the late 1980s. Some people in China say much of the Russian far-east rightfully belongs to Beijing and territorial rivalry has underlain diplomatic ties for more than three centuries. Under former communist governments the two countries espoused rival brands of Marxism and fought bloody battles along their common border. In recent years, China and Russia have worked hard to resolve differences on territorial issues, although some observers say their military marriage is still largely one of convenience, as they are perhaps coordinating efforts aimed at offsetting the US’s dominant position in the Far East, the Middle East, and in Central Asia.

 

 

Japan Cautiously Worried About China

Aug. 3….(AP) China's military modernization, including apparent plans for a deep-water navy, needs to be monitored closely to determine whether it exceeds requirements for self-defense, a Japanese government defense report said Tuesday, news agencies reported from Tokyo. The annual report also called on Beijing to make a greater effort to keep other countries informed about its military expenditures and capabilities. The defense white paper, coming at a time of strained Chinese-Japanese ties, echoes a US Defense Department report in July that said China's fast-modernizing military could pose a threat, in the long term, to the East Asia region. The paper also reflected a fundamental change announced by the Japanese Defense Agency last December as part of a policy review conducted once every decade. The agency decided to shift its strategic focus from the Cold War threat of invasion by the Soviet Union to the potential threat of missiles from North Korea and Chinese incursions around Japan's southernmost islands. Amid renewed tension with Asian neighbors over Japan's wartime history, lawmakers Tuesday reiterated "regret" on the 60th anniversary of World War II but steered clear of the "aggression" mentioned a decade ago. The lower house of Parliament voiced Japan's regret over the war through a resolution passed overwhelmingly despite opposition by communists and several conservative lawmakers. "We deeply regret the tremendous suffering caused by our country's acts during a certain period in the past on the peoples in Asia and other countries and offer sincere condolences anew to all victims," the resolution said.

 

 

Iran Will Resume Nuclear Activity; France Warns of Crisis

Aug. 3….(Ha Aretz) Iran announced Tuesday it will resume converting uranium ore to gas at a nuclear plant near the central city of Isfahan within two days, a move France warned could lead to a major international crisis. "The IAEA [International Atomic Energy Agency] will finish the installation of surveillance equipment in the next 24 hours and we will restart the plant's activities in the next one or two days," Mohammad Saeedi, the deputy head of Iran's Atomic Energy Organization, told state television. That decision could spark "a major crisis," French Foreign Minister Philippe Douste-Blazy said Tuesday. Iran said its decision to resume activities at a nuclear plant near the central city of Isfahan was irreversible. The so-called EU3 of Britain, France and Germany have been trying to mediate between the United States, which insists Iran is trying to produce nuclear weapons, and the Islamic Republic, which says it has a right to develop peaceful atomic technology. The same day the Iranian nuclear affair appeared to escalate, the Washington Post published information contained in a new US intelligence review that estimates Iran is about 5-10 years away from having the ability to build a nuclear bomb- double the previous estimate of five years. (However, a CIA and Defense Dept. spokesman indicated the prospect is that Iran may acquire nuclear bombs within 3 years) The analysis includes credible indicators that Iran's military is conducting clandestine work but there is no information directly linking the projects to a nuclear weapons program, the Post said, citing government sources familiar with the classified report.
The Post on Tuesday cited three US sources as saying the new analysis, known as the National Intelligence Estimate, expresses uncertainty about whether Iran's ruling clerics have decided to build nuclear weapons. But a senior intelligence official was quoted as saying, "It is the judgment of the intelligence community that, left to its own devices, Iran is determined to build nuclear weapons." The White House has warned Iran against restarting uranium conversion work, saying it could lead the United States and its European allies to seek UN action against Teheran. The United States suspects Iran is using its nuclear energy program as a front to develop weapons. The intelligence estimate on Iran, the first since 2001, was ordered by the National Intelligence Council in January. The findings had not been previously detailed, the Post said. The newspaper said that US officials have estimated that Iran was about five years away from having the capability to make a nuclear weapon.

 

 

Al Qaeda’s Appearance in Gaza is a Dangerous New Terrorist Manifestation

Aug. 3….(Debka) Al Qaeda has claimed that it has established a Gaza branch called “Al Qaeda-Palestine, Jihad Brigades in the Border Land.” (This is an al Qaeda locution meaning warfront.) The announcement, accompanied by a video tape, appeared on Websites normally reserved for releases on major al Qaeda strikes, such as the Madrid, London and Saudi bombing attacks and Abu Musab al-Zarqawi’s operations in Iraq. It is therefore to be taken seriously. The statement came out three days after the DEBKAfile exclusive disclosure of al Qaeda’s purported theological grounds for attacking Israel, as expounded in its new monthly magazine, From the Tip of the Camel’s Hump. Al Qaeda’s Palestinian gunmen performing on the tape claim the new organization is already in action and assume responsibility for firing rockets at the Israeli communities of Neve Dekalim and Gunei Tal in the Gaza Strip Saturday night, July 30. Military tests revealed that Sinjal rockets, which are used by the Jihad Islami and are inferior even to the hit-or-miss Qassam missiles, were indeed fired at those two places. The gunmen who are heavily masked sounded very much like Gazan Palestinians. Israeli intelligence experts on al Qaeda have three diverse theories to explain the new development.

1. This theory holds that the three most violent Palestinian groups, Hamas, Jihad Islami and the Fatah-al Aqsa Brigades, established a new umbrella organization to execute terrorist and shooting attacks against Israel’s withdrawal operation in two weeks while eluding the charge of flouting Abu Mazen’s orders. This theory does not fully explain al Qaeda’s introduction to the Gaza Strip.

2. Al Qaeda’s agents infiltrated the Gaza Strip through northern Sinai, the Palestinian arms smuggling gangs who work both sides of the Rafah border or Hizballah cells in Gaza, and set u p a new organization based on the Hamas and Jihad Islami.

3. The Palestinian Popular Committees which bring together the al Aqsa Brigades and other terrorist splinters has split into feuding elements, one of which may have joined up with al Qaeda, promised allegiance and collaboration and received funds. That money would have paid for the film and the two attacks. Whichever mechanism was used, it is clear that the international Al Qaeda Islamist organization has made its first public appearance as a terrorist force present in the Gaza Strip.

 

 

 

Jewish Settlers and Christians Rally Against Gaza Pullout

imageAug. 3….(Arutz) Traffic stretched for miles in all directions from the western Negev town of Sderot as protesters descended today upon the city from across Israel. Leaders of the Council of Jewish Communities in Judea, Samaria, and Gaza (Yesha) have instructed activists to "attempt to reach Gush Katif" after the Ofakim rally, scheduled for 6:00 PM Wednesday. Yesha leaders again emphasized not to confront soldiers and police. According to the Yesha Council which is organizing the protests, 35,000 people attended the rally in the western Negev town of Sderot Tuesday night, with supporters continuing to arrive late into the night, many by foot. Protesters then continued to the town of Ofakim, where organizers say 60,000 protesters are awaiting a rally to take place Wednesday night, followed by a planned march toward Gush Katif. Among those who addressed the crowds in Sderot were former Minister Natan Sharansky, hareidi-religious former MK Rabbi Menachem Porush and MKs Effie Eitam (National Union) and Dr. Uzi Landau (Likud). Knesset Speaker Reuven Rivlin also delivered a speech. "Ariel Sharon, this is the last prayer. Don't send your hand against Gush Katif," Eitam said. The elderly Rabbi Porush, father of MK Meir Porush (UTJ), told the rally, "Expelling Jews from Gush Katif is the same as expelling us." Sharansky, who moved to Israel after years of imprisonment in Siberia under the former Soviet dictatorship, said he was alarmed at the Sharon government's tactics used to pass the expulsion bill and its attempts to silence opposition.

 image

As Jews and Christian supporters gathered in Sderot, Arab terrorists fired three Kassam rockets in an attempt to attack the crowd. One rocket fell in an open field between Gaza and the town and two others misfired and landed in Palestinian Authority (PA)-controlled Beit Hanoun, killing the child of a former PA officer and wounding eight other people. After the death of the Palestinian child, the Islamic Jihad announced that it would cease rocket attacks during the marches.

FOJ Note: Among the Christian organizers supporting the Jewish opposition to the Gaza disengagement Plan is Dr. Dave Vinyard. I personally got to hear Dr. Vinyard speak on the Israeli-Palestinian Conflict this past April. He noted then that he was planning to lead thousands of Baptists to Gaza.

 

 

Oil Prices Soar With Saudi King’s  Death

Aug. 2….(AP) Oil prices shot up to a record above $62 a barrel as the death of Saudi Arabia's King Fahd was announced. US refinery outages and tensions over Iran's nuclear ambitions rattled the market. US light, sweet crude rose $1.73 to a record $62.30 a barrel before settling up $1, or 1.7 percent, at $61.57 on the New York Mercantile Exchange. The previous record, hit July 7, was $62.10. When adjusted for inflation, oil briefly traded near $90 a barrel in the early 1980s. In London, Brent crude rose $1.07 to $60.44 on the International Petroleum Exchange. Oil has climbed about 40 percent this year, with the Organization of Petroleum Exporting Countries struggling to meet demand by producing at 25-year highs. "Refining problems contribute to the prices as well, but the big story is people are looking at King Fahd's death," said Rick Mueller, a crude expert at Energy Security Analysis Inc. in Massachusetts. "For the first time people are thinking about life after Abdullah. The succession there is not as clear," he said. Crown Prince Abdullah, who is Fahd's half brother and has been Saudi Arabia's de facto leader since Fahd suffered a stroke in 1995, was swiftly pronounced monarch of the world's largest oil exporter after Fahd died on Monday. He will adhere to Saudi Arabia's long-standing oil policy aimed at ensuring global markets are well supplied, the kingdom's next US ambassador, Prince Turki al-Faisal, said. But analysts said markets were jittery over the longer term Saudi policy. "It's this succession struggle and the possible related instability that's the actual concern," one trader said. (Saudi instability and the war of terror against the ruling family)

   Exxon Mobil added to the anxiety over the weekend as it shut down its 235,000-barrel-per-day refinery in Joliet, Illinois, according to trade sources. BP also shut down a gasoline-producing unit over the weekend at its giant Texas City refinery, the third-largest in the United States and the source of 3 percent of its gasoline, for maintenance, a regulatory filing showed. That came after a fire late last week slowed operations at the plant, where an explosion killed 15 in March. "Steadily declining inventory levels ahead of the gasoline peak demand season mean that this market has been looking increasingly tight," Barclays Capital said in a report. Although stockpiles of most fuels are relatively healthy for this time of year, traders fear refiners may be hard pressed to satisfy rising summer motor fuel consumption while also stocking up enough distillate supplies to meet peak winter consumption.

   Adding to market nerves, Iran, OPEC's second biggest oil producer, said it restarted a nuclear facility that the West suspects could help it build a nuclear bomb. The move was in defiance of European Union warnings and could lead to Iran's case being sent to the United Nations Security Council for possible sanctions. The US and Israel views the leadership of Iran as a terrorist sponsoring entity.

 

 

Israeli Settlements in Gaza to be Evacuated via the Disengagement Plan

Aug. 2…..(FOJ) Many people have inquired to me about the Gaza withdrawal plan. They want to know if it is the first step in the Quartet sponsored Peace Roadmap. Actually, the Gaza Disengagement plan is not an item mentioned in the Roadmap. It is a plan devised by the Sharon government to test the PA to see if further withdrawals demanded by the Quartet can possibly work. My guess is that the Gaza experiment will simply enable Islamic Jihad and Al Qaeda terrorist cells to support the predominate Hamas terrorist organization ruling in the Gaza Strip. The recent terror attacks in the lower Sinai indicate that Al Qaeda and Islamic Jihad are already coordinating efforts to empower Hamas on Israel’s southern border. The Palestinian Authority has proven itself to be incapable, or unwilling to prevent Gaza from becoming just another terrorist stronghold. Political critics of the Gaza Plan are already calling the area Hamastan, a reference to the former Al Qaeda styled outposts in Central Asia.

 

Settlement

Founded

Population**

Atzmona (Bnei Atzmona)

1982**

650

Bedola'h

1986

220

Dugit

1982

80

Elei Sinai

1983

350

Gdid

1982

310

Ganei Tal

1979

400

Gan Or

1983

350

Katif

1985

405

Kerem Atzmona

2001

70

Kfar Darom***

1989

365

Kfar Yam

1983

20

Morag

1972

220

Netzarim

1972

390

Netzer Hazani

1973

410

Neveh Dekalim

1983

2,500

Nissanit

1980

1050

Pe'at Sadeh

1989

105

Rafiah Yam

1984

150

Shirat Hayam

2000

50

Slav

1980

50

Tel Katifa

1992

75

* Founded 1979 in Sinai. Moved to Gaza, 1982. 

**Kfar Darom was founded about 1935; destroyed 1939; re-founded 1946; destroyed 1948

*** Estimates are about 15% below published total of 8,500

 

 

Saudi Arabia’s King Fahd Dies

imageAugust 1….(AP) Saudi Arabia’s King Fahd, who moved his country closer to the United States but ruled the world’s largest oil producing nation in name only since suffering a stroke in 1995, died early Monday, the Saudi royal court said. He was 84. Crown Prince Abdullah, the king’s half brother and already Saudi Arabia’s de factor ruler, was appointed the country’s new monarch. President Bush was alerted within minutes of Fahd’s death, the official told The AP on condition of anonymity. During his rule, the portly, goateed Fahd, who rose to the throne in 1982, inadvertently helped fuel the rise of Islamic extremism by making multiple concessions to hard-liners, hoping to boost his Islamic credentials. But then he also brought the kingdom closer to the United States and agreed to a step that enraged many conservatives: the basing of U.S. troops on Saudi soil after the 1990 Iraqi invasion of Kuwait. In his last years, Fahd was more of a figurehead than the actual ruler, so he was sidelined as the close relationship he nurtured with the United States deteriorated after the Sept. 11 attacks. Fifteen of the 19 hijackers were Saudis, and many in the U.S. administration blamed the strict strain of Islam that has developed in Saudi Arabia, called Wahabism, for fueling terrorism. King Fahd’s debilitating stroke in 1995 confined him mainly to a figurehead role in the kingdom. Crown Prince Abdullah has been Saudi Arabia’s de facto leader ever since. Abdullah, who before coming to power had not been happy with Saudi Arabia’s close alliance with and military dependence on the United States and Washington’s perceived bias toward Israel, has however sought to rebuild the kingdom’s ties with the US. He visited President Bush twice at Bush’s ranch in Crawford, Texas, most recently in April 2005.

   King Fahd was proclaimed the fifth king of Saudi Arabia on June 13, 1982, three years after two events that would fuel the rise of Islamic extremism in Saudi Arabia. In 1979, Ayatollah Ruhollah Khomeini founded the Islamic Republic in Shiite Iran and, in the same year, radical Muslims briefly took over the holy mosque in Mecca, proclaiming the royal family not Islamic enough to rule. Those developments, coupled with the king’s reputation as a former gambler and womanizer, made the liberal-leaning Fahd move toward appeasing the country’s powerful religious establishment, including the morals police who enforce the strict social codes that oblige women to veil and ban men and women from mingling. Saudi Arabia did not want Shiite Iran to be seen as more Islamic than the Sunni kingdom, birthplace of Islam. So Fahd took the title “custodian of the two holy mosques,”referring to Islam’s holiest shrines at Mecca and Medina, and he poured millions of dollars into the religious establishment and into enlarging fundamentalist universities. In the 1980s, Riyadh, Washington and Islamabad mobilized Islam to fight Soviet occupiers of Afghanistan. Millions of Saudi riyals were donated to that effort and thousands of Saudis joined the jihad, including bin Laden, in a recruitment drive encouraged by the government. When Iraqi leader Saddam Hussein invaded Kuwait in 1990 and looked like he also might take Saudi Arabia, Fahd was persuaded by the United States to allow hundreds of thousands of US and other Western troops, including women, into his insular, rigidly Muslim kingdom to face the Iraqis. The move was sharply criticized by fundamentalist Muslims who oppose Western influence in the kingdom and spawned the first potent opposition to Fahd’s rule. Demonstrations were quelled and hundreds of clerics detained. Radicals set off bombs at two US military posts in Saudi Arabia in 1995 and 1996, killing 25 Americans. Bin Laden, who had earlier been stripped of his Saudi citizenship by Fahd’s government, was incensed that the Saudis opted to rely on Western troops he saw as infidels for protection, spurning his offer to use the mujahedeen who had fought in Afghanistan to liberate Kuwait. He became even more determined in his opposition to the Saudi royal family

 


Syria Still Facilitating Arms Transfers to Hizbullah

Aug. 1….(MENL) Syria continues to facilitate the transfer of Iranian weapons to Hizbullah in Lebanon. US officials said that within days of Syria's military withdrawal from Lebanon in late April an Iranian shipment of munitions, mortars and anti-tank rockets reached Lebanon. The officials said the shipment was flown by air to Damascus International Airport and taken by truck to Lebanon's Bekaa Valley. "Syria continues to be a foremost supporter and weapons supplier of Hizbullah, a terrorist group active in Lebanon, and throughout the world, that has been targeting and killing Americans and many others since the early 1980s," Rep. Ileana Ros-Lehtinen, chairman of the House subcommittee on the Middle East and Central Asia, said. Since May, several additional trucks believed laden with weapons were tracked moving from Syria to the Bekaa Valley. In the Bekaa, the trucks were unloaded by Hizbullah and taken to various bases in eastern and southern Lebanon.

 


Chertoff Warns of Nuclear Terror

imageAug. 1….(WND) Issuing yet the latest warning of the threat of nuclear terrorism in the US, Homeland Security Secretary Michael Chertoff said there are far worse security problems facing the country than bombings of mass-transit systems. In comments during a visit to Lawrence Livermore Laboratory in California this week, Chertoff said the foremost concern for the nation's security now is the threat of a larger chemical, biological or nuclear attack.  Chertoff joins the growing list of public officials, including President Bush, Vice President Dick Cheney and Chertoff's predecessor at Homeland Security, Tom Ridg, who have strongly hinted that nuclear terrorism has moved center stage as the No. 1 security threat facing the US. Last month WND reported increasing evidence suggest Al Qaida not only has nuclear weapons in its arsenal, but has smuggled them in to the US along with thousands of sleeper operatives.

Referring to the London bombings, Chertoff said: "We can't let what happened two or three weeks ago beguile our concerns about what could happen in the future

 



August 2005 July 2005 June 2005
May 2005 April 2005 March 2005
February 2005 January 2005 December 2004
November 2004 October 2004 September 2004
August 2004 July 2004 June 2004
May 2004 April 2004 March 2004
February 2004 January 2004 December 2003
November 2003 October 2003 September 2003
August 2003 July 2003 June 2003
May 2003 April 2003 March 2003
February 2003 January 2003 December 2002
November, 2002 October 2002 September 2002
August 2002 July 2002 June 2002
May 2002 April 2002 March 2002
February 2002 January 2002 December 2001



Home Email Library

Links Study Grace Room

Map Room Introduction Articles

Subscribe Webmaster Book Room

About this Ministry

Q&A


AngelHearts




Site Meter